Property Record
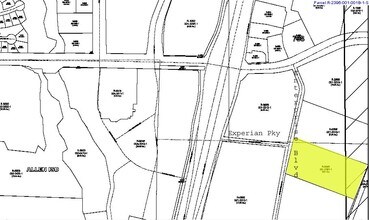
815 Enterprise Blvd, Allen, TX 75013
Property Detail
815 Enterprise Blvd
R-2396-001-001B-1
ENTERPRISES ADDITION NO 2, BLK 1, LOT 1B
Commercialnec
COLLIN
LI- LIGHT
Texas
B and X Area of moderate flood hazard, usually the area between the limits of the 100-year and 500-year floods.
1b
2025
6.68 AC
2025
Allen/McKinney
031511
Dallas/Ft Worth
129,798 SF
Dallas-Fort Worth-Arlington, TX
NEARBY LISTINGS FOR SALE OR LEASE
DEMOGRAPHICS near 815 Enterprise Blvd
1 mile
3 mile
5 mile
2025 Total Population
12,471
120,658
311,968
2030 Population
14,318
137,226
354,547
Pop Growth 2025-2030
+ 14.81%
+ 13.73%
+ 13.65%
Average Age
38
39
39
2025 Total Households
4,957
43,929
111,951
HH Growth 2025-2030
+ 15.29%
+ 14.10%
+ 13.97%
Median Household Inc
$100,994
$113,566
$117,795
Avg Household Size
2.50
2.70
2.70
2025 Avg HH Vehicles
2.00
2.00
2.00
Median Home Value
$468,801
$471,356
$485,381
Median Year Built
2000
1999
1999
Nearby Places
Map Layers
Listings with unknown addresses are not visible on the map
- Restaurants
- Banks
- Shops
- Fitness
- Groceries
PUBLIC TRANSPORTATION
AIRPORT
Dallas Love Field
Drive
Walk
Distance
Dallas Love Field
34 min
25.6 mi
Dallas-Fort Worth International
Drive
Walk
Distance
Dallas-Fort Worth International
42 min
33.6 mi
Nearby Properties
Address
Land Use
TOTAL SIZE
Lot Size
Zoning
Address
Land Use
TOTAL SIZE
Lot Size
Zoning
1,089,284 SF
90.69 AC
Address
Land Use
TOTAL SIZE
Lot Size
Zoning
720,571 SF
68.28 AC
Address
Land Use
TOTAL SIZE
Lot Size
Zoning
709,804 SF
32.68 AC
Address
Land Use
TOTAL SIZE
Lot Size
Zoning
384,753 SF
7.68 AC
Address
Land Use
TOTAL SIZE
Lot Size
Zoning
528,996 SF
26.35 AC
R
Address
Land Use
TOTAL SIZE
Lot Size
Zoning
465,405 SF
6.47 AC
Address
Land Use
TOTAL SIZE
Lot Size
Zoning
288,826 SF
18.71 AC
CC
Address
Land Use
TOTAL SIZE
Lot Size
Zoning
586,110 SF
10.50 AC
LI
Address
Land Use
TOTAL SIZE
Lot Size
Zoning
511,383 SF
10.89 AC
PD-OC
Address
Land Use
TOTAL SIZE
Lot Size
Zoning
434,787 SF
35.90 AC
Address
Land Use
TOTAL SIZE
Lot Size
Zoning
617,776 SF
97.53 AC
A
Address
Land Use
TOTAL SIZE
Lot Size
Zoning
308,854 SF
16.62 AC
Address
Land Use
TOTAL SIZE
Lot Size
Zoning
445,959 SF
4.55 AC
MF-E
Address
Land Use
TOTAL SIZE
Lot Size
Zoning
509,085 SF
11.63 AC
PD-OC
Address
Land Use
TOTAL SIZE
Lot Size
Zoning
442,695 SF
24.65 AC
MF-M
Address
Land Use
TOTAL SIZE
Lot Size
Zoning
312,870 SF
35.90 AC
Address
Land Use
TOTAL SIZE
Lot Size
Zoning
414,198 SF
72.67 AC
Address
Land Use
TOTAL SIZE
Lot Size
Zoning
471,114 SF
26.05 AC
MF-M
Address
Land Use
TOTAL SIZE
Lot Size
Zoning
384,052 SF
7.78 AC
MF-R
Address
Land Use
TOTAL SIZE
Lot Size
Zoning
350,018 SF
7.02 AC
MF-E
Address
Land Use
TOTAL SIZE
Lot Size
Zoning
334,313 SF
13.61 AC
MF
Address
Land Use
TOTAL SIZE
Lot Size
Zoning
400,049 SF
34.67 AC
MF-L
Address
Land Use
TOTAL SIZE
Lot Size
Zoning
212,880 SF
2.63 AC
CO-COMMERC
Address
Land Use
TOTAL SIZE
Lot Size
Zoning
317,862 SF
4.04 AC
Address
Land Use
TOTAL SIZE
Lot Size
Zoning
439,754 SF
13.09 AC
SF
Address
Land Use
TOTAL SIZE
Lot Size
Zoning
457,656 SF
23.19 AC
MF-H
Address
Land Use
TOTAL SIZE
Lot Size
Zoning
297,331 SF
3.77 AC
Address
Land Use
TOTAL SIZE
Lot Size
Zoning
325,956 SF
17.33 AC
A-0
Address
Land Use
TOTAL SIZE
Lot Size
Zoning
216,665 SF
12.17 AC
Address
Land Use
TOTAL SIZE
Lot Size
Zoning
213,415 SF
16.94 AC








