Property Record
821 E Pine St, Compton, CA 90221
Property Detail
821 E Pine St
6176-003-035
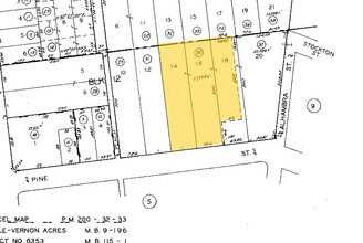
BELLE-VERNON ACRES LOTS 14 AND 16 AND W 2.8 FT OF S 66 FT AND W 58.8 FT OF N 234 FT OF LOT 18 BLK 12
Multifamilydwelling
Los Angeles
CORH*
California
C and X Area of minimal flood hazard, usually depicted on FIRMs as above the 500-year flood level.
14,16
2024
1.33 AC
2025
Lynwood
541604
Los Angeles
41,600 SF
Los Angeles-Long Beach-Glendale, CA
NEARBY LISTINGS FOR SALE OR LEASE
-
-
-
No Photo
-
-
-
-
-
View all Compton listings for sale on LoopNet.com
DEMOGRAPHICS near 821 E Pine St
1 mile
3 mile
5 mile
2025 Total Population
42,217
325,896
867,274
2030 Population
41,266
319,100
851,197
Pop Growth 2025-2030
(2.25%)
(2.09%)
(1.85%)
Average Age
35
36
37
2025 Total Households
9,761
79,490
227,211
HH Growth 2025-2030
(2.53%)
(2.38%)
(2.10%)
Median Household Inc
$68,736
$69,796
$69,401
Avg Household Size
4.00
3.90
3.60
2025 Avg HH Vehicles
2.00
2.00
2.00
Median Home Value
$643,230
$658,755
$667,601
Median Year Built
1958
1955
1957
Nearby Places
Map Layers
Listings with unknown addresses are not visible on the map
- Restaurants
- Banks
- Shops
- Fitness
- Groceries
PUBLIC TRANSPORTATION
COMMUTER RAIL
Commerce (91 Line - Southern California Regional Rail Authority (Metrolink), Orange County Line - Southern California Regional Rail Authority (Metrolink))
Drive
Walk
Distance
Commerce (91 Line - Southern California Regional Rail Authority (Metrolink), Orange County Line - Southern California Regional Rail Authority (Metrolink))
18 min
9.6 mi
AIRPORT
Long Beach (Daugherty Field)
Drive
Walk
Distance
Long Beach (Daugherty Field)
17 min
9.7 mi
Los Angeles International
Drive
Walk
Distance
Los Angeles International
20 min
13.7 mi
Bob Hope
Drive
Walk
Distance
Bob Hope
40 min
27.6 mi
Freight Ports
Port of Long Beach
Drive
Walk
Distance
Port of Long Beach
19 min
11.5 mi
Nearby Properties
Address
Land Use
TOTAL SIZE
Lot Size
Zoning
Address
Land Use
TOTAL SIZE
Lot Size
Zoning
587,291 SF
11.42 AC
LYHMD*
Address
Land Use
TOTAL SIZE
Lot Size
Zoning
313,224 SF
4.41 AC
SGM2*
Address
Land Use
TOTAL SIZE
Lot Size
Zoning
556,348 SF
26.38 AC
PAM2
Address
Land Use
TOTAL SIZE
Lot Size
Zoning
323,368 SF
15.18 AC
LYM*
Address
Land Use
TOTAL SIZE
Lot Size
Zoning
248,925 SF
10.91 AC
LYCB1*
Address
Land Use
TOTAL SIZE
Lot Size
Zoning
169,400 SF
8.11 AC
COMH*
Address
Land Use
TOTAL SIZE
Lot Size
Zoning
37,867 SF
8.32 AC
COMH-B*
Address
Land Use
TOTAL SIZE
Lot Size
Zoning
515,047 SF
4.87 AC
COMH*
Address
Land Use
TOTAL SIZE
Lot Size
Zoning
514,397 SF
24.34 AC
COMH-B*
Address
Land Use
TOTAL SIZE
Lot Size
Zoning
63,922 SF
1.82 AC
LCA16000*
Address
Land Use
TOTAL SIZE
Lot Size
Zoning
200,043 SF
8.68 AC
LYM*
Address
Land Use
TOTAL SIZE
Lot Size
Zoning
472,062 SF
24.39 AC
COMH-B*
Address
Land Use
TOTAL SIZE
Lot Size
Zoning
230,694 SF
9.02 AC
COMH-B*
Address
Land Use
TOTAL SIZE
Lot Size
Zoning
130,977 SF
5.55 AC
LCM2*
Address
Land Use
TOTAL SIZE
Lot Size
Zoning
157,320 SF
7.18 AC
COMH*
Address
Land Use
TOTAL SIZE
Lot Size
Zoning
622,175 SF
14.25 AC
LCM11/2*
Address
Land Use
TOTAL SIZE
Lot Size
Zoning
498,163 SF
11.53 AC
LYM*
Address
Land Use
TOTAL SIZE
Lot Size
Zoning
104,291 SF
7.35 AC
LAR3
Address
Land Use
TOTAL SIZE
Lot Size
Zoning
99,900 SF
4.10 AC
COMH*
Address
Land Use
TOTAL SIZE
Lot Size
Zoning
131,235 SF
6.70 AC
COMH*
Address
Land Use
TOTAL SIZE
Lot Size
Zoning
183,128 SF
10.77 AC
PAM2*
Address
Land Use
TOTAL SIZE
Lot Size
Zoning
97,204 SF
4.10 AC
COMH*
Address
Land Use
TOTAL SIZE
Lot Size
Zoning
150,346 SF
13.13 AC
CORM*
Address
Land Use
TOTAL SIZE
Lot Size
Zoning
214,680 SF
9.57 AC
COMH*
Address
Land Use
TOTAL SIZE
Lot Size
Zoning
101,562 SF
7.53 AC
LAR3
Address
Land Use
TOTAL SIZE
Lot Size
Zoning
168,000 SF
12.59 AC
COMH*
Address
Land Use
TOTAL SIZE
Lot Size
Zoning
55,882 SF
2.17 AC
COMH*
Address
Land Use
TOTAL SIZE
Lot Size
Zoning
190,540 SF
7.10 AC
COMH*
Address
Land Use
TOTAL SIZE
Lot Size
Zoning
74,882 SF
5.25 AC
LYCB1*
Address
Land Use
TOTAL SIZE
Lot Size
Zoning
51,593 SF
3.92 AC
LYM*








