Property Record
833 Riverside St, Belding, MI 48809
Property Detail
833 Riverside St
Grand Rapids-Wyoming-Kentwood, MI
CITY OF BELDING BELDING 2ND ADDN LOT F
401-050-000-735-00
IONIA
Residentialacreage
Michigan
R-2
f
A Areas with a 1% annual chance of flooding and a 26% chance of flooding over the life of a 30-year mortgage.
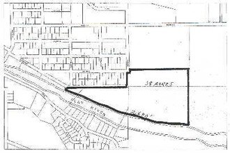
9.38 AC
0
Ionia County
2025
West Michigan
030300
DEMOGRAPHICS near 833 Riverside St
1 mile
3 mile
5 mile
2025 Total Population
3,290
7,482
11,253
2030 Population
3,262
7,440
11,256
Pop Growth 2025-2030
(0.85%)
(0.56%)
+ 0.03%
Average Age
38
39
40
2025 Total Households
1,194
2,890
4,334
HH Growth 2025-2030
(0.75%)
(0.62%)
0.00%
Median Household Inc
$57,025
$54,944
$57,382
Avg Household Size
2.60
2.50
2.50
2025 Avg HH Vehicles
2.00
2.00
2.00
Median Home Value
$165,138
$188,056
$197,956
Median Year Built
1947
1958
1964
Nearby Places
Map Layers
Listings with unknown addresses are not visible on the map
- Restaurants
- Banks
- Shops
- Fitness
- Groceries
PUBLIC TRANSPORTATION
AIRPORT
Gerald R Ford International
Drive
Walk
Distance
Gerald R Ford International
56 min
35.8 mi
Freight Ports
Port of Toledo
Drive
Walk
Distance
Port of Toledo
219 min
180.3 mi
Nearby Properties
Address
Land Use
TOTAL SIZE
Lot Size
Zoning
Address
Land Use
TOTAL SIZE
Lot Size
Zoning
Address
Land Use
TOTAL SIZE
Lot Size
Zoning
168,870 SF
11.73 AC
Address
Land Use
TOTAL SIZE
Lot Size
Zoning
51.80 AC
I-1
Address
Land Use
TOTAL SIZE
Lot Size
Zoning
42,745 SF
3.05 AC
RM-1
Address
Land Use
TOTAL SIZE
Lot Size
Zoning
1,536 SF
4.11 AC
RM-1
Address
Land Use
TOTAL SIZE
Lot Size
Zoning
3,164 SF
4.98 AC
RM-1
Address
Land Use
TOTAL SIZE
Lot Size
Zoning
37,200 SF
13.19 AC
B-2
Address
Land Use
TOTAL SIZE
Lot Size
Zoning
1,440 SF
10.24 AC
I-1
Address
Land Use
TOTAL SIZE
Lot Size
Zoning
16,632 SF
3.36 AC
R-3
Address
Land Use
TOTAL SIZE
Lot Size
Zoning
5,900 SF
11.51 AC
R-2
Address
Land Use
TOTAL SIZE
Lot Size
Zoning
39.99 AC
Address
Land Use
TOTAL SIZE
Lot Size
Zoning
17,988 SF
5.40 AC
RM-1
Address
Land Use
TOTAL SIZE
Lot Size
Zoning
33.38 AC
RM-2
Address
Land Use
TOTAL SIZE
Lot Size
Zoning
25,682 SF
218.66 AC
R-1
Address
Land Use
TOTAL SIZE
Lot Size
Zoning
149,250 SF
6.76 AC
I-1
Address
Land Use
TOTAL SIZE
Lot Size
Zoning
12,164 SF
4.42 AC
RM-1
Address
Land Use
TOTAL SIZE
Lot Size
Zoning
64,608 SF
2.25 AC
Address
Land Use
TOTAL SIZE
Lot Size
Zoning
75,689 SF
9.46 AC
I-1
Address
Land Use
TOTAL SIZE
Lot Size
Zoning
17,290 SF
1.11 AC
B-1
Address
Land Use
TOTAL SIZE
Lot Size
Zoning
11,048 SF
3.66 AC
RM-1
Address
Land Use
TOTAL SIZE
Lot Size
Zoning
7,440 SF
16.74 AC
B-2
Address
Land Use
TOTAL SIZE
Lot Size
Zoning
58,695 SF
3.13 AC
I-1
Address
Land Use
TOTAL SIZE
Lot Size
Zoning
Address
Land Use
TOTAL SIZE
Lot Size
Zoning
127.59 AC
Address
Land Use
TOTAL SIZE
Lot Size
Zoning
5,176 SF
2.43 AC
RM-1
Address
Land Use
TOTAL SIZE
Lot Size
Zoning
9,600 SF
5.60 AC
I-1
Address
Land Use
TOTAL SIZE
Lot Size
Zoning
31,350 SF
6.85 AC
I-1
Address
Land Use
TOTAL SIZE
Lot Size
Zoning
306.15 AC
Address
Land Use
TOTAL SIZE
Lot Size
Zoning
31,200 SF
10.78 AC
C-1
Address
Land Use
TOTAL SIZE
Lot Size
Zoning
4,191 SF
7.58 AC
C-1







