Property Record
8401 Bird Rd, Miami, FL 33155
This Property Is For Sale
NEARBY LISTINGS FOR SALE OR LEASE
Property Detail
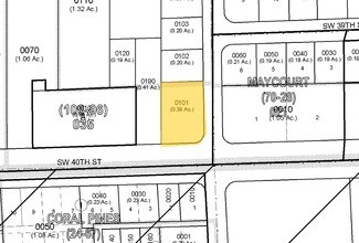
8401 Bird Rd
30-4015-000-0101
15 54 40 .405 AC M/L S215FT OF E132FT OF S1/2 OF SW1/4 OF SW1/4 LESS E25FT & S50FT FOR RD OR 12815-2293 0386 4 COC 23311-1819 04 2005 4
Servicestation
Miami/Dade
X
Florida
12086C0452L
0.41 AC
2024
West Miami
2025
South Florida
007709
Miami-Miami Beach-Kendall, FL
2,400 SF
DEMOGRAPHICS near 8401 Bird Rd
1 Mile
3 Mile
5 Mile
2024 Total Population
15,359
166,787
429,560
2029 Population
14,778
161,814
418,362
Pop Growth 2024-2029
(3.78%)
(2.98%)
(2.61%)
Average Age
45
44
43
2024 Total Households
4,937
56,948
155,094
HH Growth 2024-2029
(4.27%)
(3.37%)
(2.82%)
Median Household Inc
$63,653
$67,554
$66,628
Avg Household Size
2.90
2.70
2.60
2024 Avg HH Vehicles
2.00
2.00
2.00
Median Home Value
$433,905
$418,349
$420,283
Median Year Built
1958
1970
1975
Nearby Places
- Restaurants
- Banks
- Shops
- Fitness
- Groceries
PUBLIC TRANSPORTATION
COMMUTER RAIL
Dadeland North (Metrorail Green Line - Miami-Dade Transit (Metrorail/Metromover))
DRIVE
WALK
Distance
Dadeland North (Metrorail Green Line - Miami-Dade Transit (Metrorail/Metromover))
9 min
5.0 mi
South Miami (Metrorail Green Line - Miami-Dade Transit (Metrorail/Metromover))
DRIVE
WALK
Distance
South Miami (Metrorail Green Line - Miami-Dade Transit (Metrorail/Metromover))
10 min
5.2 mi
AIRPORT
Miami International
DRIVE
WALK
Distance
Miami International
16 min
8.1 mi
Fort Lauderdale/Hollywood International
DRIVE
WALK
Distance
Fort Lauderdale/Hollywood International
48 min
34.3 mi
Freight Ports
Port of Miami
DRIVE
WALK
Distance
Port of Miami
26 min
15.2 mi
Nearby Properties
Address
Land Use
TOTAL SIZE
Lot Size
Zoning
Address
Land Use
TOTAL SIZE
Lot Size
Zoning
1,647,481 SF
23.04 AC
5000
Address
Land Use
TOTAL SIZE
Lot Size
Zoning
877,136 SF
2.96 AC
6112
Address
Land Use
TOTAL SIZE
Lot Size
Zoning
465,663 SF
11.29 AC
4100
Address
Land Use
TOTAL SIZE
Lot Size
Zoning
671,088 SF
19.84 AC
6400
Address
Land Use
TOTAL SIZE
Lot Size
Zoning
423,104 SF
2.58 AC
6200
Address
Land Use
TOTAL SIZE
Lot Size
Zoning
500,332 SF
3.46 AC
6000
Address
Land Use
TOTAL SIZE
Lot Size
Zoning
535,679 SF
2.73 AC
6000
Address
Land Use
TOTAL SIZE
Lot Size
Zoning
366,237 SF
9.24 AC
4100
Address
Land Use
TOTAL SIZE
Lot Size
Zoning
369,180 SF
2.07 AC
6200
Address
Land Use
TOTAL SIZE
Lot Size
Zoning
353,267 SF
30.40 AC
6400
Address
Land Use
TOTAL SIZE
Lot Size
Zoning
667,273 SF
38.34 AC
6400
Address
Land Use
TOTAL SIZE
Lot Size
Zoning
367,347 SF
2.07 AC
6200
Address
Land Use
TOTAL SIZE
Lot Size
Zoning
229,154 SF
9.02 AC
3900
Address
Land Use
TOTAL SIZE
Lot Size
Zoning
540,199 SF
24.93 AC
6400
Address
Land Use
TOTAL SIZE
Lot Size
Zoning
251,834 SF
31.85 AC
6200
Address
Land Use
TOTAL SIZE
Lot Size
Zoning
321,726 SF
1.35 AC
6200
Address
Land Use
TOTAL SIZE
Lot Size
Zoning
349,295 SF
25.16 AC
6061
Address
Land Use
TOTAL SIZE
Lot Size
Zoning
309,432 SF
272.32 AC
8900
Address
Land Use
TOTAL SIZE
Lot Size
Zoning
93,557 SF
24.05 AC
6400
Address
Land Use
TOTAL SIZE
Lot Size
Zoning
285,243 SF
17.59 AC
3800
Address
Land Use
TOTAL SIZE
Lot Size
Zoning
196,552 SF
23.31 AC
6400
Address
Land Use
TOTAL SIZE
Lot Size
Zoning
212,145 SF
15.67 AC
6400
Address
Land Use
TOTAL SIZE
Lot Size
Zoning
218,418 SF
18.90 AC
6400
Address
Land Use
TOTAL SIZE
Lot Size
Zoning
192,781 SF
17.05 AC
6600
Address
Land Use
TOTAL SIZE
Lot Size
Zoning
326,898 SF
16.41 AC
5700
Address
Land Use
TOTAL SIZE
Lot Size
Zoning
378,455 SF
5.54 AC
4100
Address
Land Use
TOTAL SIZE
Lot Size
Zoning
94,372 SF
17.62 AC
6400
Address
Land Use
TOTAL SIZE
Lot Size
Zoning
116,627 SF
74.78 AC
8900
Address
Land Use
TOTAL SIZE
Lot Size
Zoning
199,599 SF
2.22 AC
6400
Address
Land Use
TOTAL SIZE
Lot Size
Zoning
196,512 SF
27.88 AC
0100



