Property Record
8412 Sunstate St, Tampa, FL 33634
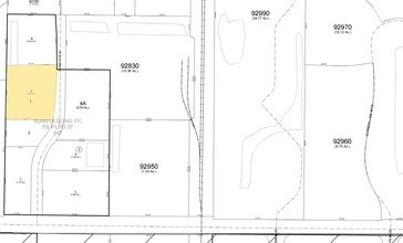
Property Detail
8412 Sunstate St
U-20-28-18-147-000001-00003.0
SUNSTATE INDUSTRIAL PARK LOT 3 BLOCK 1
Warehouse
HILLSBOROUGH
M
Florida
AE The base floodplain where base flood elevations are provided. AE Zones are now used on new format FIRMs instead of A1-A30 Zones.
3
2024
2.54 AC
2025
Westshore/Airport
011611
Tampa/St Petersburg
29,892 SF
Tampa-St. Petersburg-Clearwater, FL
NEARBY LISTINGS FOR SALE OR LEASE
DEMOGRAPHICS near 8412 Sunstate St
1 mile
3 mile
5 mile
2025 Total Population
5,863
111,995
299,229
2030 Population
6,276
119,434
319,576
Pop Growth 2025-2030
+ 7.04%
+ 6.64%
+ 6.80%
Average Age
38
41
41
2025 Total Households
2,374
43,902
120,754
HH Growth 2025-2030
+ 7.25%
+ 6.88%
+ 7.01%
Median Household Inc
$56,999
$65,950
$71,229
Avg Household Size
2.40
2.50
2.40
2025 Avg HH Vehicles
2.00
2.00
2.00
Median Home Value
$337,755
$365,290
$380,438
Median Year Built
1986
1982
1983
Nearby Places
Map Layers
Listings with unknown addresses are not visible on the map
- Restaurants
- Banks
- Shops
- Fitness
- Groceries
PUBLIC TRANSPORTATION
AIRPORT
Tampa International
Drive
Walk
Distance
Tampa International
15 min
7.8 mi
St Pete-Clearwater International
Drive
Walk
Distance
St Pete-Clearwater International
35 min
19.3 mi
Freight Ports
Port of Tampa Bay
Drive
Walk
Distance
Port of Tampa Bay
25 min
13.2 mi
SALE & LEASE HISTORY
LISTING DATE
SALE/LEASE
Nearby Properties
Address
Land Use
TOTAL SIZE
Lot Size
Zoning
Address
Land Use
TOTAL SIZE
Lot Size
Zoning
596,669 SF
65.71 AC
PD
Address
Land Use
TOTAL SIZE
Lot Size
Zoning
289,875 SF
19.58 AC
IG
Address
Land Use
TOTAL SIZE
Lot Size
Zoning
306,362 SF
13.01 AC
PD
Address
Land Use
TOTAL SIZE
Lot Size
Zoning
2,226 SF
438.48 AC
SPI-AP-1
Address
Land Use
TOTAL SIZE
Lot Size
Zoning
421,814 SF
22.34 AC
PD
Address
Land Use
TOTAL SIZE
Lot Size
Zoning
521,097 SF
30.92 AC
RMC-20
Address
Land Use
TOTAL SIZE
Lot Size
Zoning
547,785 SF
65.75 AC
RMC-20
Address
Land Use
TOTAL SIZE
Lot Size
Zoning
292,677 SF
12.67 AC
RM-24
Address
Land Use
TOTAL SIZE
Lot Size
Zoning
247,794 SF
11.19 AC
PD
Address
Land Use
TOTAL SIZE
Lot Size
Zoning
384,891 SF
18.49 AC
PD
Address
Land Use
TOTAL SIZE
Lot Size
Zoning
403,548 SF
34.85 AC
RMC-12
Address
Land Use
TOTAL SIZE
Lot Size
Zoning
251,753 SF
15.96 AC
RMC-20
Address
Land Use
TOTAL SIZE
Lot Size
Zoning
257,358 SF
19.09 AC
SPI-AP-5
Address
Land Use
TOTAL SIZE
Lot Size
Zoning
300,966 SF
29.46 AC
PD
Address
Land Use
TOTAL SIZE
Lot Size
Zoning
244,454 SF
18.87 AC
PD
Address
Land Use
TOTAL SIZE
Lot Size
Zoning
190,205 SF
15.02 AC
RMC-16
Address
Land Use
TOTAL SIZE
Lot Size
Zoning
249,953 SF
17.86 AC
PD
Address
Land Use
TOTAL SIZE
Lot Size
Zoning
308,474 SF
25.75 AC
RMC-20
Address
Land Use
TOTAL SIZE
Lot Size
Zoning
178,877 SF
21.53 AC
PD
Address
Land Use
TOTAL SIZE
Lot Size
Zoning
345,940 SF
47.53 AC
RMC-12
Address
Land Use
TOTAL SIZE
Lot Size
Zoning
197,535 SF
36.18 AC
PD
Address
Land Use
TOTAL SIZE
Lot Size
Zoning
156,020 SF
4.13 AC
PD
Address
Land Use
TOTAL SIZE
Lot Size
Zoning
236,403 SF
12.83 AC
RM-24
Address
Land Use
TOTAL SIZE
Lot Size
Zoning
226,734 SF
13.82 AC
RM-24
Address
Land Use
TOTAL SIZE
Lot Size
Zoning
344,472 SF
13.57 AC
RM-24
Address
Land Use
TOTAL SIZE
Lot Size
Zoning
431,340 SF
22.70 AC
SPI-AP-3
Address
Land Use
TOTAL SIZE
Lot Size
Zoning
124,896 SF
13.42 AC
PD
Address
Land Use
TOTAL SIZE
Lot Size
Zoning
138,092 SF
11.68 AC
SPI-AP-5
Address
Land Use
TOTAL SIZE
Lot Size
Zoning
292,496 SF
46.21 AC
RSC-9
Address
Land Use
TOTAL SIZE
Lot Size
Zoning
165,689 SF
12.02 AC
PD








