Property Record
845 E Sixth St, Beaumont, CA 92223
Property Detail
845 E Sixth St
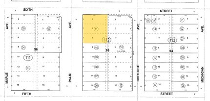
418-112-011
POR LOTS 2, 4 & 6 BLK 95 MB 006/016 SB AMENDED MAP OF THE TOWN OF BEAUMONT
Apartment
Riverside
C2
California
C and X Area of minimal flood hazard, usually depicted on FIRMs as above the 500-year flood level.
6
2024
0.64 AC
2025
Downtown Beaumont
044000
Inland Empire (California)
8,189 SF
Riverside-San Bernardino-Ontario, CA
NEARBY LISTINGS FOR SALE OR LEASE
-
-
View all Beaumont listings for sale on LoopNet.com
DEMOGRAPHICS near 845 E Sixth St
1 mile
3 mile
5 mile
2025 Total Population
11,626
58,331
84,218
2030 Population
11,909
60,341
87,399
Pop Growth 2025-2030
+ 2.43%
+ 3.45%
+ 3.78%
Average Age
35
42
42
2025 Total Households
3,537
20,657
29,145
HH Growth 2025-2030
+ 2.09%
+ 2.85%
+ 3.18%
Median Household Inc
$77,712
$86,149
$90,092
Avg Household Size
3.20
2.80
2.80
2025 Avg HH Vehicles
2.00
2.00
2.00
Median Home Value
$436,683
$469,961
$478,976
Median Year Built
1980
2001
2000
Nearby Places
Map Layers
Listings with unknown addresses are not visible on the map
- Restaurants
- Banks
- Shops
- Fitness
- Groceries
PUBLIC TRANSPORTATION
AIRPORT
Palm Springs International
Drive
Walk
Distance
Palm Springs International
39 min
31.8 mi
SALE & LEASE HISTORY
LISTING DATE
SALE/LEASE
Nearby Properties
Address
Land Use
TOTAL SIZE
Lot Size
Zoning
Address
Land Use
TOTAL SIZE
Lot Size
Zoning
2,643,646 SF
59.98 AC
Address
Land Use
TOTAL SIZE
Lot Size
Zoning
600,000 SF
30.81 AC
RA
Address
Land Use
TOTAL SIZE
Lot Size
Zoning
146,056 SF
15.95 AC
Address
Land Use
TOTAL SIZE
Lot Size
Zoning
444,455 SF
19.89 AC
IND
Address
Land Use
TOTAL SIZE
Lot Size
Zoning
95,590 SF
7.48 AC
Address
Land Use
TOTAL SIZE
Lot Size
Zoning
153,303 SF
11.08 AC
Address
Land Use
TOTAL SIZE
Lot Size
Zoning
30.91 AC
Address
Land Use
TOTAL SIZE
Lot Size
Zoning
211,062 SF
11.02 AC
Address
Land Use
TOTAL SIZE
Lot Size
Zoning
216,071 SF
21.90 AC
Address
Land Use
TOTAL SIZE
Lot Size
Zoning
174,418 SF
46.93 AC
Address
Land Use
TOTAL SIZE
Lot Size
Zoning
116,175 SF
4.86 AC
RA
Address
Land Use
TOTAL SIZE
Lot Size
Zoning
44,506 SF
2.35 AC
Address
Land Use
TOTAL SIZE
Lot Size
Zoning
97,103 SF
8 AC
Address
Land Use
TOTAL SIZE
Lot Size
Zoning
39,866 SF
3.55 AC
Address
Land Use
TOTAL SIZE
Lot Size
Zoning
43,105 SF
4.23 AC
Address
Land Use
TOTAL SIZE
Lot Size
Zoning
42,325 SF
2.31 AC
Address
Land Use
TOTAL SIZE
Lot Size
Zoning
44,506 SF
2.84 AC
Address
Land Use
TOTAL SIZE
Lot Size
Zoning
141,286 SF
10.72 AC
Address
Land Use
TOTAL SIZE
Lot Size
Zoning
103,087 SF
8.52 AC
Address
Land Use
TOTAL SIZE
Lot Size
Zoning
27,359 SF
1.97 AC
C2
Address
Land Use
TOTAL SIZE
Lot Size
Zoning
64,465 SF
3.56 AC
Address
Land Use
TOTAL SIZE
Lot Size
Zoning
127,688 SF
6.75 AC
IND
Address
Land Use
TOTAL SIZE
Lot Size
Zoning
90,184 SF
4.81 AC
C1
Address
Land Use
TOTAL SIZE
Lot Size
Zoning
87,015 SF
6.90 AC
C-HS
Address
Land Use
TOTAL SIZE
Lot Size
Zoning
42,602 SF
3.91 AC
RA
Address
Land Use
TOTAL SIZE
Lot Size
Zoning
59,641 SF
2.02 AC
CPS
Address
Land Use
TOTAL SIZE
Lot Size
Zoning
24,542 SF
3.02 AC








