Property Record
8535 Phinney Ave N, Seattle, WA 98103
Current Lease Availabilities
NEARBY LISTINGS FOR SALE OR LEASE
Property Detail
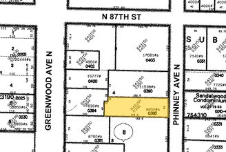
8535 Phinney Ave N
Seattle-Tacoma-Bellevue, WA
Osners Suburban Homes Add
643150-0395
OSNERS SUBURBAN HOMES ADD S 40 FT OF E 172.5 FT TGW S 12 FT OF N 83 FT OF E 162.5 FT PLAT BLOCK: 8 PLAT LOT: 4
Medicalbuilding
King
X
Washington
53033C0330G
4
2025
0.20 AC
2024
Northgate/N Seattle
001701
Seattle/Puget Sound
6,307 SF
DEMOGRAPHICS near 8535 Phinney Ave N
1 Mile
3 Mile
5 Mile
2024 Total Population
35,850
240,273
441,918
2029 Population
36,243
242,877
446,581
Pop Growth 2024-2029
+ 1.10%
+ 1.08%
+ 1.06%
Average Age
38
38
38
2024 Total Households
16,125
111,159
202,839
HH Growth 2024-2029
+ 1.00%
+ 1.09%
+ 1.08%
Median Household Inc
$118,746
$111,871
$116,838
Avg Household Size
2.20
2.10
2.00
2024 Avg HH Vehicles
2.00
1.00
1.00
Median Home Value
$838,017
$880,597
$924,757
Median Year Built
1970
1972
1971
Nearby Places
Map Layers
- Restaurants
- Banks
- Shops
- Fitness
- Groceries
PUBLIC TRANSPORTATION
COMMUTER RAIL
King Street (Seattle) Station (Sounder South Line - Central Puget Sound Regional Transit Authority Rail (Link Light Rail/Sounder))
DRIVE
WALK
Distance
King Street (Seattle) Station (Sounder South Line - Central Puget Sound Regional Transit Authority Rail (Link Light Rail/Sounder))
16 min
8.2 mi
AIRPORT
Seattle Paine Field International
DRIVE
WALK
Distance
Seattle Paine Field International
32 min
19.5 mi
Seattle-Tacoma International
DRIVE
WALK
Distance
Seattle-Tacoma International
34 min
21.4 mi
Freight Ports
Port of Seattle
DRIVE
WALK
Distance
Port of Seattle
22 min
11.9 mi
Nearby Properties
Address
Land Use
TOTAL SIZE
Lot Size
Zoning
Address
Land Use
TOTAL SIZE
Lot Size
Zoning
7,549 SF
59.34 AC
MIO-105-LR
Address
Land Use
TOTAL SIZE
Lot Size
Zoning
612,844 SF
0.09 AC
SM-U/R 75-
Address
Land Use
TOTAL SIZE
Lot Size
Zoning
107.93 AC
NR3
Address
Land Use
TOTAL SIZE
Lot Size
Zoning
42,500 SF
90.92 AC
NR3
Address
Land Use
TOTAL SIZE
Lot Size
Zoning
241,955 SF
12.81 AC
LR2 (M)
Address
Land Use
TOTAL SIZE
Lot Size
Zoning
12,544 SF
99.44 AC
C1-40
Address
Land Use
TOTAL SIZE
Lot Size
Zoning
227,088 SF
1.64 AC
NC3-75 (M)
Address
Land Use
TOTAL SIZE
Lot Size
Zoning
79,572 SF
27.40 AC
MML U/45
Address
Land Use
TOTAL SIZE
Lot Size
Zoning
65,643 SF
53.62 AC
MML U/45
Address
Land Use
TOTAL SIZE
Lot Size
Zoning
20,289 SF
10.76 AC
MIO-50-LR3
Address
Land Use
TOTAL SIZE
Lot Size
Zoning
210,103 SF
1.03 AC
NC3P-95 (M
Address
Land Use
TOTAL SIZE
Lot Size
Zoning
131,790 SF
0.37 AC
SM-U 75-24
Address
Land Use
TOTAL SIZE
Lot Size
Zoning
223,047 SF
0.18 AC
NC2P-75 (M
Address
Land Use
TOTAL SIZE
Lot Size
Zoning
382,762 SF
7.14 AC
NR3
Address
Land Use
TOTAL SIZE
Lot Size
Zoning
172,297 SF
4.21 AC
NC3-95 (M)
Address
Land Use
TOTAL SIZE
Lot Size
Zoning
0.31 AC
SM-U 95-32
Address
Land Use
TOTAL SIZE
Lot Size
Zoning
10,090 SF
11.73 AC
NC3-95 (M)
Address
Land Use
TOTAL SIZE
Lot Size
Zoning
132,183 SF
0.76 AC
NC2-65
Address
Land Use
TOTAL SIZE
Lot Size
Zoning
6,534 SF
0.55 AC
IC-65 (M)
Address
Land Use
TOTAL SIZE
Lot Size
Zoning
199,018 SF
0.40 AC
NC3P-95 (M
Address
Land Use
TOTAL SIZE
Lot Size
Zoning
196,820 SF
0.64 AC
NC3P-95 (M
Address
Land Use
TOTAL SIZE
Lot Size
Zoning
162,182 SF
9.10 AC
LR2 (M)
Address
Land Use
TOTAL SIZE
Lot Size
Zoning
205,000 SF
13.89 AC
NR3
Address
Land Use
TOTAL SIZE
Lot Size
Zoning
207,576 SF
5.98 AC
MR (M)
Address
Land Use
TOTAL SIZE
Lot Size
Zoning
160,593 SF
1.57 AC
NC3P-75 (M
Address
Land Use
TOTAL SIZE
Lot Size
Zoning
16,208 SF
0.69 AC
NC2-75 (M1
Address
Land Use
TOTAL SIZE
Lot Size
Zoning
183,056 SF
1.95 AC
C1-55 (M)
Address
Land Use
TOTAL SIZE
Lot Size
Zoning
168,619 SF
7.79 AC
NC3-145 (M
Address
Land Use
TOTAL SIZE
Lot Size
Zoning
133,896 SF
0.82 AC
SM-U 95-32





