Property Record
8620 Highway 377, Pilot Point, TX 76258
Property Detail
8620 Highway 377
Dallas-Fort Worth-Arlington, TX
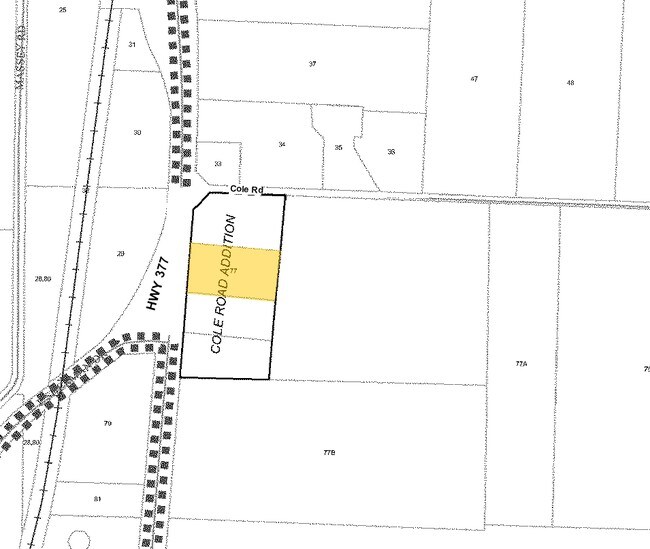
COLE ROAD ADDN BLK A LOT 2
R43362
Denton
Commercialnec
Texas
B and X Area of moderate flood hazard, usually the area between the limits of the 100-year and 500-year floods.
2
2024
2.02 AC
2025
Outlying Denton County
020129
Dallas/Ft Worth
6,600 SF
NEARBY LISTINGS FOR SALE OR LEASE
DEMOGRAPHICS near 8620 Highway 377
1 mile
3 mile
5 mile
2025 Total Population
182
5,642
16,581
2030 Population
201
6,402
19,161
Pop Growth 2025-2030
+ 10.44%
+ 13.47%
+ 15.56%
Average Age
44
41
40
2025 Total Households
70
2,118
6,116
HH Growth 2025-2030
+ 10.00%
+ 13.79%
+ 15.88%
Median Household Inc
$99,999
$104,713
$107,176
Avg Household Size
2.50
2.60
2.70
2025 Avg HH Vehicles
3.00
2.00
2.00
Median Home Value
$583,333
$401,042
$429,491
Median Year Built
1995
2005
2009
Nearby Places
Map Layers
Listings with unknown addresses are not visible on the map
- Restaurants
- Banks
- Shops
- Fitness
- Groceries
PUBLIC TRANSPORTATION
AIRPORT
Dallas-Fort Worth International
Drive
Walk
Distance
Dallas-Fort Worth International
53 min
36.6 mi
Dallas Love Field
Drive
Walk
Distance
Dallas Love Field
62 min
47.2 mi
Nearby Properties
Address
Land Use
TOTAL SIZE
Lot Size
Zoning
Address
Land Use
TOTAL SIZE
Lot Size
Zoning
249,782 SF
48.28 AC
Address
Land Use
TOTAL SIZE
Lot Size
Zoning
141,215 SF
32 AC
Address
Land Use
TOTAL SIZE
Lot Size
Zoning
59,334 SF
14.62 AC
Address
Land Use
TOTAL SIZE
Lot Size
Zoning
169,130 SF
8.50 AC
Address
Land Use
TOTAL SIZE
Lot Size
Zoning
63,434 SF
10.70 AC
Address
Land Use
TOTAL SIZE
Lot Size
Zoning
68,910 SF
16.02 AC
Address
Land Use
TOTAL SIZE
Lot Size
Zoning
38,475 SF
5 AC
Address
Land Use
TOTAL SIZE
Lot Size
Zoning
113,212 SF
19.34 AC
Address
Land Use
TOTAL SIZE
Lot Size
Zoning
5,951 SF
44.58 AC
Address
Land Use
TOTAL SIZE
Lot Size
Zoning
24,161 SF
5.81 AC
Address
Land Use
TOTAL SIZE
Lot Size
Zoning
13,962 SF
6.41 AC
Address
Land Use
TOTAL SIZE
Lot Size
Zoning
8,080 SF
60.39 AC
Address
Land Use
TOTAL SIZE
Lot Size
Zoning
37,676 SF
Address
Land Use
TOTAL SIZE
Lot Size
Zoning
138,700 SF
13.42 AC
Address
Land Use
TOTAL SIZE
Lot Size
Zoning
18,648 SF
18.63 AC
Address
Land Use
TOTAL SIZE
Lot Size
Zoning
17,259 SF
19.99 AC
Address
Land Use
TOTAL SIZE
Lot Size
Zoning
10,526 SF
64.44 AC
Address
Land Use
TOTAL SIZE
Lot Size
Zoning
33,448 SF
15 AC
Address
Land Use
TOTAL SIZE
Lot Size
Zoning
22,328 SF
8 AC
Address
Land Use
TOTAL SIZE
Lot Size
Zoning
11,250 SF
1.75 AC
Address
Land Use
TOTAL SIZE
Lot Size
Zoning
20,180 SF
11.11 AC
Address
Land Use
TOTAL SIZE
Lot Size
Zoning
2,750 SF
97.87 AC
Address
Land Use
TOTAL SIZE
Lot Size
Zoning
16,330 SF
4.86 AC
Address
Land Use
TOTAL SIZE
Lot Size
Zoning
13,900 SF
22.80 AC
Address
Land Use
TOTAL SIZE
Lot Size
Zoning
10,640 SF
3.10 AC
Address
Land Use
TOTAL SIZE
Lot Size
Zoning
25,000 SF
1.73 AC
Address
Land Use
TOTAL SIZE
Lot Size
Zoning
10,947 SF
18.96 AC
Address
Land Use
TOTAL SIZE
Lot Size
Zoning
15,306 SF
42.58 AC
Address
Land Use
TOTAL SIZE
Lot Size
Zoning
20,400 SF
3.17 AC
Address
Land Use
TOTAL SIZE
Lot Size
Zoning
44,790 SF
4.19 AC






