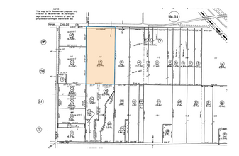
Property Record
864 E Childs Ave, Merced, CA 95341
Property Detail
864 E Childs Ave
Merced, CA
MER COL LOT 115 SEC 32/7/14
259-150-002
Merced
Industrialacreage
California
M2
115
AO River or stream flood hazard areas, and areas with a 1% or greater chance of shallow flooding each year. These areas have a 26% chance of flooding over the life of a 30-year mortgage.
20 AC
2024
Merced
2025
Fresno
001604
NEARBY LISTINGS FOR SALE OR LEASE
DEMOGRAPHICS near 864 E Childs Ave
1 mile
3 mile
5 mile
2025 Total Population
12,325
79,528
114,431
2030 Population
12,807
82,470
119,239
Pop Growth 2025-2030
+ 3.91%
+ 3.70%
+ 4.20%
Average Age
33
35
35
2025 Total Households
3,562
25,252
34,924
HH Growth 2025-2030
+ 3.96%
+ 3.79%
+ 4.18%
Median Household Inc
$41,151
$50,590
$55,908
Avg Household Size
3.40
3.00
3.10
2025 Avg HH Vehicles
2.00
2.00
2.00
Median Home Value
$316,582
$351,605
$373,637
Median Year Built
1977
1978
1984
Nearby Places
Map Layers
Listings with unknown addresses are not visible on the map
- Restaurants
- Banks
- Shops
- Fitness
- Groceries
SALE & LEASE HISTORY
LISTING DATE
SALE/LEASE
Nearby Properties
Address
Land Use
TOTAL SIZE
Lot Size
Zoning
Address
Land Use
TOTAL SIZE
Lot Size
Zoning
4.01 AC
Address
Land Use
TOTAL SIZE
Lot Size
Zoning
7,182 SF
14.73 AC
R32
Address
Land Use
TOTAL SIZE
Lot Size
Zoning
11,692 SF
24.50 AC
IH
Address
Land Use
TOTAL SIZE
Lot Size
Zoning
12.35 AC
CG
Address
Land Use
TOTAL SIZE
Lot Size
Zoning
10.18 AC
R16
Address
Land Use
TOTAL SIZE
Lot Size
Zoning
2.90 AC
CO
Address
Land Use
TOTAL SIZE
Lot Size
Zoning
27.48 AC
PD
Address
Land Use
TOTAL SIZE
Lot Size
Zoning
8.44 AC
PD
Address
Land Use
TOTAL SIZE
Lot Size
Zoning
49 AC
M2
Address
Land Use
TOTAL SIZE
Lot Size
Zoning
10.10 AC
PD
Address
Land Use
TOTAL SIZE
Lot Size
Zoning
3.90 AC
PD
Address
Land Use
TOTAL SIZE
Lot Size
Zoning
2 AC
PD
Address
Land Use
TOTAL SIZE
Lot Size
Zoning
10.30 AC
CT
Address
Land Use
TOTAL SIZE
Lot Size
Zoning
11.80 AC
PD
Address
Land Use
TOTAL SIZE
Lot Size
Zoning
5.91 AC
PD
Address
Land Use
TOTAL SIZE
Lot Size
Zoning
0.48 AC
CC
Address
Land Use
TOTAL SIZE
Lot Size
Zoning
124,880 SF
10 AC
PD
Address
Land Use
TOTAL SIZE
Lot Size
Zoning
5,853 SF
8.16 AC
Address
Land Use
TOTAL SIZE
Lot Size
Zoning
1.90 AC
CT
Address
Land Use
TOTAL SIZE
Lot Size
Zoning
6,296 SF
3.30 AC
Address
Land Use
TOTAL SIZE
Lot Size
Zoning
26,594 SF
0.36 AC
PD
Address
Land Use
TOTAL SIZE
Lot Size
Zoning
0.34 AC
CC
Address
Land Use
TOTAL SIZE
Lot Size
Zoning
5.40 AC
PD
Address
Land Use
TOTAL SIZE
Lot Size
Zoning
3,058 SF
4 AC
PD
Address
Land Use
TOTAL SIZE
Lot Size
Zoning
5.56 AC
CN
Address
Land Use
TOTAL SIZE
Lot Size
Zoning
1.89 AC
CT
Address
Land Use
TOTAL SIZE
Lot Size
Zoning
2.97 AC
Address
Land Use
TOTAL SIZE
Lot Size
Zoning
5,360 SF
1.87 AC
CT
Address
Land Use
TOTAL SIZE
Lot Size
Zoning
5.27 AC
R315
Address
Land Use
TOTAL SIZE
Lot Size
Zoning
2 AC
CT








