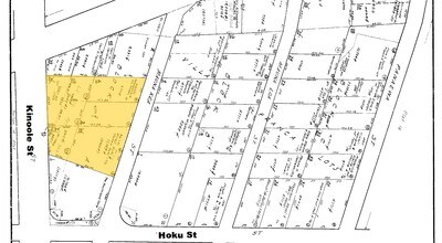
Property Record
865 Kinoole St, Hilo, HI 96720
NEARBY LISTINGS FOR SALE OR LEASE
Property Detail
865 Kinoole St
Hilo-Kailua, HI
Villa Franca Lots
3-2-2-017-040-0000
LOT 17-B 2101 SF BLK 1 MAP 2 LCAPP 385 LOT 17-C 2096 SF BLK 1 MAP 2 LCAPP 385 2801 SF DES LPGR 11,189 (TOTAL AREA 6998 SF)
Commercialnec
Hawaii
X
Hawaii
1551660904F
17-b
2024
0.16 AC
2025
Hilo/East Big Island
020400
Hawaii
16,563 SF
DEMOGRAPHICS near 865 Kinoole St
1 Mile
3 Mile
5 Mile
2024 Total Population
11,683
40,766
52,679
2029 Population
12,798
44,064
56,660
Pop Growth 2024-2029
+ 9.54%
+ 8.09%
+ 7.56%
Average Age
40
42
42
2024 Total Households
4,651
15,006
19,123
HH Growth 2024-2029
+ 9.57%
+ 8.06%
+ 7.50%
Median Household Inc
$39,444
$67,119
$71,412
Avg Household Size
2.30
2.60
2.60
2024 Avg HH Vehicles
1.00
2.00
2.00
Median Home Value
$383,048
$454,252
$470,564
Median Year Built
1978
1979
1980
Nearby Places
Map Layers
- Restaurants
- Banks
- Shops
- Fitness
- Groceries
PUBLIC TRANSPORTATION
AIRPORT
Hilo International
DRIVE
WALK
Distance
Hilo International
17 min
4.8 mi
Nearby Properties
Address
Land Use
TOTAL SIZE
Lot Size
Zoning
Address
Land Use
TOTAL SIZE
Lot Size
Zoning
165,552 SF
8 AC
CG-7.5
Address
Land Use
TOTAL SIZE
Lot Size
Zoning
231,016 SF
20.40 AC
RS-10
Address
Land Use
TOTAL SIZE
Lot Size
Zoning
474,990 SF
36.50 AC
OPEN
Address
Land Use
TOTAL SIZE
Lot Size
Zoning
328,862 SF
858.74 AC
OPEN
Address
Land Use
TOTAL SIZE
Lot Size
Zoning
218,538 SF
15.57 AC
MCX-20
Address
Land Use
TOTAL SIZE
Lot Size
Zoning
121,312 SF
5 AC
V-.75
Address
Land Use
TOTAL SIZE
Lot Size
Zoning
94,704 SF
2.95 AC
V-.75
Address
Land Use
TOTAL SIZE
Lot Size
Zoning
51,381 SF
4.04 AC
CG-7.5
Address
Land Use
TOTAL SIZE
Lot Size
Zoning
79,794 SF
6.54 AC
CG-7.5
Address
Land Use
TOTAL SIZE
Lot Size
Zoning
5.39 AC
RM-3
Address
Land Use
TOTAL SIZE
Lot Size
Zoning
103,234 SF
10.69 AC
ML-20
Address
Land Use
TOTAL SIZE
Lot Size
Zoning
26,540 SF
442.49 AC
A-5a
Address
Land Use
TOTAL SIZE
Lot Size
Zoning
101,100 SF
13.59 AC
OPEN
Address
Land Use
TOTAL SIZE
Lot Size
Zoning
38,412 SF
6.38 AC
RM-4
Address
Land Use
TOTAL SIZE
Lot Size
Zoning
39,714 SF
14.52 AC
MG-1a
Address
Land Use
TOTAL SIZE
Lot Size
Zoning
78,022 SF
8.04 AC
CN-10
Address
Land Use
TOTAL SIZE
Lot Size
Zoning
102,518 SF
7.72 AC
CN-10
Address
Land Use
TOTAL SIZE
Lot Size
Zoning
134,564 SF
5.19 AC
CG-20
Address
Land Use
TOTAL SIZE
Lot Size
Zoning
103,932 SF
4.02 AC
CG-7.5
Address
Land Use
TOTAL SIZE
Lot Size
Zoning
90,060 SF
10.56 AC
MG-1a
Address
Land Use
TOTAL SIZE
Lot Size
Zoning
53,338 SF
30 AC
A-1a
Address
Land Use
TOTAL SIZE
Lot Size
Zoning
8,000 SF
25.32 AC
MG-1a
Address
Land Use
TOTAL SIZE
Lot Size
Zoning
88,364 SF
7.94 AC
RM-1
Address
Land Use
TOTAL SIZE
Lot Size
Zoning
51,762 SF
9.17 AC
RS-10
Address
Land Use
TOTAL SIZE
Lot Size
Zoning
71,912 SF
3 AC
A-3a
Address
Land Use
TOTAL SIZE
Lot Size
Zoning
53,881 SF
1.82 AC
CDH
Address
Land Use
TOTAL SIZE
Lot Size
Zoning
35,854 SF
1.85 AC
V-.75
Address
Land Use
TOTAL SIZE
Lot Size
Zoning
12.77 AC
ML-20
Address
Land Use
TOTAL SIZE
Lot Size
Zoning
13,237 SF
2.55 AC
CG-7.5
Address
Land Use
TOTAL SIZE
Lot Size
Zoning
56,690 SF
2.91 AC
CN-10





