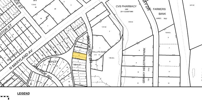
Property Record
9 Brookside Dr, Wilmington, DE 19804
Property Detail
9 Brookside Dr
07-039.40-007
L8 THRU 11
Industrialgeneral
New Castle
I
Delaware
AE The base floodplain where base flood elevations are provided. AE Zones are now used on new format FIRMs instead of A1-A30 Zones.
p9-11
2025
0.17 AC
2025
Wilmington
012900
Philadelphia
4,320 SF
Philadelphia-Camden-Wilmington, PA-NJ-DE-MD
NEARBY LISTINGS FOR SALE OR LEASE
DEMOGRAPHICS near 9 Brookside Dr
1 mile
3 mile
5 mile
2025 Total Population
17,510
117,181
195,032
2030 Population
17,910
120,906
200,651
Pop Growth 2025-2030
+ 2.28%
+ 3.18%
+ 2.88%
Average Age
38
40
41
2025 Total Households
6,981
48,437
80,091
HH Growth 2025-2030
+ 2.42%
+ 3.35%
+ 3.04%
Median Household Inc
$64,955
$63,169
$71,474
Avg Household Size
2.40
2.30
2.30
2025 Avg HH Vehicles
1.00
1.00
2.00
Median Home Value
$237,673
$251,753
$278,311
Median Year Built
1952
1952
1956
Nearby Places
Map Layers
Listings with unknown addresses are not visible on the map
- Restaurants
- Banks
- Shops
- Fitness
- Groceries
PUBLIC TRANSPORTATION
COMMUTER RAIL
Wilmington (R2 - Southeastern Pennsylvania Transportation Authority Regional Rail (SEPTA Regional Rail))
Drive
Walk
Distance
Wilmington (R2 - Southeastern Pennsylvania Transportation Authority Regional Rail (SEPTA Regional Rail))
5 min
2.0 mi
Churchmans Crossing (R2 - Southeastern Pennsylvania Transportation Authority Regional Rail (SEPTA Regional Rail))
Drive
Walk
Distance
Churchmans Crossing (R2 - Southeastern Pennsylvania Transportation Authority Regional Rail (SEPTA Regional Rail))
13 min
6.6 mi
AIRPORT
Philadelphia International
Drive
Walk
Distance
Philadelphia International
35 min
22.3 mi
Freight Ports
Port of Wilmington, RI
Drive
Walk
Distance
Port of Wilmington, RI
13 min
4.7 mi
Nearby Properties
Address
Land Use
TOTAL SIZE
Lot Size
Zoning
Address
Land Use
TOTAL SIZE
Lot Size
Zoning
202,328 SF
10.98 AC
26R5-C
Address
Land Use
TOTAL SIZE
Lot Size
Zoning
624,255 SF
132.95 AC
SR
Address
Land Use
TOTAL SIZE
Lot Size
Zoning
22,013 SF
55.17 AC
S
Address
Land Use
TOTAL SIZE
Lot Size
Zoning
14,810 SF
16.25 AC
26M-2
Address
Land Use
TOTAL SIZE
Lot Size
Zoning
7,840 SF
3.82 AC
26C-4
Address
Land Use
TOTAL SIZE
Lot Size
Zoning
819,930 SF
78.51 AC
HI
Address
Land Use
TOTAL SIZE
Lot Size
Zoning
20,000 SF
1.26 AC
26C-4
Address
Land Use
TOTAL SIZE
Lot Size
Zoning
871,571 SF
59.53 AC
OR
Address
Land Use
TOTAL SIZE
Lot Size
Zoning
593,288 SF
20.38 AC
OR
Address
Land Use
TOTAL SIZE
Lot Size
Zoning
679,619 SF
5.91 AC
26R-3
Address
Land Use
TOTAL SIZE
Lot Size
Zoning
410,310 SF
1.27 AC
26R-3
Address
Land Use
TOTAL SIZE
Lot Size
Zoning
160,931 SF
1.02 AC
26C-6
Address
Land Use
TOTAL SIZE
Lot Size
Zoning
2,864 SF
1.02 AC
26C-4
Address
Land Use
TOTAL SIZE
Lot Size
Zoning
8,025 SF
177.81 AC
26M-2
Address
Land Use
TOTAL SIZE
Lot Size
Zoning
186,374 SF
178.45 AC
SR
Address
Land Use
TOTAL SIZE
Lot Size
Zoning
227,700 SF
23.46 AC
OR
Address
Land Use
TOTAL SIZE
Lot Size
Zoning
116,042 SF
108.83 AC
SR
Address
Land Use
TOTAL SIZE
Lot Size
Zoning
406,158 SF
1.29 AC
26C-4
Address
Land Use
TOTAL SIZE
Lot Size
Zoning
356,859 SF
55.73 AC
OR
Address
Land Use
TOTAL SIZE
Lot Size
Zoning
240,000 SF
0.79 AC
26R5-C
Address
Land Use
TOTAL SIZE
Lot Size
Zoning
43,918 SF
1.49 AC
26C-4
Address
Land Use
TOTAL SIZE
Lot Size
Zoning
332,844 SF
2.15 AC
26C-4
Address
Land Use
TOTAL SIZE
Lot Size
Zoning
258,984 SF
0.80 AC
26C-3
Address
Land Use
TOTAL SIZE
Lot Size
Zoning
38,140 SF
1.15 AC
26C-4
Address
Land Use
TOTAL SIZE
Lot Size
Zoning
27,330 SF
0.80 AC
26C-4
Address
Land Use
TOTAL SIZE
Lot Size
Zoning
43,325 SF
2.69 AC
26C-4
Address
Land Use
TOTAL SIZE
Lot Size
Zoning
12,500 SF
2.05 AC
26W4
Address
Land Use
TOTAL SIZE
Lot Size
Zoning
301,712 SF
0.92 AC
26C-4
Address
Land Use
TOTAL SIZE
Lot Size
Zoning
234,457 SF
18.18 AC
26R-3
Address
Land Use
TOTAL SIZE
Lot Size
Zoning
472,000 SF
1.05 AC
26C-4







