Property Record
90575 64Th St, Mecca, CA 92254
Property Detail
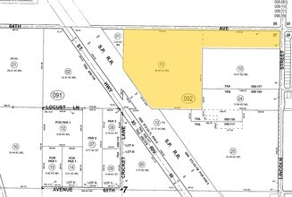
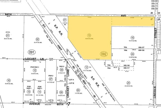
90575 64Th St
727-092-013
46.66 ACRES M/L IN POR NE 1/4 OF SEC 7 T7S R9E FOR TOTAL DESCRIPTION SEE ASSESSORS MAPS
Farms
RIVERSIDE
MM
California
B and X Area of moderate flood hazard, usually the area between the limits of the 100-year and 500-year floods.
46.66 AC
2024
Coachella Valley
2025
Inland Empire (California)
045612
Riverside-San Bernardino-Ontario, CA
NEARBY LISTINGS FOR SALE OR LEASE
DEMOGRAPHICS near 90575 64Th St
1 mile
3 mile
5 mile
2025 Total Population
3,694
7,090
13,713
2030 Population
3,588
6,913
13,747
Pop Growth 2025-2030
(2.87%)
(2.50%)
+ 0.25%
Average Age
33
32
32
2025 Total Households
844
1,585
3,101
HH Growth 2025-2030
(4.03%)
(3.60%)
(0.39%)
Median Household Inc
$39,264
$41,915
$38,367
Avg Household Size
4.10
4.10
4.10
2025 Avg HH Vehicles
2.00
2.00
2.00
Median Home Value
$183,333
$225,359
$98,213
Median Year Built
1989
1993
1992
Nearby Places
Map Layers
Listings with unknown addresses are not visible on the map
- Restaurants
- Banks
- Shops
- Fitness
- Groceries
PUBLIC TRANSPORTATION
AIRPORT
Palm Springs International
Drive
Walk
Distance
Palm Springs International
47 min
35.1 mi
Freight Ports
Port of San Diego
Drive
Walk
Distance
Port of San Diego
192 min
159.2 mi
SALE & LEASE HISTORY
LISTING DATE
SALE/LEASE
Nearby Properties
Address
Land Use
TOTAL SIZE
Lot Size
Zoning
Address
Land Use
TOTAL SIZE
Lot Size
Zoning
5.11 AC
Address
Land Use
TOTAL SIZE
Lot Size
Zoning
6.64 AC
Address
Land Use
TOTAL SIZE
Lot Size
Zoning
5.20 AC
R3
Address
Land Use
TOTAL SIZE
Lot Size
Zoning
72,900 SF
13.58 AC
MM
Address
Land Use
TOTAL SIZE
Lot Size
Zoning
40,303 SF
3.49 AC
R3
Address
Land Use
TOTAL SIZE
Lot Size
Zoning
13,152 SF
3.99 AC
R3
Address
Land Use
TOTAL SIZE
Lot Size
Zoning
22.81 AC
A15
Address
Land Use
TOTAL SIZE
Lot Size
Zoning
2.93 AC
R3
Address
Land Use
TOTAL SIZE
Lot Size
Zoning
19,273 SF
5.40 AC
Address
Land Use
TOTAL SIZE
Lot Size
Zoning
463.45 AC
W2
Address
Land Use
TOTAL SIZE
Lot Size
Zoning
54,796 SF
3.97 AC
R3
Address
Land Use
TOTAL SIZE
Lot Size
Zoning
3.97 AC
R1
Address
Land Use
TOTAL SIZE
Lot Size
Zoning
2.63 AC
R2
Address
Land Use
TOTAL SIZE
Lot Size
Zoning
4.33 AC
R3
Address
Land Use
TOTAL SIZE
Lot Size
Zoning
61,645 SF
3.97 AC
R3
Address
Land Use
TOTAL SIZE
Lot Size
Zoning
75 AC
A210
Address
Land Use
TOTAL SIZE
Lot Size
Zoning
8,389 SF
0.59 AC
CPS
Address
Land Use
TOTAL SIZE
Lot Size
Zoning
3,000 SF
80 AC
A220
Address
Land Use
TOTAL SIZE
Lot Size
Zoning
81 AC
A210
Address
Land Use
TOTAL SIZE
Lot Size
Zoning
2,487 SF
158.76 AC
Address
Land Use
TOTAL SIZE
Lot Size
Zoning
4,504 SF
1.08 AC
Address
Land Use
TOTAL SIZE
Lot Size
Zoning
80 AC
A210
Address
Land Use
TOTAL SIZE
Lot Size
Zoning
80 AC
W2
Address
Land Use
TOTAL SIZE
Lot Size
Zoning
23,912 SF
38.80 AC
A220
Address
Land Use
TOTAL SIZE
Lot Size
Zoning
61.14 AC
A210
Address
Land Use
TOTAL SIZE
Lot Size
Zoning
5.77 AC







