Property Record
9435 E Cornville Rd, Cornville, AZ 86325
Property Detail
9435 E Cornville Rd
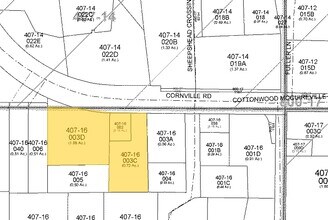
407-16-003C
AN IRREG SHAPED PCL THE NE COR LIES APPROX 492 W OF THE NE COR O F SEC 9 15 4E CONT .95 AC
Restaurantbuilding
Yavapai
B and X Area of moderate flood hazard, usually the area between the limits of the 100-year and 500-year floods.
Arizona
2024
0.95 AC
2026
Prescott & Sedona
001701
Other Market Areas
1,926 SF
Prescott, AZ
DEMOGRAPHICS near 9435 E Cornville Rd
1 mile
3 mile
5 mile
2025 Total Population
516
5,657
14,927
2030 Population
515
5,721
15,167
Pop Growth 2025-2030
(0.19%)
+ 1.13%
+ 1.61%
Average Age
51
51
47
2025 Total Households
221
2,450
6,386
HH Growth 2025-2030
(0.45%)
+ 1.18%
+ 1.52%
Median Household Inc
$68,161
$73,690
$65,015
Avg Household Size
2.30
2.20
2.30
2025 Avg HH Vehicles
2.00
2.00
2.00
Median Home Value
$457,608
$447,397
$388,791
Median Year Built
1991
1993
1990
Nearby Places
Map Layers
Listings with unknown addresses are not visible on the map
- Restaurants
- Banks
- Shops
- Fitness
- Groceries
SALE & LEASE HISTORY
LISTING DATE
SALE/LEASE
Nearby Properties
Address
Land Use
TOTAL SIZE
Lot Size
Zoning
Address
Land Use
TOTAL SIZE
Lot Size
Zoning
44,293 SF
14.56 AC
Address
Land Use
TOTAL SIZE
Lot Size
Zoning
17,138 SF
10.67 AC
Address
Land Use
TOTAL SIZE
Lot Size
Zoning
14,446 SF
4.30 AC
Address
Land Use
TOTAL SIZE
Lot Size
Zoning
23,678 SF
13.99 AC
Address
Land Use
TOTAL SIZE
Lot Size
Zoning
5,146 SF
65.08 AC
Address
Land Use
TOTAL SIZE
Lot Size
Zoning
16,620 SF
21.08 AC
Address
Land Use
TOTAL SIZE
Lot Size
Zoning
8,584 SF
0.62 AC
Address
Land Use
TOTAL SIZE
Lot Size
Zoning
10,688 SF
2.52 AC
Address
Land Use
TOTAL SIZE
Lot Size
Zoning
11,975 SF
36.10 AC
Address
Land Use
TOTAL SIZE
Lot Size
Zoning
13,773 SF
14.46 AC
Address
Land Use
TOTAL SIZE
Lot Size
Zoning
8,281 SF
6.99 AC
Address
Land Use
TOTAL SIZE
Lot Size
Zoning
4,271 SF
14 AC
Address
Land Use
TOTAL SIZE
Lot Size
Zoning
10,215 SF
10.09 AC
Address
Land Use
TOTAL SIZE
Lot Size
Zoning
7,565 SF
2.06 AC
Address
Land Use
TOTAL SIZE
Lot Size
Zoning
536.77 AC
Address
Land Use
TOTAL SIZE
Lot Size
Zoning
5,815 SF
4.13 AC
Address
Land Use
TOTAL SIZE
Lot Size
Zoning
3,000 SF
4.83 AC
Address
Land Use
TOTAL SIZE
Lot Size
Zoning
7,036 SF
5 AC
Address
Land Use
TOTAL SIZE
Lot Size
Zoning
23,460 SF
1.80 AC
Address
Land Use
TOTAL SIZE
Lot Size
Zoning
9,490 SF
0.97 AC
Address
Land Use
TOTAL SIZE
Lot Size
Zoning
5,962 SF
13.76 AC
Address
Land Use
TOTAL SIZE
Lot Size
Zoning
5,160 SF
3.80 AC
Address
Land Use
TOTAL SIZE
Lot Size
Zoning
5,403 SF
7.68 AC
Address
Land Use
TOTAL SIZE
Lot Size
Zoning
4,290 SF
34.38 AC
Address
Land Use
TOTAL SIZE
Lot Size
Zoning
5,670 SF
1.21 AC
Address
Land Use
TOTAL SIZE
Lot Size
Zoning
4,132 SF
2.33 AC
Address
Land Use
TOTAL SIZE
Lot Size
Zoning
3,858 SF
1.31 AC
Address
Land Use
TOTAL SIZE
Lot Size
Zoning
2,868 SF
143.64 AC
Address
Land Use
TOTAL SIZE
Lot Size
Zoning
5,079 SF
2.02 AC
Address
Land Use
TOTAL SIZE
Lot Size
Zoning
3,185 SF
0.63 AC






