Property Record
9467 W Colonial Dr, Ocoee, FL 34761
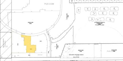
Property Detail
9467 W Colonial Dr
21-2228-9140-00-120
WEST OAKS MALL 38/24 BEG 332 FT E OF SW COR OF LOT 12 TH RUN N 169 FT W 58 FT N 190 FT W 58 FT N 56.91 FT SELY 215.33 FT S 211.03 FT E 120 FT S 126 FT W 25.5 FT S 49.48 FT W 200.92
Restaurantbuilding
Orange
PUD-COMM
Florida
B and X Area of moderate flood hazard, usually the area between the limits of the 100-year and 500-year floods.
12
2025
1.67 AC
2026
West Colonial
014906
Orlando
6,508 SF
Orlando-Kissimmee-Sanford, FL
NEARBY LISTINGS FOR SALE OR LEASE
DEMOGRAPHICS near 9467 W Colonial Dr
1 mile
3 mile
5 mile
2025 Total Population
9,988
90,952
250,977
2030 Population
10,774
98,343
272,490
Pop Growth 2025-2030
+ 7.87%
+ 8.13%
+ 8.57%
Average Age
39
40
39
2025 Total Households
3,803
31,168
86,704
HH Growth 2025-2030
+ 8.28%
+ 8.51%
+ 9.00%
Median Household Inc
$66,018
$76,330
$73,016
Avg Household Size
2.60
2.80
2.80
2025 Avg HH Vehicles
2.00
2.00
2.00
Median Home Value
$373,496
$373,520
$373,659
Median Year Built
1993
1991
1991
Nearby Places
Map Layers
Listings with unknown addresses are not visible on the map
- Restaurants
- Banks
- Shops
- Fitness
- Groceries
PUBLIC TRANSPORTATION
AIRPORT
Orlando International
Drive
Walk
Distance
Orlando International
32 min
21.9 mi
Orlando Sanford International
Drive
Walk
Distance
Orlando Sanford International
47 min
36.7 mi
Nearby Properties
Address
Land Use
TOTAL SIZE
Lot Size
Zoning
Address
Land Use
TOTAL SIZE
Lot Size
Zoning
840,260 SF
65.85 AC
C-2
Address
Land Use
TOTAL SIZE
Lot Size
Zoning
481,795 SF
16.56 AC
I-1
Address
Land Use
TOTAL SIZE
Lot Size
Zoning
669,041 SF
43.79 AC
I-1
Address
Land Use
TOTAL SIZE
Lot Size
Zoning
693,608 SF
24.41 AC
PUD-HD
Address
Land Use
TOTAL SIZE
Lot Size
Zoning
342,875 SF
11.35 AC
PUD-COMM
Address
Land Use
TOTAL SIZE
Lot Size
Zoning
347,605 SF
9.10 AC
C-2
Address
Land Use
TOTAL SIZE
Lot Size
Zoning
471,646 SF
36.24 AC
P-D
Address
Land Use
TOTAL SIZE
Lot Size
Zoning
387,922 SF
27.44 AC
P-D
Address
Land Use
TOTAL SIZE
Lot Size
Zoning
420,291 SF
23.36 AC
P-D
Address
Land Use
TOTAL SIZE
Lot Size
Zoning
347,506 SF
3.55 AC
PUD-MD
Address
Land Use
TOTAL SIZE
Lot Size
Zoning
167,285 SF
164.77 AC
C-3
Address
Land Use
TOTAL SIZE
Lot Size
Zoning
561,460 SF
25.11 AC
P-D
Address
Land Use
TOTAL SIZE
Lot Size
Zoning
203,729 SF
11.46 AC
PUD-HD
Address
Land Use
TOTAL SIZE
Lot Size
Zoning
263,067 SF
41.46 AC
P-D
Address
Land Use
TOTAL SIZE
Lot Size
Zoning
265,223 SF
1.89 AC
R-3
Address
Land Use
TOTAL SIZE
Lot Size
Zoning
196,924 SF
2.53 AC
P-S
Address
Land Use
TOTAL SIZE
Lot Size
Zoning
394,566 SF
47.43 AC
R-CE
Address
Land Use
TOTAL SIZE
Lot Size
Zoning
213,973 SF
3.20 AC
R-3
Address
Land Use
TOTAL SIZE
Lot Size
Zoning
238,004 SF
13.11 AC
R-3
Address
Land Use
TOTAL SIZE
Lot Size
Zoning
493,556 SF
28.89 AC
I-2
Address
Land Use
TOTAL SIZE
Lot Size
Zoning
167,486 SF
14.70 AC
R-1A
Address
Land Use
TOTAL SIZE
Lot Size
Zoning
221,959 SF
10.82 AC
P-D
Address
Land Use
TOTAL SIZE
Lot Size
Zoning
352,671 SF
25.54 AC
P-D
Address
Land Use
TOTAL SIZE
Lot Size
Zoning
157,308 SF
14.65 AC
R-2
Address
Land Use
TOTAL SIZE
Lot Size
Zoning
173,880 SF
30.87 AC
P-D
Address
Land Use
TOTAL SIZE
Lot Size
Zoning
179,371 SF
21.52 AC
A-1
Address
Land Use
TOTAL SIZE
Lot Size
Zoning
261,608 SF
21.73 AC
C-2
Address
Land Use
TOTAL SIZE
Lot Size
Zoning
401,307 SF
14.31 AC
R-3
Address
Land Use
TOTAL SIZE
Lot Size
Zoning
108,609 SF
13.41 AC
P
Address
Land Use
TOTAL SIZE
Lot Size
Zoning
183,582 SF
16.82 AC
C-2








