Property Record
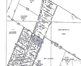
9505 Capitol View Dr, Austin, TX 78747
Property Detail
9505 Capitol View Dr
Austin-Round Rock-San Marcos, TX
LOT 16A BLK 1 CAPITOL VIEW ESTATES RESUB OF LOT 16
298704
TRAVIS
Officebuilding
Texas
B and X Area of moderate flood hazard, usually the area between the limits of the 100-year and 500-year floods.
16a
0
2.17 AC
2025
Southeast
002440
Austin
3,252 SF
NEARBY LISTINGS FOR SALE OR LEASE
-
-
View all Austin listings for sale on LoopNet.com
DEMOGRAPHICS near 9505 Capitol View Dr
1 mile
3 mile
5 mile
2024 Total Population
5,874
52,404
141,176
2029 Population
6,199
55,758
149,120
Pop Growth 2024-2029
+ 5.53%
+ 6.40%
+ 5.63%
Average Age
35
36
37
2024 Total Households
1,970
19,673
55,195
HH Growth 2024-2029
+ 6.45%
+ 7.33%
+ 6.38%
Median Household Inc
$77,383
$87,887
$83,791
Avg Household Size
2.90
2.60
2.50
2024 Avg HH Vehicles
2.00
2.00
2.00
Median Home Value
$425,000
$437,272
$442,605
Median Year Built
2010
2010
2007
Nearby Places
Map Layers
Listings with unknown addresses are not visible on the map
- Restaurants
- Banks
- Shops
- Fitness
- Groceries
PUBLIC TRANSPORTATION
AIRPORT
Austin-Bergstrom International
Drive
Walk
Distance
Austin-Bergstrom International
22 min
9.8 mi
Freight Ports
Calhoun Port
Drive
Walk
Distance
Calhoun Port
182 min
148.7 mi
Nearby Properties
Address
Land Use
TOTAL SIZE
Lot Size
Zoning
Address
Land Use
TOTAL SIZE
Lot Size
Zoning
380,191 SF
37.33 AC
Address
Land Use
TOTAL SIZE
Lot Size
Zoning
287,925 SF
9.92 AC
Address
Land Use
TOTAL SIZE
Lot Size
Zoning
314,325 SF
29.53 AC
Address
Land Use
TOTAL SIZE
Lot Size
Zoning
330,491 SF
19.37 AC
Address
Land Use
TOTAL SIZE
Lot Size
Zoning
414,030 SF
55.96 AC
Address
Land Use
TOTAL SIZE
Lot Size
Zoning
288,174 SF
18.91 AC
Address
Land Use
TOTAL SIZE
Lot Size
Zoning
384,254 SF
24.13 AC
Address
Land Use
TOTAL SIZE
Lot Size
Zoning
286,614 SF
15.81 AC
Address
Land Use
TOTAL SIZE
Lot Size
Zoning
333,746 SF
53.90 AC
Address
Land Use
TOTAL SIZE
Lot Size
Zoning
318,962 SF
31.88 AC
Address
Land Use
TOTAL SIZE
Lot Size
Zoning
239,376 SF
30.04 AC
Address
Land Use
TOTAL SIZE
Lot Size
Zoning
352,450 SF
20.88 AC
Address
Land Use
TOTAL SIZE
Lot Size
Zoning
292,257 SF
33.21 AC
Address
Land Use
TOTAL SIZE
Lot Size
Zoning
237,911 SF
13.22 AC
Address
Land Use
TOTAL SIZE
Lot Size
Zoning
351,255 SF
12.45 AC
Address
Land Use
TOTAL SIZE
Lot Size
Zoning
246,800 SF
16.43 AC
Address
Land Use
TOTAL SIZE
Lot Size
Zoning
242,550 SF
13.02 AC
Address
Land Use
TOTAL SIZE
Lot Size
Zoning
237,600 SF
17.79 AC
Address
Land Use
TOTAL SIZE
Lot Size
Zoning
249,216 SF
20.19 AC
Address
Land Use
TOTAL SIZE
Lot Size
Zoning
267,300 SF
17.53 AC
Address
Land Use
TOTAL SIZE
Lot Size
Zoning
323,659 SF
12.03 AC
Address
Land Use
TOTAL SIZE
Lot Size
Zoning
4,111 SF
90.12 AC
Address
Land Use
TOTAL SIZE
Lot Size
Zoning
285,616 SF
10.81 AC
Address
Land Use
TOTAL SIZE
Lot Size
Zoning
215,000 SF
10.35 AC
Address
Land Use
TOTAL SIZE
Lot Size
Zoning
190,992 SF
12.38 AC
Address
Land Use
TOTAL SIZE
Lot Size
Zoning
175,200 SF
9.16 AC
Address
Land Use
TOTAL SIZE
Lot Size
Zoning
4,039 SF
91.91 AC
Address
Land Use
TOTAL SIZE
Lot Size
Zoning
200,953 SF
7.24 AC
Address
Land Use
TOTAL SIZE
Lot Size
Zoning
231,000 SF
10.62 AC
Address
Land Use
TOTAL SIZE
Lot Size
Zoning
123,750 SF
11.61 AC







