Property Record
951 E Pima St, Gila Bend, AZ 85337
Property Detail
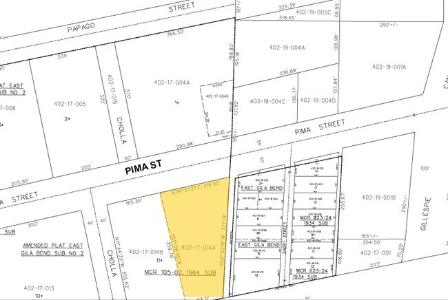
951 E Pima St
402-17-014A
EAST GILA BEND SUBDIVISION NO. 2 AMD MCR 105-02
Storebuilding
MARICOPA
C-C
Arizona
A Areas with a 1% annual chance of flooding and a 26% chance of flooding over the life of a 30-year mortgage.
11
2025
1.37 AC
2025
W Outlying Maricopa
723305
Phoenix
8,880 SF
Phoenix-Mesa-Chandler, AZ
DEMOGRAPHICS near 951 E Pima St
1 mile
3 mile
5 mile
2025 Total Population
619
1,344
1,365
2030 Population
586
1,269
1,289
Pop Growth 2025-2030
(5.33%)
(5.58%)
(5.57%)
Average Age
36
36
36
2025 Total Households
194
423
429
HH Growth 2025-2030
(5.67%)
(5.67%)
(5.59%)
Median Household Inc
$49,736
$49,614
$49,624
Avg Household Size
3.20
3.20
3.20
2025 Avg HH Vehicles
2.00
2.00
2.00
Median Home Value
$151,063
$151,801
$151,785
Median Year Built
1976
1976
1976
Nearby Places
Map Layers
Listings with unknown addresses are not visible on the map
- Restaurants
- Banks
- Shops
- Fitness
- Groceries
Nearby Properties
Address
Land Use
TOTAL SIZE
Lot Size
Zoning
Address
Land Use
TOTAL SIZE
Lot Size
Zoning
183,940 SF
40.95 AC
R-7
Address
Land Use
TOTAL SIZE
Lot Size
Zoning
176,889 SF
34.89 AC
I-2
Address
Land Use
TOTAL SIZE
Lot Size
Zoning
11,895 SF
11.01 AC
Address
Land Use
TOTAL SIZE
Lot Size
Zoning
8,502 SF
1.67 AC
M-M
Address
Land Use
TOTAL SIZE
Lot Size
Zoning
24,405 SF
20.26 AC
I-2
Address
Land Use
TOTAL SIZE
Lot Size
Zoning
311.81 AC
M-M
Address
Land Use
TOTAL SIZE
Lot Size
Zoning
2,068 SF
7.76 AC
R-7
Address
Land Use
TOTAL SIZE
Lot Size
Zoning
99,777 SF
19.10 AC
I-2
Address
Land Use
TOTAL SIZE
Lot Size
Zoning
22,560 SF
1.72 AC
C-C
Address
Land Use
TOTAL SIZE
Lot Size
Zoning
6,058 SF
3.55 AC
C-C
Address
Land Use
TOTAL SIZE
Lot Size
Zoning
5,891 SF
1.84 AC
C-C
Address
Land Use
TOTAL SIZE
Lot Size
Zoning
4,073 SF
5.32 AC
C-C
Address
Land Use
TOTAL SIZE
Lot Size
Zoning
25,841 SF
2.34 AC
C-C
Address
Land Use
TOTAL SIZE
Lot Size
Zoning
141.59 AC
I-1
Address
Land Use
TOTAL SIZE
Lot Size
Zoning
43,618 SF
93.59 AC
I-2
Address
Land Use
TOTAL SIZE
Lot Size
Zoning
16,139 SF
3.55 AC
C-C
Address
Land Use
TOTAL SIZE
Lot Size
Zoning
5,529 SF
0.62 AC
C-C
Address
Land Use
TOTAL SIZE
Lot Size
Zoning
2,948 SF
2.38 AC
C-C
Address
Land Use
TOTAL SIZE
Lot Size
Zoning
34,206 SF
6.23 AC
M-H
Address
Land Use
TOTAL SIZE
Lot Size
Zoning
9,504 SF
5.65 AC
I-1
Address
Land Use
TOTAL SIZE
Lot Size
Zoning
2,742 SF
0.46 AC
C-C
Address
Land Use
TOTAL SIZE
Lot Size
Zoning
15,506 SF
1.14 AC
C-C
Address
Land Use
TOTAL SIZE
Lot Size
Zoning
8,000 SF
1.30 AC
C-C
Address
Land Use
TOTAL SIZE
Lot Size
Zoning
2,870 SF
23.78 AC
I-2
Address
Land Use
TOTAL SIZE
Lot Size
Zoning
10,440 SF
0.27 AC
C-C
Address
Land Use
TOTAL SIZE
Lot Size
Zoning
19,865 SF
2 AC
M-H







