Property Record
9540 Elder Creek Rd, Sacramento, CA 95829
This Property Is For Sale
NEARBY LISTINGS FOR SALE OR LEASE
Property Detail
9540 Elder Creek Rd
Sacramento--Roseville--Arden-Arcade, CA
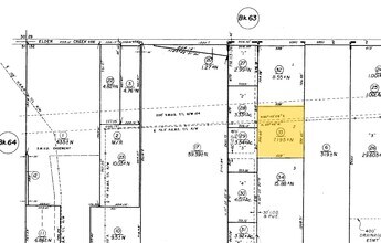
Parcel Map Of Carson Family Trust
066-0010-033
W31 3/5 AC NE4 SEC32 TWP08N RNG06E MDB&M
Industrialacreage
Sacramento
AE
California
06067C0215H
2
2024
7.20 AC
2025
Outer Sacramento County
009311
Sacramento
36,270 SF
DEMOGRAPHICS near 9540 Elder Creek Rd
1 Mile
3 Mile
5 Mile
2024 Total Population
205
34,351
199,872
2029 Population
197
34,656
200,962
Pop Growth 2024-2029
(3.90%)
+ 0.89%
+ 0.55%
Average Age
41
39
38
2024 Total Households
62
11,452
64,778
HH Growth 2024-2029
(3.23%)
+ 0.89%
+ 0.59%
Median Household Inc
$74,999
$84,938
$78,563
Avg Household Size
2.90
2.90
2.90
2024 Avg HH Vehicles
3.00
2.00
2.00
Median Home Value
$874,999
$427,351
$414,921
Median Year Built
1957
1987
1981
Nearby Places
Map Layers
- Restaurants
- Banks
- Shops
- Fitness
- Groceries
PUBLIC TRANSPORTATION
AIRPORT
Sacramento International
DRIVE
WALK
Distance
Sacramento International
35 min
23.8 mi
Freight Ports
Port of Stockton
DRIVE
WALK
Distance
Port of Stockton
61 min
46.3 mi
Nearby Properties
Address
Land Use
TOTAL SIZE
Lot Size
Zoning
Address
Land Use
TOTAL SIZE
Lot Size
Zoning
2,317,288 SF
220.58 AC
M-2-SPD
Address
Land Use
TOTAL SIZE
Lot Size
Zoning
149,566 SF
9.68 AC
M-2S
Address
Land Use
TOTAL SIZE
Lot Size
Zoning
187,080 SF
10.01 AC
SPA M-1
Address
Land Use
TOTAL SIZE
Lot Size
Zoning
40.67 AC
M-2-SPD
Address
Land Use
TOTAL SIZE
Lot Size
Zoning
584,820 SF
29.12 AC
M-2S
Address
Land Use
TOTAL SIZE
Lot Size
Zoning
319,485 SF
16.35 AC
M-2S
Address
Land Use
TOTAL SIZE
Lot Size
Zoning
135,375 SF
7.40 AC
RD-30
Address
Land Use
TOTAL SIZE
Lot Size
Zoning
158,710 SF
14.02 AC
M-1 (NPA)
Address
Land Use
TOTAL SIZE
Lot Size
Zoning
188,144 SF
16.90 AC
M-2S
Address
Land Use
TOTAL SIZE
Lot Size
Zoning
12.04 AC
M-1S-R
Address
Land Use
TOTAL SIZE
Lot Size
Zoning
161,834 SF
15.23 AC
LC
Address
Land Use
TOTAL SIZE
Lot Size
Zoning
8,724 SF
101.84 AC
M-2 (SM)
Address
Land Use
TOTAL SIZE
Lot Size
Zoning
167,152 SF
7.53 AC
RD-20
Address
Land Use
TOTAL SIZE
Lot Size
Zoning
75,765 SF
19.04 AC
M-1S-R
Address
Land Use
TOTAL SIZE
Lot Size
Zoning
126,925 SF
10.35 AC
SPA
Address
Land Use
TOTAL SIZE
Lot Size
Zoning
43,855 SF
14.38 AC
M-2S-R
Address
Land Use
TOTAL SIZE
Lot Size
Zoning
81,852 SF
4.13 AC
RD-30
Address
Land Use
TOTAL SIZE
Lot Size
Zoning
800 SF
2.43 AC
M-1 (SM)
Address
Land Use
TOTAL SIZE
Lot Size
Zoning
199,108 SF
11 AC
RD-10
Address
Land Use
TOTAL SIZE
Lot Size
Zoning
216,400 SF
11.68 AC
M-2S
Address
Land Use
TOTAL SIZE
Lot Size
Zoning
240,255 SF
13.67 AC
M-2S
Address
Land Use
TOTAL SIZE
Lot Size
Zoning
1,404 SF
16.14 AC
M-2S
Address
Land Use
TOTAL SIZE
Lot Size
Zoning
196,267 SF
11.84 AC
M-2S
Address
Land Use
TOTAL SIZE
Lot Size
Zoning
96,658 SF
6.39 AC
M-2S
Address
Land Use
TOTAL SIZE
Lot Size
Zoning
96,838 SF
8.10 AC
M-2S
Address
Land Use
TOTAL SIZE
Lot Size
Zoning
49,920 SF
28.75 AC
M-2 (SM)
Address
Land Use
TOTAL SIZE
Lot Size
Zoning
9.49 AC
RD-10
Address
Land Use
TOTAL SIZE
Lot Size
Zoning
111,135 SF
5.65 AC
M-2S
Address
Land Use
TOTAL SIZE
Lot Size
Zoning
87,926 SF
4.81 AC
RD-30
Address
Land Use
TOTAL SIZE
Lot Size
Zoning
100,222 SF
8.97 AC
SC




