Property Record
9632 Longden Ave, Temple City, CA 91780
NEARBY LISTINGS FOR SALE OR LEASE
Property Detail
9632 Longden Ave
Los Angeles-Long Beach-Glendale, CA
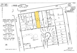
Santa Anita Land Cos Tr
5385-016-008
SANTA ANITA LAND COS TR E 63 FT OF W 366 FT OF LOT 2 BLK N
Quadruplex
Los Angeles
X
California
06037C1675F
2
2024
0.44 AC
2025
Temple City
431900
Los Angeles
7,008 SF
DEMOGRAPHICS near 9632 Longden Ave
1 mile
3 mile
5 mile
2024 Total Population
28,821
195,101
552,113
2029 Population
27,866
188,786
533,722
Pop Growth 2024-2029
(3.31%)
(3.24%)
(3.33%)
Average Age
43
43
42
2024 Total Households
9,666
63,686
182,546
HH Growth 2024-2029
(3.55%)
(3.48%)
(3.52%)
Median Household Inc
$89,108
$89,225
$82,254
Avg Household Size
2.90
3.00
2.90
2024 Avg HH Vehicles
2.00
2.00
2.00
Median Home Value
$940,319
$919,198
$851,816
Median Year Built
1959
1958
1959
Nearby Places
Map Layers
Listings with unknown addresses are not visible on the map
- Restaurants
- Banks
- Shops
- Fitness
- Groceries
PUBLIC TRANSPORTATION
COMMUTER RAIL
El Monte (San Bernardino Line - Southern California Regional Rail Authority (Metrolink))
Drive
Walk
Distance
El Monte (San Bernardino Line - Southern California Regional Rail Authority (Metrolink))
8 min
3.9 mi
Baldwin Park (San Bernardino Line - Southern California Regional Rail Authority (Metrolink))
Drive
Walk
Distance
Baldwin Park (San Bernardino Line - Southern California Regional Rail Authority (Metrolink))
15 min
8.0 mi
AIRPORT
Bob Hope
Drive
Walk
Distance
Bob Hope
32 min
23.8 mi
Long Beach (Daugherty Field)
Drive
Walk
Distance
Long Beach (Daugherty Field)
41 min
29.8 mi
Los Angeles International
Drive
Walk
Distance
Los Angeles International
45 min
29.9 mi
Freight Ports
Port of Long Beach
Drive
Walk
Distance
Port of Long Beach
43 min
31.7 mi
SALE & LEASE HISTORY
LISTING DATE
SALE/LEASE
Nearby Properties
Address
Land Use
TOTAL SIZE
Lot Size
Zoning
Address
Land Use
TOTAL SIZE
Lot Size
Zoning
945,101 SF
38.07 AC
ARC2DH-S1-
Address
Land Use
TOTAL SIZE
Lot Size
Zoning
665,195 SF
29.38 AC
EMM2*
Address
Land Use
TOTAL SIZE
Lot Size
Zoning
230,045 SF
3.20 AC
PSC*
Address
Land Use
TOTAL SIZE
Lot Size
Zoning
572,320 SF
25.65 AC
EMM2*
Address
Land Use
TOTAL SIZE
Lot Size
Zoning
165,341 SF
2.70 AC
ARC2YY
Address
Land Use
TOTAL SIZE
Lot Size
Zoning
531,606 SF
8.20 AC
PSC*
Address
Land Use
TOTAL SIZE
Lot Size
Zoning
299,385 SF
4.37 AC
PSC*
Address
Land Use
TOTAL SIZE
Lot Size
Zoning
237,930 SF
2.98 AC
PSC*
Address
Land Use
TOTAL SIZE
Lot Size
Zoning
294,320 SF
8.30 AC
PSC*
Address
Land Use
TOTAL SIZE
Lot Size
Zoning
144,947 SF
19.93 AC
PSC*
Address
Land Use
TOTAL SIZE
Lot Size
Zoning
127,085 SF
1.97 AC
MOCG-P/QP*
Address
Land Use
TOTAL SIZE
Lot Size
Zoning
266,084 SF
3.71 AC
PSC*
Address
Land Use
TOTAL SIZE
Lot Size
Zoning
433,378 SF
8.27 AC
PSC*
Address
Land Use
TOTAL SIZE
Lot Size
Zoning
116,898 SF
4.36 AC
EMR3*
Address
Land Use
TOTAL SIZE
Lot Size
Zoning
68,417 SF
0.78 AC
ARC2H*
Address
Land Use
TOTAL SIZE
Lot Size
Zoning
358,500 SF
5.11 AC
ARC2DH-S1-
Address
Land Use
TOTAL SIZE
Lot Size
Zoning
320,844 SF
6.45 AC
SLCHR*
Address
Land Use
TOTAL SIZE
Lot Size
Zoning
168,334 SF
7.41 AC
EMM2*
Address
Land Use
TOTAL SIZE
Lot Size
Zoning
121,746 SF
4.91 AC
EMR4*
Address
Land Use
TOTAL SIZE
Lot Size
Zoning
255,384 SF
6.74 AC
ARC2*
Address
Land Use
TOTAL SIZE
Lot Size
Zoning
95,187 SF
3.10 AC
EMC4*
Address
Land Use
TOTAL SIZE
Lot Size
Zoning
635,556 SF
11.05 AC
ARC2
Address
Land Use
TOTAL SIZE
Lot Size
Zoning
756,195 SF
15.48 AC
ARC2DH-S1-
Address
Land Use
TOTAL SIZE
Lot Size
Zoning
241,189 SF
0.90 AC
ARC2*
Address
Land Use
TOTAL SIZE
Lot Size
Zoning
107,394 SF
4.40 AC
EMR4*
Address
Land Use
TOTAL SIZE
Lot Size
Zoning
24,015 SF
3.23 AC
ARCPD1*
Address
Land Use
TOTAL SIZE
Lot Size
Zoning
53,306 SF
0.90 AC
ARC2
Address
Land Use
TOTAL SIZE
Lot Size
Zoning
189,263 SF
2.81 AC
EMM2*
Address
Land Use
TOTAL SIZE
Lot Size
Zoning
69,352 SF
4.78 AC
ARC2








