Property Record
Clovis Rd, Phelan, CA 92371
This Property Is For Sale
NEARBY LISTINGS FOR SALE OR LEASE
Property Detail
Clovis Rd
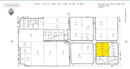
3066-081-29
PARCEL MAP 14844 PARCEL 4 BOOK 181 PAGE 50 PARCEL MAP 14844 PARCEL NO 4
Vacantlandnec
San Bernardino
AO
California
06071C6450H
1.38 AC
2024
Mojave River Valley
2025
Inland Empire (California)
009123
Riverside-San Bernardino-Ontario, CA
DEMOGRAPHICS near Clovis Rd
1 Mile
3 Mile
5 Mile
2024 Total Population
1,161
7,721
15,642
2029 Population
1,131
7,415
15,063
Pop Growth 2024-2029
(2.58%)
(3.96%)
(3.70%)
Average Age
42
41
41
2024 Total Households
416
2,672
5,375
HH Growth 2024-2029
(2.40%)
(4.04%)
(3.81%)
Median Household Inc
$77,734
$80,441
$80,489
Avg Household Size
2.80
2.90
2.90
2024 Avg HH Vehicles
2.00
2.00
3.00
Median Home Value
$352,293
$385,988
$413,333
Median Year Built
1979
1986
1987
Nearby Places
Map Layers
- Restaurants
- Banks
- Shops
- Fitness
- Groceries
PUBLIC TRANSPORTATION
AIRPORT
Ontario International
DRIVE
WALK
Distance
Ontario International
49 min
37.6 mi
Freight Ports
Port of Long Beach
DRIVE
WALK
Distance
Port of Long Beach
111 min
89.7 mi
Nearby Properties
Address
Land Use
TOTAL SIZE
Lot Size
Zoning
Address
Land Use
TOTAL SIZE
Lot Size
Zoning
74,347 SF
5.09 AC
PHCG
Address
Land Use
TOTAL SIZE
Lot Size
Zoning
17,215 SF
1.78 AC
Address
Land Use
TOTAL SIZE
Lot Size
Zoning
37,358 SF
5.64 AC
PHCG
Address
Land Use
TOTAL SIZE
Lot Size
Zoning
36,198 SF
3.24 AC
PHCG
Address
Land Use
TOTAL SIZE
Lot Size
Zoning
2,952 SF
0.96 AC
PHCG
Address
Land Use
TOTAL SIZE
Lot Size
Zoning
25,538 SF
4.61 AC
PHCG
Address
Land Use
TOTAL SIZE
Lot Size
Zoning
31,680 SF
2.41 AC
PHCG
Address
Land Use
TOTAL SIZE
Lot Size
Zoning
9,015 SF
1.86 AC
PHCG
Address
Land Use
TOTAL SIZE
Lot Size
Zoning
3,107 SF
0.80 AC
PHCG
Address
Land Use
TOTAL SIZE
Lot Size
Zoning
12,960 SF
1.16 AC
PHCG
Address
Land Use
TOTAL SIZE
Lot Size
Zoning
22,965 SF
2.92 AC
PHCS
Address
Land Use
TOTAL SIZE
Lot Size
Zoning
4,998 SF
3.01 AC
PHSDRES
Address
Land Use
TOTAL SIZE
Lot Size
Zoning
9,543 SF
1.04 AC
PHCG
Address
Land Use
TOTAL SIZE
Lot Size
Zoning
14,433 SF
2.04 AC
PHCG
Address
Land Use
TOTAL SIZE
Lot Size
Zoning
2,450 SF
0.85 AC
PHCG
Address
Land Use
TOTAL SIZE
Lot Size
Zoning
4,842 SF
1.26 AC
PHCG
Address
Land Use
TOTAL SIZE
Lot Size
Zoning
10,282 SF
5 AC
PHCG
Address
Land Use
TOTAL SIZE
Lot Size
Zoning
12,608 SF
1.76 AC
PHCG
Address
Land Use
TOTAL SIZE
Lot Size
Zoning
8,466 SF
0.90 AC
PHCG
Address
Land Use
TOTAL SIZE
Lot Size
Zoning
4,130 SF
1.04 AC
PHCG
Address
Land Use
TOTAL SIZE
Lot Size
Zoning
11,429 SF
4.52 AC
PHRS1
Address
Land Use
TOTAL SIZE
Lot Size
Zoning
1,740 SF
0.48 AC
PHCG
Address
Land Use
TOTAL SIZE
Lot Size
Zoning
1,222 SF
53.12 AC
PHRL
Address
Land Use
TOTAL SIZE
Lot Size
Zoning
5,360 SF
0.84 AC
PHCG
Address
Land Use
TOTAL SIZE
Lot Size
Zoning
3,176 SF
0.42 AC
PHCG
Address
Land Use
TOTAL SIZE
Lot Size
Zoning
8.43 AC
PHCG
Address
Land Use
TOTAL SIZE
Lot Size
Zoning
864 SF
2.50 AC
PHRL
Address
Land Use
TOTAL SIZE
Lot Size
Zoning
11,831 SF
25.27 AC
PHCS
Address
Land Use
TOTAL SIZE
Lot Size
Zoning
9.43 AC
PHCG



