Property Record
9934 Main St, Hebron, IL 60034
This Property Is For Sale
Property Detail
9934 Main St
Chicago-Naperville-Elgin, IL-IN
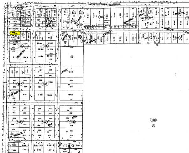
DOC 2023R0029217 W PT LT 5 & PT W PT LT 6 ORIG PLAT VILL OF HEBRON
03-16-104-019
McHenry
Commercialnec
Illinois
B and X Area of moderate flood hazard, usually the area between the limits of the 100-year and 500-year floods.
5,6
2024
0.11 AC
2024
Far Northwest
870103
Chicago
NEARBY LISTINGS FOR SALE OR LEASE
-
-
View all Hebron listings for sale on LoopNet.com
DEMOGRAPHICS near 9934 Main St
1 mile
3 mile
5 mile
2025 Total Population
1,698
2,169
3,500
2030 Population
1,730
2,210
3,551
Pop Growth 2025-2030
+ 1.88%
+ 1.89%
+ 1.46%
Average Age
41
42
43
2025 Total Households
668
855
1,376
HH Growth 2025-2030
+ 1.95%
+ 1.87%
+ 1.45%
Median Household Inc
$88,204
$92,391
$98,179
Avg Household Size
2.50
2.50
2.50
2025 Avg HH Vehicles
2.00
2.00
2.00
Median Home Value
$246,176
$263,023
$291,762
Median Year Built
1976
1976
1975
Nearby Places
Map Layers
Listings with unknown addresses are not visible on the map
- Restaurants
- Banks
- Shops
- Fitness
- Groceries
Nearby Properties
Address
Land Use
TOTAL SIZE
Lot Size
Zoning
Address
Land Use
TOTAL SIZE
Lot Size
Zoning
106.35 AC
A1
Address
Land Use
TOTAL SIZE
Lot Size
Zoning
199.60 AC
A1
Address
Land Use
TOTAL SIZE
Lot Size
Zoning
48.23 AC
A1
Address
Land Use
TOTAL SIZE
Lot Size
Zoning
Address
Land Use
TOTAL SIZE
Lot Size
Zoning
94.95 AC
A1
Address
Land Use
TOTAL SIZE
Lot Size
Zoning
2.53 AC
Address
Land Use
TOTAL SIZE
Lot Size
Zoning
1.29 AC
Address
Land Use
TOTAL SIZE
Lot Size
Zoning
2 AC
Address
Land Use
TOTAL SIZE
Lot Size
Zoning
1.77 AC
Address
Land Use
TOTAL SIZE
Lot Size
Zoning
Address
Land Use
TOTAL SIZE
Lot Size
Zoning
4.55 AC
Address
Land Use
TOTAL SIZE
Lot Size
Zoning
1.83 AC
Address
Land Use
TOTAL SIZE
Lot Size
Zoning
1.10 AC
Address
Land Use
TOTAL SIZE
Lot Size
Zoning
2.56 AC
Address
Land Use
TOTAL SIZE
Lot Size
Zoning
18.84 AC
Address
Land Use
TOTAL SIZE
Lot Size
Zoning
5.40 AC
Address
Land Use
TOTAL SIZE
Lot Size
Zoning
160.98 AC
Address
Land Use
TOTAL SIZE
Lot Size
Zoning
3.18 AC
Address
Land Use
TOTAL SIZE
Lot Size
Zoning
72.95 AC
C1
Address
Land Use
TOTAL SIZE
Lot Size
Zoning
57.65 AC
A1
Address
Land Use
TOTAL SIZE
Lot Size
Zoning
70.87 AC
A1
Address
Land Use
TOTAL SIZE
Lot Size
Zoning
1.83 AC
Address
Land Use
TOTAL SIZE
Lot Size
Zoning
1.30 AC
Address
Land Use
TOTAL SIZE
Lot Size
Zoning
148.03 AC
Address
Land Use
TOTAL SIZE
Lot Size
Zoning
148.03 AC
Address
Land Use
TOTAL SIZE
Lot Size
Zoning
2.27 AC
Address
Land Use
TOTAL SIZE
Lot Size
Zoning
1.79 AC
Address
Land Use
TOTAL SIZE
Lot Size
Zoning
0.79 AC
Address
Land Use
TOTAL SIZE
Lot Size
Zoning
Address
Land Use
TOTAL SIZE
Lot Size
Zoning
1.22 AC







