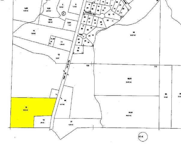
Property Record
Bobo Rd, , GA
Property Detail
Bobo Rd
Atlanta-Sandy Springs-Roswell, GA
REAL PROPERTY
113.1.1.001.0000
PAULDING
Commercialnec
Georgia
B1
120
B and X Area of moderate flood hazard, usually the area between the limits of the 100-year and 500-year floods.
9.35 AC
2025
Paulding Cnty/Dallas
2025
Atlanta
1203012007
NEARBY LISTINGS FOR SALE OR LEASE
DEMOGRAPHICS near Bobo Rd
1 mile
3 mile
5 mile
2025 Total Population
2,165
39,299
90,029
2030 Population
2,405
43,314
98,229
Pop Growth 2025-2030
+ 11.09%
+ 10.22%
+ 9.11%
Average Age
39
38
38
2025 Total Households
721
13,867
30,873
HH Growth 2025-2030
+ 11.23%
+ 10.28%
+ 9.24%
Median Household Inc
$80,398
$99,476
$104,156
Avg Household Size
3.00
2.80
2.90
2025 Avg HH Vehicles
2.00
2.00
2.00
Median Home Value
$326,147
$336,490
$351,261
Median Year Built
2004
2001
2000
Nearby Places
Map Layers
Listings with unknown addresses are not visible on the map
- Restaurants
- Banks
- Shops
- Fitness
- Groceries
PUBLIC TRANSPORTATION
AIRPORT
Hartsfield - Jackson Atlanta International
Drive
Walk
Distance
Hartsfield - Jackson Atlanta International
59 min
38.4 mi
Freight Ports
Georgia Ports - Savannah
Drive
Walk
Distance
Georgia Ports - Savannah
322 min
277.7 mi
Nearby Properties
Address
Land Use
TOTAL SIZE
Lot Size
Zoning
Address
Land Use
TOTAL SIZE
Lot Size
Zoning
62,628 SF
32.23 AC
B2
Address
Land Use
TOTAL SIZE
Lot Size
Zoning
46.05 AC
Address
Land Use
TOTAL SIZE
Lot Size
Zoning
126,638 SF
20.26 AC
R4
Address
Land Use
TOTAL SIZE
Lot Size
Zoning
133,468 SF
12.37 AC
MF1
Address
Land Use
TOTAL SIZE
Lot Size
Zoning
25.10 AC
Address
Land Use
TOTAL SIZE
Lot Size
Zoning
187,435 SF
31.39 AC
R55
Address
Land Use
TOTAL SIZE
Lot Size
Zoning
37.28 AC
Address
Land Use
TOTAL SIZE
Lot Size
Zoning
41.85 AC
Address
Land Use
TOTAL SIZE
Lot Size
Zoning
19.14 AC
Address
Land Use
TOTAL SIZE
Lot Size
Zoning
179,316 SF
13.43 AC
MF1
Address
Land Use
TOTAL SIZE
Lot Size
Zoning
20.91 AC
Address
Land Use
TOTAL SIZE
Lot Size
Zoning
19,718 SF
0.52 AC
B1
Address
Land Use
TOTAL SIZE
Lot Size
Zoning
Address
Land Use
TOTAL SIZE
Lot Size
Zoning
Address
Land Use
TOTAL SIZE
Lot Size
Zoning
35,442 SF
0.66 AC
B1
Address
Land Use
TOTAL SIZE
Lot Size
Zoning
0.44 AC
CBD
Address
Land Use
TOTAL SIZE
Lot Size
Zoning
18.44 AC
Address
Land Use
TOTAL SIZE
Lot Size
Zoning
151,906 SF
21.07 AC
B2
Address
Land Use
TOTAL SIZE
Lot Size
Zoning
71,122 SF
30.70 AC
OMI
Address
Land Use
TOTAL SIZE
Lot Size
Zoning
Address
Land Use
TOTAL SIZE
Lot Size
Zoning
39,290 SF
10.56 AC
R4
Address
Land Use
TOTAL SIZE
Lot Size
Zoning
136,556 SF
7.24 AC
B2
Address
Land Use
TOTAL SIZE
Lot Size
Zoning
7.69 AC
Address
Land Use
TOTAL SIZE
Lot Size
Zoning
80,738 SF
10.30 AC
B2
Address
Land Use
TOTAL SIZE
Lot Size
Zoning
26,770 SF
3.62 AC
R1
Address
Land Use
TOTAL SIZE
Lot Size
Zoning
42,774 SF
7.61 AC
OMI
Address
Land Use
TOTAL SIZE
Lot Size
Zoning
0.56 AC
Address
Land Use
TOTAL SIZE
Lot Size
Zoning
74,036 SF
23.20 AC
B2
Address
Land Use
TOTAL SIZE
Lot Size
Zoning
8.59 AC
Address
Land Use
TOTAL SIZE
Lot Size
Zoning
71,416 SF
8.58 AC
B2







