Property Record
Florence Ave, Sanger, CA 93657
Property Detail
Florence Ave
Fresno, CA
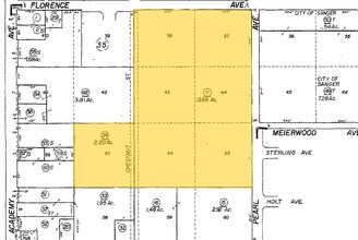
13.66 AC LOT 37 38 43 44 53 54 PHILL HMSTD TR
315-060-07
FRESNO
Farms
California
R16
38
B and X Area of moderate flood hazard, usually the area between the limits of the 100-year and 500-year floods.
13.66 AC
2025
E Outlying Fresno County
2025
Fresno
006202
NEARBY LISTINGS FOR SALE OR LEASE
DEMOGRAPHICS near Florence Ave
1 mile
3 mile
5 mile
2024 Total Population
11,286
28,535
33,172
2029 Population
11,458
28,935
33,504
Pop Growth 2024-2029
+ 1.52%
+ 1.40%
+ 1.00%
Average Age
35
35
35
2024 Total Households
3,205
8,144
9,564
HH Growth 2024-2029
+ 1.47%
+ 1.33%
+ 0.92%
Median Household Inc
$58,531
$62,827
$64,578
Avg Household Size
3.50
3.40
3.40
2024 Avg HH Vehicles
2.00
2.00
2.00
Median Home Value
$319,111
$314,896
$333,661
Median Year Built
1970
1978
1977
Nearby Places
Map Layers
Listings with unknown addresses are not visible on the map
- Restaurants
- Banks
- Shops
- Fitness
- Groceries
PUBLIC TRANSPORTATION
AIRPORT
Fresno Yosemite International
Drive
Walk
Distance
Fresno Yosemite International
18 min
12.6 mi
Freight Ports
Port of Stockton
Drive
Walk
Distance
Port of Stockton
169 min
142.6 mi
SALE & LEASE HISTORY
LISTING DATE
SALE/LEASE
Nearby Properties
Address
Land Use
TOTAL SIZE
Lot Size
Zoning
Address
Land Use
TOTAL SIZE
Lot Size
Zoning
119,762 SF
7.67 AC
M1
Address
Land Use
TOTAL SIZE
Lot Size
Zoning
234,271 SF
16.39 AC
M2
Address
Land Use
TOTAL SIZE
Lot Size
Zoning
16,225 SF
14.92 AC
MH
Address
Land Use
TOTAL SIZE
Lot Size
Zoning
268,401 SF
17.93 AC
ML*TWR
Address
Land Use
TOTAL SIZE
Lot Size
Zoning
109,374 SF
8.61 AC
RM25
Address
Land Use
TOTAL SIZE
Lot Size
Zoning
165,948 SF
16.88 AC
C2
Address
Land Use
TOTAL SIZE
Lot Size
Zoning
71,102 SF
3.56 AC
Address
Land Use
TOTAL SIZE
Lot Size
Zoning
87,150 SF
7.26 AC
RM25
Address
Land Use
TOTAL SIZE
Lot Size
Zoning
67,266 SF
3.35 AC
Address
Land Use
TOTAL SIZE
Lot Size
Zoning
51,204 SF
3.61 AC
RS3
Address
Land Use
TOTAL SIZE
Lot Size
Zoning
54,026 SF
10.83 AC
MH
Address
Land Use
TOTAL SIZE
Lot Size
Zoning
76,216 SF
14.06 AC
ML
Address
Land Use
TOTAL SIZE
Lot Size
Zoning
54,050 SF
6.27 AC
CP
Address
Land Use
TOTAL SIZE
Lot Size
Zoning
44,811 SF
4.53 AC
Address
Land Use
TOTAL SIZE
Lot Size
Zoning
74,874 SF
8.52 AC
RM25
Address
Land Use
TOTAL SIZE
Lot Size
Zoning
55,440 SF
2.55 AC
R4
Address
Land Use
TOTAL SIZE
Lot Size
Zoning
28,125 SF
1.36 AC
ML
Address
Land Use
TOTAL SIZE
Lot Size
Zoning
924 SF
154 AC
AE20
Address
Land Use
TOTAL SIZE
Lot Size
Zoning
46,912 SF
2.82 AC
R2
Address
Land Use
TOTAL SIZE
Lot Size
Zoning
9,190 SF
0.43 AC
RM25
Address
Land Use
TOTAL SIZE
Lot Size
Zoning
33,524 SF
36.90 AC
AE20
Address
Land Use
TOTAL SIZE
Lot Size
Zoning
15,403 SF
0.34 AC
CR
Address
Land Use
TOTAL SIZE
Lot Size
Zoning
97,815 SF
9.80 AC
C2
Address
Land Use
TOTAL SIZE
Lot Size
Zoning
13,717 SF
1.03 AC
C2
Address
Land Use
TOTAL SIZE
Lot Size
Zoning
58,693 SF
9.85 AC
AE20
Address
Land Use
TOTAL SIZE
Lot Size
Zoning
33,480 SF
1.81 AC
RM2
Address
Land Use
TOTAL SIZE
Lot Size
Zoning
107.47 AC
AL20
Address
Land Use
TOTAL SIZE
Lot Size
Zoning
14,888 SF
1.25 AC
CP
Address
Land Use
TOTAL SIZE
Lot Size
Zoning
31,060 SF
2.26 AC
MH







