Property Record
Fm 902, Howe, TX 75459
Property Detail
Fm 902
Sherman-Denison, TX
G-0926 PALMS JOHN A-G0926, ACRES 0.967
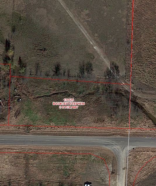
131125
GRAYSON
Residentialacreage
Texas
B and X Area of moderate flood hazard, usually the area between the limits of the 100-year and 500-year floods.
0.97 AC
2024
Howe
2025
Other Market Areas
001801
NEARBY LISTINGS FOR SALE OR LEASE
DEMOGRAPHICS near Fm 902
1 mile
3 mile
5 mile
2025 Total Population
2,490
5,346
7,520
2030 Population
2,733
5,872
8,281
Pop Growth 2025-2030
+ 9.76%
+ 9.84%
+ 10.12%
Average Age
35
37
39
2025 Total Households
913
1,933
2,753
HH Growth 2025-2030
+ 9.97%
+ 9.98%
+ 10.24%
Median Household Inc
$57,098
$73,682
$95,291
Avg Household Size
2.70
2.70
2.70
2025 Avg HH Vehicles
2.00
2.00
2.00
Median Home Value
$269,696
$324,829
$339,628
Median Year Built
1991
1992
1996
Nearby Places
Map Layers
Listings with unknown addresses are not visible on the map
- Restaurants
- Banks
- Shops
- Fitness
- Groceries
SALE & LEASE HISTORY
LISTING DATE
SALE/LEASE
Nearby Properties
Address
Land Use
TOTAL SIZE
Lot Size
Zoning
Address
Land Use
TOTAL SIZE
Lot Size
Zoning
148,140 SF
55.50 AC
Address
Land Use
TOTAL SIZE
Lot Size
Zoning
3,260 SF
39.68 AC
Address
Land Use
TOTAL SIZE
Lot Size
Zoning
5,174 SF
25.19 AC
Address
Land Use
TOTAL SIZE
Lot Size
Zoning
3,015 SF
165.57 AC
Address
Land Use
TOTAL SIZE
Lot Size
Zoning
2,728 SF
13 AC
Address
Land Use
TOTAL SIZE
Lot Size
Zoning
2,470 SF
11.96 AC
Address
Land Use
TOTAL SIZE
Lot Size
Zoning
2,040 SF
11.96 AC
Address
Land Use
TOTAL SIZE
Lot Size
Zoning
3,455 SF
20 AC
Address
Land Use
TOTAL SIZE
Lot Size
Zoning
2,698 SF
14.91 AC
Address
Land Use
TOTAL SIZE
Lot Size
Zoning
2,580 SF
24.60 AC
Address
Land Use
TOTAL SIZE
Lot Size
Zoning
1,894 SF
25.02 AC
Address
Land Use
TOTAL SIZE
Lot Size
Zoning
2,781 SF
20 AC
Address
Land Use
TOTAL SIZE
Lot Size
Zoning
3,214 SF
1.98 AC
Address
Land Use
TOTAL SIZE
Lot Size
Zoning
1,148 SF
12.60 AC
Address
Land Use
TOTAL SIZE
Lot Size
Zoning
1,534 SF
629.20 AC
Address
Land Use
TOTAL SIZE
Lot Size
Zoning
1,200 SF
54.37 AC
Address
Land Use
TOTAL SIZE
Lot Size
Zoning
1,316 SF
462.18 AC
Address
Land Use
TOTAL SIZE
Lot Size
Zoning
Address
Land Use
TOTAL SIZE
Lot Size
Zoning
960 SF
9.08 AC
Address
Land Use
TOTAL SIZE
Lot Size
Zoning
1,839 SF
20 AC
Address
Land Use
TOTAL SIZE
Lot Size
Zoning
137.49 AC
Address
Land Use
TOTAL SIZE
Lot Size
Zoning
1,400 SF
13.03 AC
Address
Land Use
TOTAL SIZE
Lot Size
Zoning
1.50 AC
Address
Land Use
TOTAL SIZE
Lot Size
Zoning
1,414 SF
100.83 AC
Address
Land Use
TOTAL SIZE
Lot Size
Zoning
924 SF
23.80 AC
Address
Land Use
TOTAL SIZE
Lot Size
Zoning
0.82 AC
Address
Land Use
TOTAL SIZE
Lot Size
Zoning
1,207 SF
20.10 AC
Address
Land Use
TOTAL SIZE
Lot Size
Zoning
1,064 SF
2.48 AC
Address
Land Use
TOTAL SIZE
Lot Size
Zoning
1,784 SF
100.25 AC







