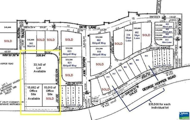
Property Record
George Hopper Rd Rd, Midlothian, TX 76065
Property Detail
George Hopper Rd Rd
Dallas-Fort Worth-Arlington, TX
LOT 3 BLK 27 MIDTOWNE PH2 0.7609 AC
251468
ELLIS
Commercialacreage
Texas
B and X Area of moderate flood hazard, usually the area between the limits of the 100-year and 500-year floods.
3
2024
0.76 AC
2025
Ellis County
060702
Dallas/Ft Worth
NEARBY LISTINGS FOR SALE OR LEASE
DEMOGRAPHICS near George Hopper Rd Rd
1 mile
3 mile
5 mile
2025 Total Population
8,293
28,702
48,576
2030 Population
9,792
33,802
57,051
Pop Growth 2025-2030
+ 18.08%
+ 17.77%
+ 17.45%
Average Age
37
37
38
2025 Total Households
2,921
9,778
16,172
HH Growth 2025-2030
+ 18.21%
+ 17.94%
+ 17.63%
Median Household Inc
$101,619
$108,348
$118,354
Avg Household Size
2.80
2.90
3.00
2025 Avg HH Vehicles
2.00
2.00
2.00
Median Home Value
$362,145
$410,139
$446,805
Median Year Built
2008
2008
2008
Nearby Places
Map Layers
Listings with unknown addresses are not visible on the map
- Restaurants
- Banks
- Shops
- Fitness
- Groceries
PUBLIC TRANSPORTATION
AIRPORT
Dallas Love Field
Drive
Walk
Distance
Dallas Love Field
42 min
31.0 mi
Dallas-Fort Worth International
Drive
Walk
Distance
Dallas-Fort Worth International
47 min
35.0 mi
SALE & LEASE HISTORY
LISTING DATE
SALE/LEASE
Nearby Properties
Address
Land Use
TOTAL SIZE
Lot Size
Zoning
Address
Land Use
TOTAL SIZE
Lot Size
Zoning
427,771 SF
101.40 AC
Address
Land Use
TOTAL SIZE
Lot Size
Zoning
Address
Land Use
TOTAL SIZE
Lot Size
Zoning
176,817 SF
30.71 AC
Address
Land Use
TOTAL SIZE
Lot Size
Zoning
471,921 SF
46 AC
Address
Land Use
TOTAL SIZE
Lot Size
Zoning
740,870 SF
73.29 AC
Address
Land Use
TOTAL SIZE
Lot Size
Zoning
305,283 SF
14.75 AC
Address
Land Use
TOTAL SIZE
Lot Size
Zoning
347,406 SF
20.99 AC
Address
Land Use
TOTAL SIZE
Lot Size
Zoning
108,054 SF
26.99 AC
Address
Land Use
TOTAL SIZE
Lot Size
Zoning
730,356 SF
44.50 AC
Address
Land Use
TOTAL SIZE
Lot Size
Zoning
222,600 SF
9.31 AC
Address
Land Use
TOTAL SIZE
Lot Size
Zoning
179,177 SF
9.98 AC
Address
Land Use
TOTAL SIZE
Lot Size
Zoning
28,974 SF
47.07 AC
Address
Land Use
TOTAL SIZE
Lot Size
Zoning
98,001 SF
14.51 AC
Address
Land Use
TOTAL SIZE
Lot Size
Zoning
199,000 SF
7.76 AC
Address
Land Use
TOTAL SIZE
Lot Size
Zoning
70,066 SF
23.14 AC
Address
Land Use
TOTAL SIZE
Lot Size
Zoning
99,264 SF
10 AC
Address
Land Use
TOTAL SIZE
Lot Size
Zoning
90,377 SF
27.54 AC
Address
Land Use
TOTAL SIZE
Lot Size
Zoning
90,000 SF
12.20 AC
Address
Land Use
TOTAL SIZE
Lot Size
Zoning
117,457 SF
11.24 AC
Address
Land Use
TOTAL SIZE
Lot Size
Zoning
306,925 SF
19.44 AC
Address
Land Use
TOTAL SIZE
Lot Size
Zoning
54,224 SF
1.72 AC
Address
Land Use
TOTAL SIZE
Lot Size
Zoning
80,938 SF
535.62 AC
Address
Land Use
TOTAL SIZE
Lot Size
Zoning
73,480 SF
295.63 AC
Address
Land Use
TOTAL SIZE
Lot Size
Zoning
1,864.30 AC
Address
Land Use
TOTAL SIZE
Lot Size
Zoning
160,775 SF
14.41 AC
Address
Land Use
TOTAL SIZE
Lot Size
Zoning
204,543 SF
5.11 AC
Address
Land Use
TOTAL SIZE
Lot Size
Zoning
756 AC
Address
Land Use
TOTAL SIZE
Lot Size
Zoning
224,941 SF
27.71 AC
Address
Land Use
TOTAL SIZE
Lot Size
Zoning
118,641 SF
12.07 AC
Address
Land Use
TOTAL SIZE
Lot Size
Zoning
56,641 SF
4.77 AC






