Property Record
Gerber Rd, Sacramento, CA 95829
Property Detail
Gerber Rd
Sacramento-Roseville-Folsom, CA
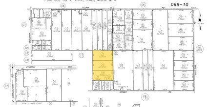
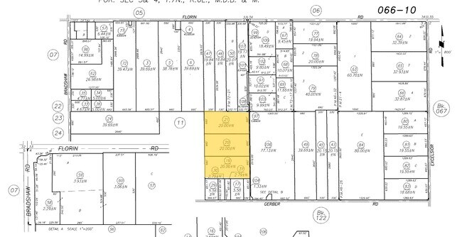
N 1/2 OF S 1/2 OF E 1/2 OF SE 1/4 SEC 4 TWP 7 NR 6 E M D B & M
066-0100-020
SACRAMENTO
Recreationalacreage
California
AG-20
147
AE The base floodplain where base flood elevations are provided. AE Zones are now used on new format FIRMs instead of A1-A30 Zones.
20 AC
2024
Outer Sacramento County
2025
Sacramento
009311
NEARBY LISTINGS FOR SALE OR LEASE
DEMOGRAPHICS near Gerber Rd
1 mile
3 mile
5 mile
2025 Total Population
2,573
31,150
122,817
2030 Population
2,680
31,694
124,325
Pop Growth 2025-2030
+ 4.16%
+ 1.75%
+ 1.23%
Average Age
38
39
39
2025 Total Households
758
9,224
37,404
HH Growth 2025-2030
+ 4.22%
+ 1.73%
+ 1.27%
Median Household Inc
$148,185
$116,340
$99,682
Avg Household Size
3.40
3.30
3.20
2025 Avg HH Vehicles
3.00
2.00
2.00
Median Home Value
$744,866
$693,070
$571,470
Median Year Built
2008
2003
1993
Nearby Places
Map Layers
Listings with unknown addresses are not visible on the map
- Restaurants
- Banks
- Shops
- Fitness
- Groceries
PUBLIC TRANSPORTATION
AIRPORT
Sacramento International
Drive
Walk
Distance
Sacramento International
40 min
26.1 mi
Freight Ports
Port of Stockton
Drive
Walk
Distance
Port of Stockton
60 min
44.6 mi
SALE & LEASE HISTORY
LISTING DATE
SALE/LEASE
Nearby Properties
Address
Land Use
TOTAL SIZE
Lot Size
Zoning
Address
Land Use
TOTAL SIZE
Lot Size
Zoning
204,290 SF
11.86 AC
RD-20
Address
Land Use
TOTAL SIZE
Lot Size
Zoning
161,834 SF
15.23 AC
LC
Address
Land Use
TOTAL SIZE
Lot Size
Zoning
167,152 SF
7.53 AC
RD-20
Address
Land Use
TOTAL SIZE
Lot Size
Zoning
90,925 SF
9.77 AC
AR-1
Address
Land Use
TOTAL SIZE
Lot Size
Zoning
800 SF
2.43 AC
M-1 (SM)
Address
Land Use
TOTAL SIZE
Lot Size
Zoning
11.09 AC
RD-5
Address
Land Use
TOTAL SIZE
Lot Size
Zoning
RD-5 O RD-
Address
Land Use
TOTAL SIZE
Lot Size
Zoning
22.42 AC
RD-5
Address
Land Use
TOTAL SIZE
Lot Size
Zoning
150,807 SF
19.85 AC
M-1
Address
Land Use
TOTAL SIZE
Lot Size
Zoning
12,900 SF
1.70 AC
GC
Address
Land Use
TOTAL SIZE
Lot Size
Zoning
2,993 SF
6.57 AC
AR-5
Address
Land Use
TOTAL SIZE
Lot Size
Zoning
14,423 SF
9.60 AC
AR-10
Address
Land Use
TOTAL SIZE
Lot Size
Zoning
39.69 AC
RD-3 RD-5
Address
Land Use
TOTAL SIZE
Lot Size
Zoning
5,000 SF
161.69 AC
AG-80
Address
Land Use
TOTAL SIZE
Lot Size
Zoning
36,270 SF
15.88 AC
M-1
Address
Land Use
TOTAL SIZE
Lot Size
Zoning
720 SF
38.04 AC
AR-10
Address
Land Use
TOTAL SIZE
Lot Size
Zoning
3,027 SF
158 AC
AG-80 (SM)
Address
Land Use
TOTAL SIZE
Lot Size
Zoning
43.50 AC
M-1 (SM)
Address
Land Use
TOTAL SIZE
Lot Size
Zoning
1,188 SF
36.09 AC
SC
Address
Land Use
TOTAL SIZE
Lot Size
Zoning
10,563 SF
2.20 AC
RD-4
Address
Land Use
TOTAL SIZE
Lot Size
Zoning
31.90 AC
M-1
Address
Land Use
TOTAL SIZE
Lot Size
Zoning
14,400 SF
3.54 AC
M-1
Address
Land Use
TOTAL SIZE
Lot Size
Zoning
15.79 AC
LC
Address
Land Use
TOTAL SIZE
Lot Size
Zoning
5.78 AC
LC
Address
Land Use
TOTAL SIZE
Lot Size
Zoning
10,354 SF
4.76 AC
M-1
Address
Land Use
TOTAL SIZE
Lot Size
Zoning
5,160 SF
10.10 AC
M-1
Address
Land Use
TOTAL SIZE
Lot Size
Zoning
1,680 SF
31.90 AC
M-1
Address
Land Use
TOTAL SIZE
Lot Size
Zoning
4.01 AC
M-1
Address
Land Use
TOTAL SIZE
Lot Size
Zoning
3.92 AC
M-1
Address
Land Use
TOTAL SIZE
Lot Size
Zoning
40 AC
AG-20 RD-7






