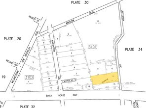
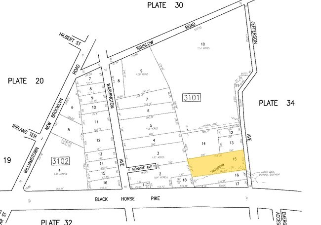
Property Record
Jefferson Ave, Monroe, NJ 08831
Property Detail
Jefferson Ave
Philadelphia-Camden-Wilmington, PA-NJ-DE-MD
FACILITY NAME: IN REM FORECLOSURE
11-03101-0000-00015
GLOUCESTER
Governmentalpublicusegeneral
New Jersey
RG40
15
A Areas with a 1% annual chance of flooding and a 26% chance of flooding over the life of a 30-year mortgage.
1.01 AC
2023
Gloucester County
2025
Philadelphia
008212
NEARBY LISTINGS FOR SALE OR LEASE
DEMOGRAPHICS near Jefferson Ave
1 mile
3 mile
5 mile
2025 Total Population
10,041
42,430
86,396
2030 Population
10,327
43,747
88,787
Pop Growth 2025-2030
+ 2.85%
+ 3.10%
+ 2.77%
Average Age
40
40
41
2025 Total Households
3,650
15,551
30,975
HH Growth 2025-2030
+ 2.85%
+ 3.15%
+ 2.84%
Median Household Inc
$89,509
$88,302
$95,937
Avg Household Size
2.70
2.70
2.70
2025 Avg HH Vehicles
2.00
2.00
2.00
Median Home Value
$285,147
$277,908
$313,455
Median Year Built
1976
1984
1987
Nearby Places
Map Layers
Listings with unknown addresses are not visible on the map
- Restaurants
- Banks
- Shops
- Fitness
- Groceries
PUBLIC TRANSPORTATION
COMMUTER RAIL
Atco (Atlantic City Line - NJ Transit Commuter Rail (NJ Transit))
Drive
Walk
Distance
Atco (Atlantic City Line - NJ Transit Commuter Rail (NJ Transit))
15 min
8.7 mi
AIRPORT
Philadelphia International
Drive
Walk
Distance
Philadelphia International
44 min
28.0 mi
Atlantic City International
Drive
Walk
Distance
Atlantic City International
62 min
34.6 mi
Freight Ports
Broadway Terminal - Pier 5
Drive
Walk
Distance
Broadway Terminal - Pier 5
28 min
19.5 mi
Nearby Properties
Address
Land Use
TOTAL SIZE
Lot Size
Zoning
Address
Land Use
TOTAL SIZE
Lot Size
Zoning
46.45 AC
RGMR
Address
Land Use
TOTAL SIZE
Lot Size
Zoning
74.69 AC
RGMR
Address
Land Use
TOTAL SIZE
Lot Size
Zoning
25.89 AC
RGPR
Address
Land Use
TOTAL SIZE
Lot Size
Zoning
19.53 AC
R2
Address
Land Use
TOTAL SIZE
Lot Size
Zoning
35.07 AC
Address
Land Use
TOTAL SIZE
Lot Size
Zoning
1 SF
19.71 AC
CC
Address
Land Use
TOTAL SIZE
Lot Size
Zoning
9.76 AC
R2
Address
Land Use
TOTAL SIZE
Lot Size
Zoning
29.50 AC
FD10
Address
Land Use
TOTAL SIZE
Lot Size
Zoning
7.69 AC
RG30
Address
Land Use
TOTAL SIZE
Lot Size
Zoning
3.44 AC
RM
Address
Land Use
TOTAL SIZE
Lot Size
Zoning
13.03 AC
RL
Address
Land Use
TOTAL SIZE
Lot Size
Zoning
10.98 AC
RGPR
Address
Land Use
TOTAL SIZE
Lot Size
Zoning
11.46 AC
RGPR
Address
Land Use
TOTAL SIZE
Lot Size
Zoning
2.80 AC
RG30
Address
Land Use
TOTAL SIZE
Lot Size
Zoning
6.51 AC
C
Address
Land Use
TOTAL SIZE
Lot Size
Zoning
12.20 AC
CC
Address
Land Use
TOTAL SIZE
Lot Size
Zoning
0.92 AC
RGTC
Address
Land Use
TOTAL SIZE
Lot Size
Zoning
54,056 SF
17.26 AC
P
Address
Land Use
TOTAL SIZE
Lot Size
Zoning
4.06 AC
RG40
Address
Land Use
TOTAL SIZE
Lot Size
Zoning
Address
Land Use
TOTAL SIZE
Lot Size
Zoning
5.30 AC
RGPR
Address
Land Use
TOTAL SIZE
Lot Size
Zoning
2.13 AC
RGTC
Address
Land Use
TOTAL SIZE
Lot Size
Zoning
26.73 AC
BP
Address
Land Use
TOTAL SIZE
Lot Size
Zoning
Address
Land Use
TOTAL SIZE
Lot Size
Zoning
6.63 AC
RM
Address
Land Use
TOTAL SIZE
Lot Size
Zoning
11.82 AC
RM
Address
Land Use
TOTAL SIZE
Lot Size
Zoning
4.33 AC
C
Address
Land Use
TOTAL SIZE
Lot Size
Zoning
8.41 AC
CM
Address
Land Use
TOTAL SIZE
Lot Size
Zoning
4.97 AC
CC
Address
Land Use
TOTAL SIZE
Lot Size
Zoning
5,464 SF
3.46 AC
C







