Property Record
Lansing Rd, Perry, MI 48872
Property Detail
Lansing Rd
Owosso, MI
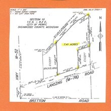
SEC 10, T5N, R2E COM AT SW COR OF SEC, N0212'51!W ALONG W SEC LINE 780.29 FT TO N'LY RWY LINE OF LANSING ROAD, N7140'08!E ALONG SD N'LY LINE 1730.46 FT TO PT OF BEG, N0204'06!W 308.55 FT, S8755'54!W 334.07 FT, N0204'06!W 431.81 FT TO S'LY RWY LINE OF
014-10-300-007-01
SHIAWASSEE
Commercialacreage
Michigan
B and X Area of moderate flood hazard, usually the area between the limits of the 100-year and 500-year floods.
6.10 AC
2024
Midland/Flint
2025
Other Market Areas
031501
NEARBY LISTINGS FOR SALE OR LEASE
-
-
View all Perry listings for sale on LoopNet.com
DEMOGRAPHICS near Lansing Rd
1 mile
3 mile
5 mile
2025 Total Population
1,488
5,682
10,322
2030 Population
1,491
5,709
10,342
Pop Growth 2025-2030
+ 0.20%
+ 0.48%
+ 0.19%
Average Age
41
40
41
2025 Total Households
581
2,175
3,951
HH Growth 2025-2030
+ 0.17%
+ 0.41%
+ 0.10%
Median Household Inc
$65,884
$73,298
$82,289
Avg Household Size
2.50
2.60
2.60
2025 Avg HH Vehicles
2.00
2.00
2.00
Median Home Value
$165,384
$183,302
$212,791
Median Year Built
1971
1978
1978
Nearby Places
Map Layers
Listings with unknown addresses are not visible on the map
- Restaurants
- Banks
- Shops
- Fitness
- Groceries
PUBLIC TRANSPORTATION
AIRPORT
Bishop International
Drive
Walk
Distance
Bishop International
40 min
29.2 mi
Capital Region International
Drive
Walk
Distance
Capital Region International
47 min
40.9 mi
Freight Ports
Port of Toledo
Drive
Walk
Distance
Port of Toledo
157 min
138.0 mi
SALE & LEASE HISTORY
LISTING DATE
SALE/LEASE
Nearby Properties
Address
Land Use
TOTAL SIZE
Lot Size
Zoning
Address
Land Use
TOTAL SIZE
Lot Size
Zoning
120 AC
Address
Land Use
TOTAL SIZE
Lot Size
Zoning
45,000 SF
1.70 AC
B-2
Address
Land Use
TOTAL SIZE
Lot Size
Zoning
198 AC
Address
Land Use
TOTAL SIZE
Lot Size
Zoning
2.06 AC
Address
Land Use
TOTAL SIZE
Lot Size
Zoning
5,264 SF
1 AC
Address
Land Use
TOTAL SIZE
Lot Size
Zoning
6.50 AC
Address
Land Use
TOTAL SIZE
Lot Size
Zoning
7,286 SF
8 AC
Address
Land Use
TOTAL SIZE
Lot Size
Zoning
2.24 AC
Address
Land Use
TOTAL SIZE
Lot Size
Zoning
4.66 AC
Address
Land Use
TOTAL SIZE
Lot Size
Zoning
4.69 AC
Address
Land Use
TOTAL SIZE
Lot Size
Zoning
18.30 AC
Address
Land Use
TOTAL SIZE
Lot Size
Zoning
5.10 AC
Address
Land Use
TOTAL SIZE
Lot Size
Zoning
15,992 SF
1.38 AC
R-M
Address
Land Use
TOTAL SIZE
Lot Size
Zoning
1.20 AC
Address
Land Use
TOTAL SIZE
Lot Size
Zoning
5.60 AC
Address
Land Use
TOTAL SIZE
Lot Size
Zoning
Address
Land Use
TOTAL SIZE
Lot Size
Zoning
7,788 SF
1.84 AC
R-M
Address
Land Use
TOTAL SIZE
Lot Size
Zoning
8,836 SF
1.90 AC
Address
Land Use
TOTAL SIZE
Lot Size
Zoning
1.60 AC
Address
Land Use
TOTAL SIZE
Lot Size
Zoning
Address
Land Use
TOTAL SIZE
Lot Size
Zoning
Address
Land Use
TOTAL SIZE
Lot Size
Zoning
9,600 SF
1.26 AC
Address
Land Use
TOTAL SIZE
Lot Size
Zoning
24,658 SF
1.86 AC
Address
Land Use
TOTAL SIZE
Lot Size
Zoning
Address
Land Use
TOTAL SIZE
Lot Size
Zoning
195.68 AC
Address
Land Use
TOTAL SIZE
Lot Size
Zoning
3,476 SF
2.95 AC
Address
Land Use
TOTAL SIZE
Lot Size
Zoning
56.20 AC
Address
Land Use
TOTAL SIZE
Lot Size
Zoning
Address
Land Use
TOTAL SIZE
Lot Size
Zoning
98 AC
Address
Land Use
TOTAL SIZE
Lot Size
Zoning
98.40 AC







