Property Record
N Peak Ln, Eloy, AZ 85131
Property Detail
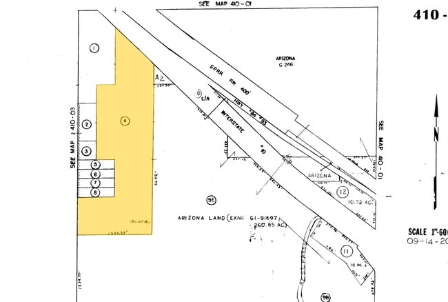
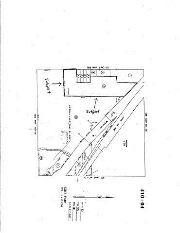
N Peak Ln
410-04-004
PT OF E1/2 NW NW S OF HWY EXC R/W E3/4 OF SW NW & NE NW SW & S1/2 NW SW 65.00 AC
Commercialnec
PINAL
B and X Area of moderate flood hazard, usually the area between the limits of the 100-year and 500-year floods.
Arizona
2024
65 AC
2025
Pinal County
002107
Phoenix
4,680 SF
Phoenix-Mesa-Chandler, AZ
NEARBY LISTINGS FOR SALE OR LEASE
-
-
View all Eloy listings for sale on LoopNet.com
DEMOGRAPHICS near N Peak Ln
1 mile
3 mile
5 mile
2025 Total Population
0
0
5
2030 Population
0
0
6
Pop Growth 2025-2030
0.00%
0.00%
+ 20.00%
Average Age
0
0
0
2025 Total Households
0
0
2
HH Growth 2025-2030
0.00%
0.00%
0.00%
Median Household Inc
$0
$0
$0
Avg Household Size
.00
.00
2.00
2025 Avg HH Vehicles
.00
.00
2.00
Median Home Value
$0
$0
$0
Median Year Built
0
0
2005
Nearby Places
Map Layers
Listings with unknown addresses are not visible on the map
- Restaurants
- Banks
- Shops
- Fitness
- Groceries
SALE & LEASE HISTORY
LISTING DATE
SALE/LEASE
Nearby Properties
Address
Land Use
TOTAL SIZE
Lot Size
Zoning
Address
Land Use
TOTAL SIZE
Lot Size
Zoning
260.65 AC
GR
Address
Land Use
TOTAL SIZE
Lot Size
Zoning
154.86 AC
CI2
Address
Land Use
TOTAL SIZE
Lot Size
Zoning
2,400 SF
4.21 AC
CB2
Address
Land Use
TOTAL SIZE
Lot Size
Zoning
72.83 AC
GR
Address
Land Use
TOTAL SIZE
Lot Size
Zoning
1,827 SF
1.29 AC
CB2
Address
Land Use
TOTAL SIZE
Lot Size
Zoning
57.99 AC
SR
Address
Land Use
TOTAL SIZE
Lot Size
Zoning
80 AC
GR
Address
Land Use
TOTAL SIZE
Lot Size
Zoning
40 AC
GR
Address
Land Use
TOTAL SIZE
Lot Size
Zoning
37.27 AC
GR
Address
Land Use
TOTAL SIZE
Lot Size
Zoning
20.38 AC
GR
Address
Land Use
TOTAL SIZE
Lot Size
Zoning
38.25 AC
Address
Land Use
TOTAL SIZE
Lot Size
Zoning
4.78 AC
CI2
Address
Land Use
TOTAL SIZE
Lot Size
Zoning
4,266 SF
1.27 AC
CB2
Address
Land Use
TOTAL SIZE
Lot Size
Zoning
1.18 AC
CB2
Address
Land Use
TOTAL SIZE
Lot Size
Zoning
0.05 AC
GR







