Property Record
Naylor Rd, Oak Point, TX 75068
Property Detail
Naylor Rd
Dallas-Fort Worth-Arlington, TX
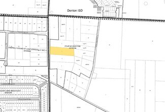
FOUR W (DENTON) LOT 3 ACRES 4.560
R74997
DENTON
Residentialacreage
Texas
B and X Area of moderate flood hazard, usually the area between the limits of the 100-year and 500-year floods.
3
2024
4.56 AC
2025
Outlying Denton County
020119
Dallas/Ft Worth
NEARBY LISTINGS FOR SALE OR LEASE
DEMOGRAPHICS near Naylor Rd
1 mile
3 mile
5 mile
2025 Total Population
5,329
33,730
112,369
2030 Population
6,065
38,783
127,856
Pop Growth 2025-2030
+ 13.81%
+ 14.98%
+ 13.78%
Average Age
37
37
37
2025 Total Households
1,780
11,682
37,909
HH Growth 2025-2030
+ 14.10%
+ 15.31%
+ 14.18%
Median Household Inc
$109,810
$110,969
$111,980
Avg Household Size
3.00
2.90
2.90
2025 Avg HH Vehicles
2.00
2.00
2.00
Median Home Value
$440,800
$465,226
$415,939
Median Year Built
2010
2010
2010
Nearby Places
Map Layers
Listings with unknown addresses are not visible on the map
- Restaurants
- Banks
- Shops
- Fitness
- Groceries
PUBLIC TRANSPORTATION
AIRPORT
Dallas-Fort Worth International
Drive
Walk
Distance
Dallas-Fort Worth International
38 min
27.1 mi
Dallas Love Field
Drive
Walk
Distance
Dallas Love Field
45 min
32.9 mi
Freight Ports
Port of Shreveport
Drive
Walk
Distance
Port of Shreveport
249 min
226.2 mi
SALE & LEASE HISTORY
LISTING DATE
SALE/LEASE
Nearby Properties
Address
Land Use
TOTAL SIZE
Lot Size
Zoning
Address
Land Use
TOTAL SIZE
Lot Size
Zoning
408,166 SF
107.40 AC
Address
Land Use
TOTAL SIZE
Lot Size
Zoning
350,452 SF
55.65 AC
Address
Land Use
TOTAL SIZE
Lot Size
Zoning
442,052 SF
27.20 AC
Address
Land Use
TOTAL SIZE
Lot Size
Zoning
500,000 SF
57.47 AC
Address
Land Use
TOTAL SIZE
Lot Size
Zoning
570,160 SF
21.11 AC
Address
Land Use
TOTAL SIZE
Lot Size
Zoning
352,664 SF
19.11 AC
Address
Land Use
TOTAL SIZE
Lot Size
Zoning
299,958 SF
19.18 AC
Address
Land Use
TOTAL SIZE
Lot Size
Zoning
230,724 SF
56.59 AC
Address
Land Use
TOTAL SIZE
Lot Size
Zoning
325,000 SF
5.83 AC
Address
Land Use
TOTAL SIZE
Lot Size
Zoning
87,099 SF
15.80 AC
Address
Land Use
TOTAL SIZE
Lot Size
Zoning
271,742 SF
Address
Land Use
TOTAL SIZE
Lot Size
Zoning
52,000 SF
12.36 AC
Address
Land Use
TOTAL SIZE
Lot Size
Zoning
47.81 AC
Address
Land Use
TOTAL SIZE
Lot Size
Zoning
153,287 SF
17.30 AC
Address
Land Use
TOTAL SIZE
Lot Size
Zoning
52,182 SF
7.72 AC
Address
Land Use
TOTAL SIZE
Lot Size
Zoning
76,506 SF
7.69 AC
Address
Land Use
TOTAL SIZE
Lot Size
Zoning
156,498 SF
12.20 AC
Address
Land Use
TOTAL SIZE
Lot Size
Zoning
84,187 SF
15.84 AC
Address
Land Use
TOTAL SIZE
Lot Size
Zoning
194,790 SF
4 AC
Address
Land Use
TOTAL SIZE
Lot Size
Zoning
90,326 SF
31.44 AC
Address
Land Use
TOTAL SIZE
Lot Size
Zoning
85,499 SF
5.33 AC
Address
Land Use
TOTAL SIZE
Lot Size
Zoning
135,664 SF
10.60 AC
Address
Land Use
TOTAL SIZE
Lot Size
Zoning
105,095 SF
3.69 AC
Address
Land Use
TOTAL SIZE
Lot Size
Zoning
74,475 SF
9.07 AC
Address
Land Use
TOTAL SIZE
Lot Size
Zoning
217,712 SF
22.62 AC
Address
Land Use
TOTAL SIZE
Lot Size
Zoning
32,000 SF
20.24 AC
Address
Land Use
TOTAL SIZE
Lot Size
Zoning
123,759 SF
12.12 AC
Address
Land Use
TOTAL SIZE
Lot Size
Zoning
34,864 SF
1.19 AC
Address
Land Use
TOTAL SIZE
Lot Size
Zoning
52,291 SF
21.43 AC
Address
Land Use
TOTAL SIZE
Lot Size
Zoning
93,339 SF
1.98 AC








