Property Record
Null, Tyrone, GA 30290
Property Detail
Null
07-26-00-036
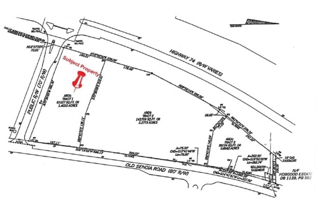
1.40 ACRES HWY 74 N & CARRIAGE
Commercialacreage
FAYETTE
C C2
Georgia
B and X Area of moderate flood hazard, usually the area between the limits of the 100-year and 500-year floods.
1.40 AC
2024
Fayette/Coweta County
2025
Atlanta
140203
Atlanta-Sandy Springs-Roswell, GA
NEARBY LISTINGS FOR SALE OR LEASE
DEMOGRAPHICS near Null
1 mile
3 mile
5 mile
2025 Total Population
2,059
14,306
53,855
2030 Population
2,125
14,973
56,281
Pop Growth 2025-2030
+ 3.21%
+ 4.66%
+ 4.50%
Average Age
41
41
41
2025 Total Households
660
4,789
19,558
HH Growth 2025-2030
+ 3.48%
+ 4.74%
+ 4.38%
Median Household Inc
$122,142
$103,178
$103,498
Avg Household Size
3.10
3.00
2.70
2025 Avg HH Vehicles
2.00
2.00
2.00
Median Home Value
$465,624
$416,916
$437,463
Median Year Built
1999
1997
1999
Nearby Places
Map Layers
Listings with unknown addresses are not visible on the map
- Restaurants
- Banks
- Shops
- Fitness
- Groceries
PUBLIC TRANSPORTATION
AIRPORT
Hartsfield - Jackson Atlanta International
Drive
Walk
Distance
Hartsfield - Jackson Atlanta International
27 min
18.3 mi
Freight Ports
Georgia Ports - Savannah
Drive
Walk
Distance
Georgia Ports - Savannah
289 min
255.6 mi
SALE & LEASE HISTORY
LISTING DATE
SALE/LEASE
Nearby Properties
Address
Land Use
TOTAL SIZE
Lot Size
Zoning
Address
Land Use
TOTAL SIZE
Lot Size
Zoning
907,675 SF
73.12 AC
AG1
Address
Land Use
TOTAL SIZE
Lot Size
Zoning
412,253 SF
134.50 AC
Address
Land Use
TOTAL SIZE
Lot Size
Zoning
80,800 SF
9.39 AC
C C2
Address
Land Use
TOTAL SIZE
Lot Size
Zoning
598,814 SF
120.60 AC
Address
Land Use
TOTAL SIZE
Lot Size
Zoning
80,956 SF
60.90 AC
Address
Land Use
TOTAL SIZE
Lot Size
Zoning
72,376 SF
30.30 AC
Address
Land Use
TOTAL SIZE
Lot Size
Zoning
90,360 SF
5.86 AC
C2
Address
Land Use
TOTAL SIZE
Lot Size
Zoning
60.89 AC
I M1
Address
Land Use
TOTAL SIZE
Lot Size
Zoning
30,397 SF
24.50 AC
Address
Land Use
TOTAL SIZE
Lot Size
Zoning
13.89 AC
Address
Land Use
TOTAL SIZE
Lot Size
Zoning
12,859 SF
50.50 AC
Address
Land Use
TOTAL SIZE
Lot Size
Zoning
15,440 SF
10.86 AC
C C1
Address
Land Use
TOTAL SIZE
Lot Size
Zoning
17,248 SF
3.47 AC
C OI
Address
Land Use
TOTAL SIZE
Lot Size
Zoning
26,022 SF
3.48 AC
C C2
Address
Land Use
TOTAL SIZE
Lot Size
Zoning
11,780 SF
2.07 AC
C2
Address
Land Use
TOTAL SIZE
Lot Size
Zoning
24,100 SF
4.30 AC
C C3
Address
Land Use
TOTAL SIZE
Lot Size
Zoning
1,080 SF
37.60 AC
I M1
Address
Land Use
TOTAL SIZE
Lot Size
Zoning
27,270 SF
3.28 AC
C C2
Address
Land Use
TOTAL SIZE
Lot Size
Zoning
18,400 SF
2.35 AC
C C1
Address
Land Use
TOTAL SIZE
Lot Size
Zoning
720 SF
14.23 AC
AG1
Address
Land Use
TOTAL SIZE
Lot Size
Zoning
60,099 SF
3.60 AC
Address
Land Use
TOTAL SIZE
Lot Size
Zoning
56,280 SF
4.04 AC
OI
Address
Land Use
TOTAL SIZE
Lot Size
Zoning
14,375 SF
1.85 AC
C C1
Address
Land Use
TOTAL SIZE
Lot Size
Zoning
24,033 SF
2.65 AC
C1
Address
Land Use
TOTAL SIZE
Lot Size
Zoning
17,330 SF
4.16 AC
C OI
Address
Land Use
TOTAL SIZE
Lot Size
Zoning
15,512 SF
11.26 AC
Address
Land Use
TOTAL SIZE
Lot Size
Zoning
30,000 SF
9.45 AC
C C2
Address
Land Use
TOTAL SIZE
Lot Size
Zoning
13,914 SF
1.74 AC
C C2
Address
Land Use
TOTAL SIZE
Lot Size
Zoning
62,322 SF
25.50 AC
I M1
Address
Land Use
TOTAL SIZE
Lot Size
Zoning
6,940 SF
1.65 AC
C C2







