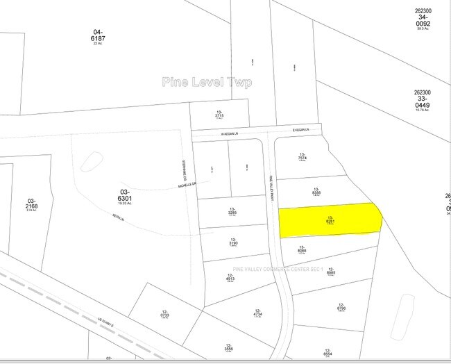
Property Record
Pine Vly, Selma, NC 27576
Property Detail
Pine Vly
Raleigh-Cary, NC
LOT 8 PINE VALLEY CC 71/400 101/463
12N11059Z
JOHNSTON
Vacantlandnec
North Carolina
IND
8
B and X Area of moderate flood hazard, usually the area between the limits of the 100-year and 500-year floods.
1.78 AC
2025
Johnston County
2025
Raleigh/Durham
040400
NEARBY LISTINGS FOR SALE OR LEASE
DEMOGRAPHICS near Pine Vly
1 mile
3 mile
5 mile
2025 Total Population
556
6,697
23,668
2030 Population
625
7,492
26,486
Pop Growth 2025-2030
+ 12.41%
+ 11.87%
+ 11.91%
Average Age
38
39
39
2025 Total Households
210
2,561
9,037
HH Growth 2025-2030
+ 12.38%
+ 11.95%
+ 11.96%
Median Household Inc
$69,599
$70,505
$56,876
Avg Household Size
2.60
2.60
2.60
2025 Avg HH Vehicles
2.00
2.00
2.00
Median Home Value
$230,645
$218,876
$193,554
Median Year Built
1992
1992
1987
Nearby Places
Map Layers
Listings with unknown addresses are not visible on the map
- Restaurants
- Banks
- Shops
- Fitness
- Groceries
PUBLIC TRANSPORTATION
COMMUTER RAIL
Selma (Carolinian - Amtrak, Palmetto - Amtrak)
Drive
Walk
Distance
Selma (Carolinian - Amtrak, Palmetto - Amtrak)
7 min
4.6 mi
Freight Ports
Port of Wilmington
Drive
Walk
Distance
Port of Wilmington
138 min
112.8 mi
SALE & LEASE HISTORY
LISTING DATE
SALE/LEASE
Nearby Properties
Address
Land Use
TOTAL SIZE
Lot Size
Zoning
Address
Land Use
TOTAL SIZE
Lot Size
Zoning
134,742 SF
8.20 AC
IND
Address
Land Use
TOTAL SIZE
Lot Size
Zoning
54,009 SF
2.08 AC
COM
Address
Land Use
TOTAL SIZE
Lot Size
Zoning
63,415 SF
5.45 AC
COM
Address
Land Use
TOTAL SIZE
Lot Size
Zoning
30,370 SF
8.43 AC
COM
Address
Land Use
TOTAL SIZE
Lot Size
Zoning
57,774 SF
3.79 AC
COM
Address
Land Use
TOTAL SIZE
Lot Size
Zoning
41.27 AC
IND
Address
Land Use
TOTAL SIZE
Lot Size
Zoning
20,602 SF
4.52 AC
COM
Address
Land Use
TOTAL SIZE
Lot Size
Zoning
12.18 AC
COM
Address
Land Use
TOTAL SIZE
Lot Size
Zoning
25,000 SF
2.58 AC
COM
Address
Land Use
TOTAL SIZE
Lot Size
Zoning
34.19 AC
IND
Address
Land Use
TOTAL SIZE
Lot Size
Zoning
20,730 SF
7.77 AC
COM
Address
Land Use
TOTAL SIZE
Lot Size
Zoning
9.45 AC
COM
Address
Land Use
TOTAL SIZE
Lot Size
Zoning
10,640 SF
1.86 AC
RES
Address
Land Use
TOTAL SIZE
Lot Size
Zoning
46,830 SF
22.60 AC
IND
Address
Land Use
TOTAL SIZE
Lot Size
Zoning
37,320 SF
6.32 AC
IND
Address
Land Use
TOTAL SIZE
Lot Size
Zoning
2,800 SF
13.40 AC
COM
Address
Land Use
TOTAL SIZE
Lot Size
Zoning
2,200 SF
17.33 AC
MHP
Address
Land Use
TOTAL SIZE
Lot Size
Zoning
27.63 AC
IND
Address
Land Use
TOTAL SIZE
Lot Size
Zoning
102.59 AC
RES
Address
Land Use
TOTAL SIZE
Lot Size
Zoning
4,494 SF
1.04 AC
COM
Address
Land Use
TOTAL SIZE
Lot Size
Zoning
15.76 AC
IND
Address
Land Use
TOTAL SIZE
Lot Size
Zoning
15,014 SF
23.78 AC
COM
Address
Land Use
TOTAL SIZE
Lot Size
Zoning
40,940 SF
3.54 AC
IND
Address
Land Use
TOTAL SIZE
Lot Size
Zoning
51.77 AC
COM
Address
Land Use
TOTAL SIZE
Lot Size
Zoning
26,000 SF
2.82 AC
COM
Address
Land Use
TOTAL SIZE
Lot Size
Zoning
12,151 SF
1.46 AC
RES
Address
Land Use
TOTAL SIZE
Lot Size
Zoning
1,551 SF
2.50 AC
RES
Address
Land Use
TOTAL SIZE
Lot Size
Zoning
8,925 SF
7.64 AC
RAG
Address
Land Use
TOTAL SIZE
Lot Size
Zoning
5,688 SF
77.86 AC
COM






