Property Record
Red Lion Rd, Bear, DE 19701
Property Detail
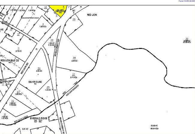
Red Lion Rd
10-053.00-005
NEW CASTLE
Commercialnec
Delaware
CN
0.53 AC
B and X Area of moderate flood hazard, usually the area between the limits of the 100-year and 500-year floods.
South New Castle County
2025
Philadelphia
2025
Philadelphia-Camden-Wilmington, PA-NJ-DE-MD
016301
NEARBY LISTINGS FOR SALE OR LEASE
DEMOGRAPHICS near Red Lion Rd
1 mile
3 mile
5 mile
2025 Total Population
4,080
56,935
128,392
2030 Population
4,185
58,116
132,456
Pop Growth 2025-2030
+ 2.57%
+ 2.07%
+ 3.17%
Average Age
42
40
40
2025 Total Households
1,447
21,336
49,059
HH Growth 2025-2030
+ 2.90%
+ 2.24%
+ 3.44%
Median Household Inc
$130,183
$89,384
$86,728
Avg Household Size
2.80
2.60
2.60
2025 Avg HH Vehicles
2.00
2.00
2.00
Median Home Value
$379,726
$325,714
$336,621
Median Year Built
1995
1992
1989
Nearby Places
Map Layers
Listings with unknown addresses are not visible on the map
- Restaurants
- Banks
- Shops
- Fitness
- Groceries
PUBLIC TRANSPORTATION
COMMUTER RAIL
Churchmans Crossing (R2 - Southeastern Pennsylvania Transportation Authority Regional Rail (SEPTA Regional Rail))
Drive
Walk
Distance
Churchmans Crossing (R2 - Southeastern Pennsylvania Transportation Authority Regional Rail (SEPTA Regional Rail))
12 min
7.8 mi
Newark (R2 - Southeastern Pennsylvania Transportation Authority Regional Rail (SEPTA Regional Rail))
Drive
Walk
Distance
Newark (R2 - Southeastern Pennsylvania Transportation Authority Regional Rail (SEPTA Regional Rail))
15 min
9.1 mi
AIRPORT
Philadelphia International
Drive
Walk
Distance
Philadelphia International
46 min
31.7 mi
Freight Ports
Port of Wilmington, RI
Drive
Walk
Distance
Port of Wilmington, RI
21 min
11.7 mi
Nearby Properties
Address
Land Use
TOTAL SIZE
Lot Size
Zoning
Address
Land Use
TOTAL SIZE
Lot Size
Zoning
326,520 SF
125.02 AC
EX
Address
Land Use
TOTAL SIZE
Lot Size
Zoning
Address
Land Use
TOTAL SIZE
Lot Size
Zoning
1,003,632 SF
70.39 AC
HI
Address
Land Use
TOTAL SIZE
Lot Size
Zoning
Address
Land Use
TOTAL SIZE
Lot Size
Zoning
44,512 SF
370.29 AC
HI
Address
Land Use
TOTAL SIZE
Lot Size
Zoning
4,676 SF
42.81 AC
NCAP
Address
Land Use
TOTAL SIZE
Lot Size
Zoning
259,722 SF
20.72 AC
NCAP
Address
Land Use
TOTAL SIZE
Lot Size
Zoning
802.83 AC
HI
Address
Land Use
TOTAL SIZE
Lot Size
Zoning
343,216 SF
27.10 AC
ST
Address
Land Use
TOTAL SIZE
Lot Size
Zoning
594,720 SF
33.32 AC
HI
Address
Land Use
TOTAL SIZE
Lot Size
Zoning
333,334 SF
20.57 AC
NCPUD
Address
Land Use
TOTAL SIZE
Lot Size
Zoning
Address
Land Use
TOTAL SIZE
Lot Size
Zoning
234,941 SF
19.54 AC
NCPUD
Address
Land Use
TOTAL SIZE
Lot Size
Zoning
Address
Land Use
TOTAL SIZE
Lot Size
Zoning
293,376 SF
149.74 AC
I
Address
Land Use
TOTAL SIZE
Lot Size
Zoning
294.01 AC
HI
Address
Land Use
TOTAL SIZE
Lot Size
Zoning
18,476 SF
18 AC
NCAP
Address
Land Use
TOTAL SIZE
Lot Size
Zoning
152,860 SF
49.01 AC
CR
Address
Land Use
TOTAL SIZE
Lot Size
Zoning
305,422 SF
22.35 AC
NCPUD
Address
Land Use
TOTAL SIZE
Lot Size
Zoning
152,075 SF
35.66 AC
CR
Address
Land Use
TOTAL SIZE
Lot Size
Zoning
6,180 SF
214.27 AC
HI
Address
Land Use
TOTAL SIZE
Lot Size
Zoning
Address
Land Use
TOTAL SIZE
Lot Size
Zoning
18,101 SF
8.91 AC
NCAP
Address
Land Use
TOTAL SIZE
Lot Size
Zoning
91,473 SF
59.44 AC
S
Address
Land Use
TOTAL SIZE
Lot Size
Zoning
11,362 SF
36.39 AC
I
Address
Land Use
TOTAL SIZE
Lot Size
Zoning
218,883 SF
42.56 AC
HI
Address
Land Use
TOTAL SIZE
Lot Size
Zoning
94,417 SF
28.89 AC
CR
Address
Land Use
TOTAL SIZE
Lot Size
Zoning
62,054 SF
37.38 AC
S
Address
Land Use
TOTAL SIZE
Lot Size
Zoning
252,888 SF
11.91 AC
NCPUD
Address
Land Use
TOTAL SIZE
Lot Size
Zoning
7,640 SF
60.67 AC
S






