Property Record
W Baseline Rd, Rialto, CA 92376
Property Detail
W Baseline Rd
Riverside-San Bernardino-Ontario, CA
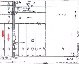
PM 19411 PTN PARCEL 1 LYING WITHIN TRA 6115
0240-261-73
SAN BERNARDINO
Warehouse
California
B and X Area of moderate flood hazard, usually the area between the limits of the 100-year and 500-year floods.
16.56 AC
2025
San Bernardino
2025
Inland Empire (California)
003700
NEARBY LISTINGS FOR SALE OR LEASE
DEMOGRAPHICS near W Baseline Rd
1 mile
3 mile
5 mile
2025 Total Population
12,437
165,153
381,805
2030 Population
12,546
166,913
386,689
Pop Growth 2025-2030
+ 0.88%
+ 1.07%
+ 1.28%
Average Age
37
35
35
2025 Total Households
2,990
43,245
98,103
HH Growth 2025-2030
+ 0.94%
+ 1.07%
+ 1.31%
Median Household Inc
$94,690
$89,899
$91,120
Avg Household Size
4.00
3.70
3.80
2025 Avg HH Vehicles
3.00
2.00
2.00
Median Home Value
$484,497
$534,599
$535,786
Median Year Built
1983
1981
1983
Nearby Places
Map Layers
Listings with unknown addresses are not visible on the map
- Restaurants
- Banks
- Shops
- Fitness
- Groceries
PUBLIC TRANSPORTATION
COMMUTER RAIL
Fontana (San Bernardino Line - Southern California Regional Rail Authority (Metrolink))
Drive
Walk
Distance
Fontana (San Bernardino Line - Southern California Regional Rail Authority (Metrolink))
6 min
3.6 mi
Rialto (San Bernardino Line - Southern California Regional Rail Authority (Metrolink))
Drive
Walk
Distance
Rialto (San Bernardino Line - Southern California Regional Rail Authority (Metrolink))
7 min
4.2 mi
AIRPORT
Ontario International
Drive
Walk
Distance
Ontario International
22 min
15.5 mi
Freight Ports
Port of Long Beach
Drive
Walk
Distance
Port of Long Beach
83 min
68.2 mi
Nearby Properties
Address
Land Use
TOTAL SIZE
Lot Size
Zoning
Address
Land Use
TOTAL SIZE
Lot Size
Zoning
3,462,463 SF
5 AC
Address
Land Use
TOTAL SIZE
Lot Size
Zoning
445,857 SF
35.95 AC
Address
Land Use
TOTAL SIZE
Lot Size
Zoning
1,194,649 SF
51.06 AC
Address
Land Use
TOTAL SIZE
Lot Size
Zoning
855,000 SF
56.93 AC
Address
Land Use
TOTAL SIZE
Lot Size
Zoning
411,330 SF
19.02 AC
Address
Land Use
TOTAL SIZE
Lot Size
Zoning
746,965 SF
37.16 AC
Address
Land Use
TOTAL SIZE
Lot Size
Zoning
741,542 SF
40.50 AC
Address
Land Use
TOTAL SIZE
Lot Size
Zoning
963,585 SF
43.61 AC
Address
Land Use
TOTAL SIZE
Lot Size
Zoning
0.50 AC
Address
Land Use
TOTAL SIZE
Lot Size
Zoning
702,668 SF
32.07 AC
Address
Land Use
TOTAL SIZE
Lot Size
Zoning
332,996 SF
15.55 AC
Address
Land Use
TOTAL SIZE
Lot Size
Zoning
1,075,725 SF
36.09 AC
Address
Land Use
TOTAL SIZE
Lot Size
Zoning
1,099,046 SF
48.86 AC
Address
Land Use
TOTAL SIZE
Lot Size
Zoning
927,670 SF
40.80 AC
Address
Land Use
TOTAL SIZE
Lot Size
Zoning
614,848 SF
42.71 AC
Address
Land Use
TOTAL SIZE
Lot Size
Zoning
595,637 SF
29.70 AC
Address
Land Use
TOTAL SIZE
Lot Size
Zoning
739,736 SF
46.82 AC
Address
Land Use
TOTAL SIZE
Lot Size
Zoning
39.91 AC
Address
Land Use
TOTAL SIZE
Lot Size
Zoning
758,940 SF
27.52 AC
Address
Land Use
TOTAL SIZE
Lot Size
Zoning
258,737 SF
13.50 AC
Address
Land Use
TOTAL SIZE
Lot Size
Zoning
597,749 SF
27.27 AC
Address
Land Use
TOTAL SIZE
Lot Size
Zoning
294,304 SF
13.58 AC
Address
Land Use
TOTAL SIZE
Lot Size
Zoning
676,296 SF
29.50 AC
Address
Land Use
TOTAL SIZE
Lot Size
Zoning
Address
Land Use
TOTAL SIZE
Lot Size
Zoning
881,820 SF
39.53 AC
Address
Land Use
TOTAL SIZE
Lot Size
Zoning
193,823 SF
9.39 AC
Address
Land Use
TOTAL SIZE
Lot Size
Zoning
258,768 SF
8.50 AC
Address
Land Use
TOTAL SIZE
Lot Size
Zoning
630,364 SF
31.22 AC
Address
Land Use
TOTAL SIZE
Lot Size
Zoning
426,302 SF
18.33 AC
Address
Land Use
TOTAL SIZE
Lot Size
Zoning
384,841 SF
16.93 AC








