Property Record
W E St, Ontario, CA 91762
Property Detail
W E St
Riverside-San Bernardino-Ontario, CA
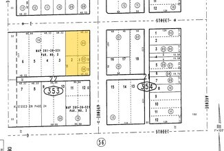
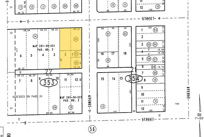
MAP OF THE TOWN OF ONTAR1O LOTS 1 AND 2 BLK 22 EX N 97 FT THEREOF AND EX S 50 FT SD LOT 1
1048-353-04
SAN BERNARDINO
Parkinglot
California
B and X Area of moderate flood hazard, usually the area between the limits of the 100-year and 500-year floods.
1,2
2025
0.21 AC
2025
Airport Area
001600
Inland Empire (California)
NEARBY LISTINGS FOR SALE OR LEASE
-
-
-
-
-
-
No Photo
-
-
-
-
-
-
-
-
-
View all Ontario listings for sale on LoopNet.com
DEMOGRAPHICS near W E St
1 mile
3 mile
5 mile
2025 Total Population
26,083
193,613
428,936
2030 Population
26,161
194,844
430,971
Pop Growth 2025-2030
+ 0.30%
+ 0.64%
+ 0.47%
Average Age
36
37
38
2025 Total Households
7,874
58,386
131,467
HH Growth 2025-2030
+ 0.42%
+ 0.72%
+ 0.51%
Median Household Inc
$72,428
$81,553
$92,072
Avg Household Size
3.20
3.20
3.10
2025 Avg HH Vehicles
2.00
2.00
2.00
Median Home Value
$592,204
$644,373
$688,278
Median Year Built
1955
1972
1976
Nearby Places
Map Layers
Listings with unknown addresses are not visible on the map
- Restaurants
- Banks
- Shops
- Fitness
- Groceries
PUBLIC TRANSPORTATION
COMMUTER RAIL
Ontario Amtrak (Sunset Limited - Amtrak, Texas Eagle - Amtrak)
Drive
Walk
Distance
Ontario Amtrak (Sunset Limited - Amtrak, Texas Eagle - Amtrak)
1 min
11 min
0.6 mi
Upland (San Bernardino Line - Southern California Regional Rail Authority (Metrolink))
Drive
Walk
Distance
Upland (San Bernardino Line - Southern California Regional Rail Authority (Metrolink))
4 min
2.2 mi
AIRPORT
Ontario International
Drive
Walk
Distance
Ontario International
7 min
3.6 mi
John Wayne/Orange County
Drive
Walk
Distance
John Wayne/Orange County
48 min
39.8 mi
Freight Ports
Port of Long Beach
Drive
Walk
Distance
Port of Long Beach
64 min
48.8 mi
Nearby Properties
Address
Land Use
TOTAL SIZE
Lot Size
Zoning
Address
Land Use
TOTAL SIZE
Lot Size
Zoning
376,610 SF
25.22 AC
Address
Land Use
TOTAL SIZE
Lot Size
Zoning
244,370 SF
59.72 AC
Address
Land Use
TOTAL SIZE
Lot Size
Zoning
539,128 SF
10.24 AC
Address
Land Use
TOTAL SIZE
Lot Size
Zoning
788,560 SF
36.86 AC
Address
Land Use
TOTAL SIZE
Lot Size
Zoning
1,052,840 SF
41.85 AC
Address
Land Use
TOTAL SIZE
Lot Size
Zoning
531,988 SF
9.83 AC
Address
Land Use
TOTAL SIZE
Lot Size
Zoning
167,512 SF
8.35 AC
Address
Land Use
TOTAL SIZE
Lot Size
Zoning
245,931 SF
10.84 AC
Address
Land Use
TOTAL SIZE
Lot Size
Zoning
123,833 SF
11.23 AC
Address
Land Use
TOTAL SIZE
Lot Size
Zoning
174,430 SF
7.47 AC
Address
Land Use
TOTAL SIZE
Lot Size
Zoning
573,220 SF
32.33 AC
Address
Land Use
TOTAL SIZE
Lot Size
Zoning
780,648 SF
13.59 AC
Address
Land Use
TOTAL SIZE
Lot Size
Zoning
199,158 SF
8.55 AC
Address
Land Use
TOTAL SIZE
Lot Size
Zoning
553,882 SF
24.59 AC
Address
Land Use
TOTAL SIZE
Lot Size
Zoning
116,804 SF
5.48 AC
Address
Land Use
TOTAL SIZE
Lot Size
Zoning
214,920 SF
9.33 AC
Address
Land Use
TOTAL SIZE
Lot Size
Zoning
120,602 SF
5.58 AC
Address
Land Use
TOTAL SIZE
Lot Size
Zoning
857,182 SF
35.66 AC
Address
Land Use
TOTAL SIZE
Lot Size
Zoning
125,663 SF
7.04 AC
Address
Land Use
TOTAL SIZE
Lot Size
Zoning
250,200 SF
15.06 AC
Address
Land Use
TOTAL SIZE
Lot Size
Zoning
83,562 SF
10.06 AC
Address
Land Use
TOTAL SIZE
Lot Size
Zoning
168,251 SF
7.01 AC
Address
Land Use
TOTAL SIZE
Lot Size
Zoning
249,672 SF
13.80 AC
Address
Land Use
TOTAL SIZE
Lot Size
Zoning
416,000 SF
20.01 AC
Address
Land Use
TOTAL SIZE
Lot Size
Zoning
106,072 SF
7.01 AC
Address
Land Use
TOTAL SIZE
Lot Size
Zoning
397,875 SF
14.13 AC
Address
Land Use
TOTAL SIZE
Lot Size
Zoning
175,000 SF
15.24 AC
Address
Land Use
TOTAL SIZE
Lot Size
Zoning
173,531 SF
2.52 AC
Address
Land Use
TOTAL SIZE
Lot Size
Zoning
6.90 AC
Address
Land Use
TOTAL SIZE
Lot Size
Zoning
100,815 SF
3.96 AC





