Property Record
W Highway 84, Maricopa, AZ 85139
Property Detail
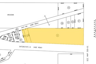
W Highway 84
500-02-002A
BEG @ NE COR OF SE, NW OF SEC 11-7S-2E TH E-993.57 TH S-772.03 TO NORTH R/W LINE OF I-8 TH N-88D W-196.92 TO BEG OF TANG CURVE, CO NCAVE SOUTH W/RAD OF 57,195 TH ALONG ARC OF CURVE TO LEFT 836.24 TH N-15D W-774.95 TH E-252.76 TO POB. 19.84 AC
Vacantlandnec
PINAL
CI1
Arizona
B and X Area of moderate flood hazard, usually the area between the limits of the 100-year and 500-year floods.
19.84 AC
2024
Pinal County
2025
Phoenix
000094
Phoenix-Mesa-Chandler, AZ
DEMOGRAPHICS near W Highway 84
1 mile
3 mile
5 mile
2025 Total Population
3
559
2,176
2030 Population
3
662
2,583
Pop Growth 2025-2030
0.00%
+ 18.43%
+ 18.70%
Average Age
0
43
43
2025 Total Households
1
202
789
HH Growth 2025-2030
0.00%
+ 18.32%
+ 18.63%
Median Household Inc
$0
$58,199
$58,299
Avg Household Size
.00
2.70
2.70
2025 Avg HH Vehicles
.00
2.00
2.00
Median Home Value
$0
$303,571
$303,125
Median Year Built
0
1997
1998
Nearby Places
Map Layers
Listings with unknown addresses are not visible on the map
- Restaurants
- Banks
- Shops
- Fitness
- Groceries
Nearby Properties
Address
Land Use
TOTAL SIZE
Lot Size
Zoning
Address
Land Use
TOTAL SIZE
Lot Size
Zoning
Address
Land Use
TOTAL SIZE
Lot Size
Zoning
3,043 SF
2.13 AC
GR
Address
Land Use
TOTAL SIZE
Lot Size
Zoning
54 SF
8.19 AC
MHP
Address
Land Use
TOTAL SIZE
Lot Size
Zoning
13.35 AC
SH
Address
Land Use
TOTAL SIZE
Lot Size
Zoning
120 AC
GR
Address
Land Use
TOTAL SIZE
Lot Size
Zoning
20.01 AC
SH
Address
Land Use
TOTAL SIZE
Lot Size
Zoning
20 AC
SH
Address
Land Use
TOTAL SIZE
Lot Size
Zoning
24.74 AC
Address
Land Use
TOTAL SIZE
Lot Size
Zoning
10.01 AC
SH
Address
Land Use
TOTAL SIZE
Lot Size
Zoning
10.01 AC
SH
Address
Land Use
TOTAL SIZE
Lot Size
Zoning
10.01 AC
SH
Address
Land Use
TOTAL SIZE
Lot Size
Zoning
10 AC
SH
Address
Land Use
TOTAL SIZE
Lot Size
Zoning
9.01 AC
SH
Address
Land Use
TOTAL SIZE
Lot Size
Zoning
35.56 AC
GR
Address
Land Use
TOTAL SIZE
Lot Size
Zoning
10 AC
SH
Address
Land Use
TOTAL SIZE
Lot Size
Zoning
10 AC
SH
Address
Land Use
TOTAL SIZE
Lot Size
Zoning
Address
Land Use
TOTAL SIZE
Lot Size
Zoning
9.40 AC
Address
Land Use
TOTAL SIZE
Lot Size
Zoning
30 AC
CI1
Address
Land Use
TOTAL SIZE
Lot Size
Zoning
Address
Land Use
TOTAL SIZE
Lot Size
Zoning
4.33 AC
SH
Address
Land Use
TOTAL SIZE
Lot Size
Zoning
4.33 AC
SH
Address
Land Use
TOTAL SIZE
Lot Size
Zoning
10 AC
SH
Address
Land Use
TOTAL SIZE
Lot Size
Zoning
8.15 AC
GR
Address
Land Use
TOTAL SIZE
Lot Size
Zoning
8.14 AC
GR
Address
Land Use
TOTAL SIZE
Lot Size
Zoning
7.90 AC
GR







