Property Record
Wendover Blvd, West Wendover, NV 89883
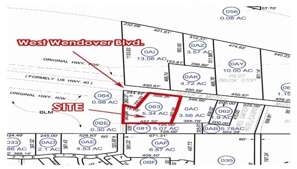
Property Detail
Wendover Blvd
010-740-063
PARCEL B1 FILE 240675 LOCATED IN OF THE MDB&M AMENDED BY BOUNDARY LINE ADJUSTMENT FILE 407634 AND 995/370, ADJUSTED ACREAGE IS NOW DOC 533318 RELEASED INTEREST IN AN EASEMENT TO OWNER WHICH ADDED 0.23A TO THE PARCEL WHICH HAD NOT BEEN ADDED IN ORIGIN
Commercialnec
ELKO
C-3
Nevada
AO River or stream flood hazard areas, and areas with a 1% or greater chance of shallow flooding each year. These areas have a 26% chance of flooding over the life of a 30-year mortgage.
4.16 AC
2024
Carson City/Nevada Area
2025
Other Market Areas
951500
Elko, NV
25,990 SF
NEARBY LISTINGS FOR SALE OR LEASE
-
-
View all West Wendover listings for sale on LoopNet.com
DEMOGRAPHICS near Wendover Blvd
1 mile
3 mile
5 mile
2025 Total Population
2,178
4,917
4,929
2030 Population
2,049
4,871
4,885
Pop Growth 2025-2030
(5.92%)
(0.94%)
(0.89%)
Average Age
34
35
35
2025 Total Households
774
1,747
1,752
HH Growth 2025-2030
(5.94%)
(0.34%)
(0.29%)
Median Household Inc
$48,478
$48,749
$48,730
Avg Household Size
2.80
2.70
2.70
2025 Avg HH Vehicles
2.00
2.00
2.00
Median Home Value
$215,534
$174,712
$175,287
Median Year Built
1987
1988
1988
Nearby Places
Map Layers
Listings with unknown addresses are not visible on the map
- Restaurants
- Banks
- Shops
- Fitness
- Groceries
Nearby Properties
Address
Land Use
TOTAL SIZE
Lot Size
Zoning
Address
Land Use
TOTAL SIZE
Lot Size
Zoning
540,291 SF
20.33 AC
C-3
Address
Land Use
TOTAL SIZE
Lot Size
Zoning
360,136 SF
10.10 AC
C-3
Address
Land Use
TOTAL SIZE
Lot Size
Zoning
264,536 SF
13.48 AC
C-3
Address
Land Use
TOTAL SIZE
Lot Size
Zoning
171,612 SF
6.94 AC
C-3
Address
Land Use
TOTAL SIZE
Lot Size
Zoning
51,544 SF
14.72 AC
C-3
Address
Land Use
TOTAL SIZE
Lot Size
Zoning
123,410 SF
4.02 AC
C-3
Address
Land Use
TOTAL SIZE
Lot Size
Zoning
130,519 SF
40 AC
P
Address
Land Use
TOTAL SIZE
Lot Size
Zoning
128,066 SF
11.26 AC
C-3
Address
Land Use
TOTAL SIZE
Lot Size
Zoning
42,661 SF
1.56 AC
Address
Land Use
TOTAL SIZE
Lot Size
Zoning
30,828 SF
2.27 AC
Address
Land Use
TOTAL SIZE
Lot Size
Zoning
43,568 SF
3.01 AC
Address
Land Use
TOTAL SIZE
Lot Size
Zoning
12,526 SF
0.57 AC
Address
Land Use
TOTAL SIZE
Lot Size
Zoning
11,662 SF
2.67 AC
Address
Land Use
TOTAL SIZE
Lot Size
Zoning
66,217 SF
0.41 AC
C-3
Address
Land Use
TOTAL SIZE
Lot Size
Zoning
5,323 SF
1.03 AC
Address
Land Use
TOTAL SIZE
Lot Size
Zoning
13,560 SF
10 AC
C-3
Address
Land Use
TOTAL SIZE
Lot Size
Zoning
10,984 SF
8.99 AC
C-3
Address
Land Use
TOTAL SIZE
Lot Size
Zoning
35.95 AC
C-3
Address
Land Use
TOTAL SIZE
Lot Size
Zoning
7,270 SF
1.37 AC
Address
Land Use
TOTAL SIZE
Lot Size
Zoning
6,389 SF
5.10 AC
C-3
Address
Land Use
TOTAL SIZE
Lot Size
Zoning
12,312 SF
1.02 AC
Address
Land Use
TOTAL SIZE
Lot Size
Zoning
12,965 SF
3 AC
M
Address
Land Use
TOTAL SIZE
Lot Size
Zoning
4,255 SF
2.58 AC
Address
Land Use
TOTAL SIZE
Lot Size
Zoning
18,896 SF
1.81 AC
C-2
Address
Land Use
TOTAL SIZE
Lot Size
Zoning
9,480 SF
9,458.71 AC
Address
Land Use
TOTAL SIZE
Lot Size
Zoning
39,300 SF
3.18 AC
C-3
Address
Land Use
TOTAL SIZE
Lot Size
Zoning
13,066 SF
49.24 AC
M
Address
Land Use
TOTAL SIZE
Lot Size
Zoning
5,700 SF
182.29 AC
P
Address
Land Use
TOTAL SIZE
Lot Size
Zoning
1,440 SF
14.53 AC
C-3







