Property Record
Yermo Rd, Yermo, CA 92398
Property Detail
Yermo Rd
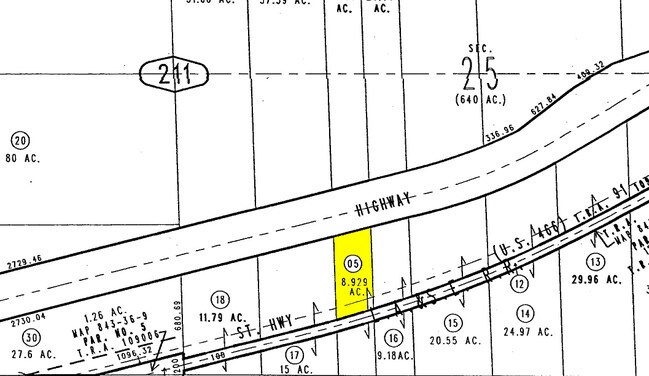
0538-211-05
W 1/2 W 1/2 E 1/2 W 1/2 SEC 25 TP 10N R 2E EX RR R/W EX STATE HGWY 8.929 AC M/L
Vacantlandnec
SAN BERNARDINO
RL
California
D Areas with possible but undetermined flood hazards.
8.93 AC
2025
Mojave River Valley
2025
Inland Empire (California)
011602
Riverside-San Bernardino-Ontario, CA
NEARBY LISTINGS FOR SALE OR LEASE
-
-
View all Yermo listings for sale on LoopNet.com
DEMOGRAPHICS near Yermo Rd
1 mile
3 mile
5 mile
2025 Total Population
66
369
1,104
2030 Population
68
380
1,144
Pop Growth 2025-2030
+ 3.03%
+ 2.98%
+ 3.62%
Average Age
45
44
45
2025 Total Households
27
147
436
HH Growth 2025-2030
0.00%
+ 3.40%
+ 3.90%
Median Household Inc
$63,750
$63,110
$64,132
Avg Household Size
2.50
2.50
2.40
2025 Avg HH Vehicles
2.00
2.00
2.00
Median Home Value
$150,000
$150,000
$173,076
Median Year Built
1980
1979
1980
Nearby Places
Map Layers
Listings with unknown addresses are not visible on the map
- Restaurants
- Banks
- Shops
- Fitness
- Groceries
Nearby Properties
Address
Land Use
TOTAL SIZE
Lot Size
Zoning
Address
Land Use
TOTAL SIZE
Lot Size
Zoning
251.25 AC
RL
Address
Land Use
TOTAL SIZE
Lot Size
Zoning
74.80 AC
RC
Address
Land Use
TOTAL SIZE
Lot Size
Zoning
1,620 SF
3.30 AC
CR
Address
Land Use
TOTAL SIZE
Lot Size
Zoning
33.14 AC
CR
Address
Land Use
TOTAL SIZE
Lot Size
Zoning
3,565 SF
1.09 AC
CR
Address
Land Use
TOTAL SIZE
Lot Size
Zoning
Address
Land Use
TOTAL SIZE
Lot Size
Zoning
32.34 AC
RL
Address
Land Use
TOTAL SIZE
Lot Size
Zoning
1,535 SF
0.47 AC
CR
Address
Land Use
TOTAL SIZE
Lot Size
Zoning
2,816 SF
1.55 AC
C1
Address
Land Use
TOTAL SIZE
Lot Size
Zoning
20 AC
RL
Address
Land Use
TOTAL SIZE
Lot Size
Zoning
637.09 AC
RL
Address
Land Use
TOTAL SIZE
Lot Size
Zoning
40 AC
RL
Address
Land Use
TOTAL SIZE
Lot Size
Zoning
61.06 AC
RL
Address
Land Use
TOTAL SIZE
Lot Size
Zoning
9.40 AC
RL
Address
Land Use
TOTAL SIZE
Lot Size
Zoning
1.33 AC
CR
Address
Land Use
TOTAL SIZE
Lot Size
Zoning
80 AC
AG
Address
Land Use
TOTAL SIZE
Lot Size
Zoning
21.56 AC
RL
Address
Land Use
TOTAL SIZE
Lot Size
Zoning
71.55 AC
RL
Address
Land Use
TOTAL SIZE
Lot Size
Zoning
20.17 AC
AG
Address
Land Use
TOTAL SIZE
Lot Size
Zoning
15.97 AC
RC
Address
Land Use
TOTAL SIZE
Lot Size
Zoning
47.11 AC
RL40
Address
Land Use
TOTAL SIZE
Lot Size
Zoning
2.18 AC
RL
Address
Land Use
TOTAL SIZE
Lot Size
Zoning
69.21 AC
RC
Address
Land Use
TOTAL SIZE
Lot Size
Zoning
40 AC
RL
Address
Land Use
TOTAL SIZE
Lot Size
Zoning
12 AC
RL







