Log In/Sign Up
Your email has been sent.
Executive Summary
• Owner/user opportunity with income
• ± 2,455 square foot commercial building. Owner can occupy 1,240 SF or 51% of the building at the close of escrow.
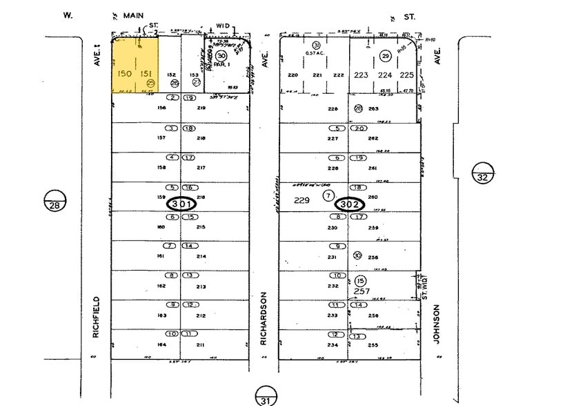
• APN: 487-301-25-00
• C-G (General Commercial) Zone. The C-G zone is intended to provide a full range of general commercial uses ranging from offices to retail to automotive services to tourist facilities. A general commercial area may be developed as a shopping center or as an individual lot and building or as a “strip commercial” development. The C-G zone is consistent with the “general retail commercial” designation and may be found consistent with the “neighborhood retail commercial” designation of the general plan.
• Lot Size: 0.27 acres
• New roof installed Spring 2025
• Fenced yard area, covered storage and completely fenced parking lot
• Excellent proximity to Interstate 8 and trolley & bus stops
• ± 2,455 square foot commercial building. Owner can occupy 1,240 SF or 51% of the building at the close of escrow.
• APN: 487-301-25-00
• C-G (General Commercial) Zone. The C-G zone is intended to provide a full range of general commercial uses ranging from offices to retail to automotive services to tourist facilities. A general commercial area may be developed as a shopping center or as an individual lot and building or as a “strip commercial” development. The C-G zone is consistent with the “general retail commercial” designation and may be found consistent with the “neighborhood retail commercial” designation of the general plan.
• Lot Size: 0.27 acres
• New roof installed Spring 2025
• Fenced yard area, covered storage and completely fenced parking lot
• Excellent proximity to Interstate 8 and trolley & bus stops
Taxes & Operating Expenses (Actual - 2025) Click Here to Access |
Annual | Annual Per SF |
|---|---|---|
| Taxes |
-
|
-
|
| Operating Expenses |
-
|
-
|
| Total Expenses |
$99,999
|
$9.99
|
Taxes & Operating Expenses (Actual - 2025) Click Here to Access
| Taxes | |
|---|---|
| Annual | - |
| Annual Per SF | - |
| Operating Expenses | |
|---|---|
| Annual | - |
| Annual Per SF | - |
| Total Expenses | |
|---|---|
| Annual | $99,999 |
| Annual Per SF | $9.99 |
Property Facts
Sale Type
Owner User
Property Type
Office
Building Size
2,455 SF
Building Class
C
Year Built
1979
Tenancy
Multiple
Building Height
1 Story
Typical Floor Size
2,455 SF
Building FAR
0.21
Lot Size
0.27 AC
Zoning
CM GN9, El Cajon - Flexible zoning allowing office, industrial and light manufacturing uses.
Parking
9 Spaces (3.73 Spaces per 1,000 SF Leased)
Amenities
- Fenced Lot
- Kitchen
- Storage Space
- Central Heating
- Reception
- Air Conditioning
1 1
Moderately walkable
60/100
Exceptionally drivable
100/100
Good public transit
60/100
Somewhat bikeable
30/100
Property Taxes
| Parcel Number | 487-301-25 | Improvements Assessment | $477,543 |
| Land Assessment | $790,599 | Total Assessment | $1,268,142 |
Property Taxes
Parcel Number
487-301-25
Land Assessment
$790,599
Improvements Assessment
$477,543
Total Assessment
$1,268,142
1 of 11
Videos
Matterport 3D Exterior
Matterport 3D Tour
Photos
Street View
Street
Map
1 of 1
Presented by
101 Richfield Ave
Already a member? Log In
Hmm, there seems to have been an error sending your message. Please try again.
Thanks! Your message was sent.



