Log In/Sign Up
Your email has been sent.
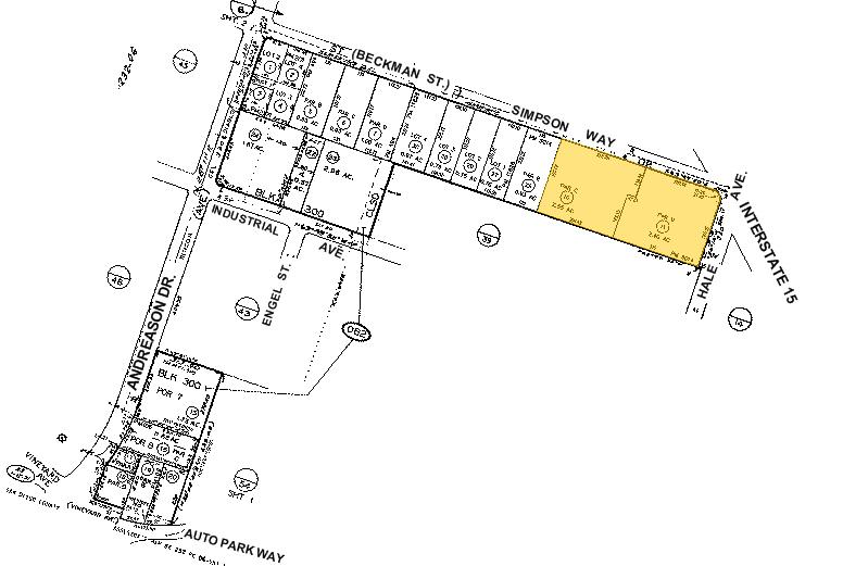
1265-1289 Simpson Way
Escondido, CA 92029
Bldg B · Industrial Property for Lease
·
3,017 SF


FEATURES
Clear Height
20’
Drive In Bays
10
Standard Parking Spaces
24
SHOWROOM FACILITY FACTS
Building Size
29,726 SF
Lot Size
2.55 AC
Year Built/Renovated
1975/1980
Construction
Reinforced Concrete
Power Supply
Amps: 200-5,000 Volts: 110-208 Phase: 3
Zoning
M-2 - General Industrial
1 of 7
VIDEOS
MATTERPORT 3D EXTERIOR
MATTERPORT 3D TOUR
PHOTOS
STREET VIEW
STREET
MAP
