Log In/Sign Up
Your email has been sent.
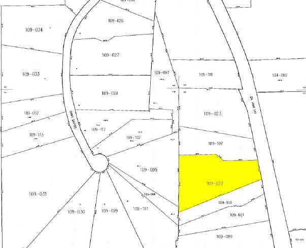
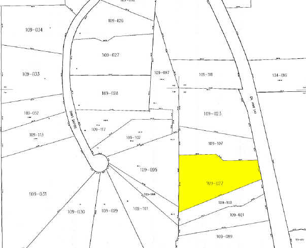
1300 Peachtree Pky
Cumming, GA 30041
Medical Office Site or Senior Living Site · Land For Sale
·
7.53 AC

INVESTMENT HIGHLIGHTS
- 1.6 miles south of the Collection
- Half a mile north of Sharon Greens Kroger.
EXECUTIVE SUMMARY
340 ft frontage at the median break .Sanitary Sewer on site. Zoned CBD.
PROPERTY FACTS
| Sale Type | Investment | Property Subtype | Commercial |
| No. Lots | 1 | Proposed Use | |
| Property Type | Land | Total Lot Size | 7.53 AC |
| Zoning | CBD - Commercial Business District | ||
| Sale Type | Investment |
| No. Lots | 1 |
| Property Type | Land |
| Property Subtype | Commercial |
| Proposed Use | |
| Total Lot Size | 7.53 AC |
| Zoning | CBD - Commercial Business District |
1 LOT AVAILABLE
Lot
| Price | $3,750,000 | Lot Size | 7.53 AC |
| Price Per AC | $498,007.97 |
| Price | $3,750,000 |
| Price Per AC | $498,007.97 |
| Lot Size | 7.53 AC |
340 ft frontage at the median break .Sanitary Sewer on site. Zoned CBD.
AMENITIES
- Utilities
- Infrastructure
1 of 2
VIDEOS
MATTERPORT 3D EXTERIOR
MATTERPORT 3D TOUR
PHOTOS
STREET VIEW
STREET
MAP
