Log In/Sign Up
Enter your email to login or create a free account
This feature is unavailable at the moment.
We apologize, but the feature you are trying to access is currently unavailable. We are aware of this issue and our team is working hard to resolve the matter.
Please check back in a few minutes. We apologize for the inconvenience.
- LoopNet Team
This Property is no longer advertised on LoopNet.com.
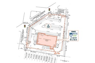
1334 Windrim Ave
Philadelphia, PA 19141
Former Rite Aid · Property For Lease
Commercial Real Estate Properties
Pennsylvania
Philadelphia
1334 Windrim Ave, Philadelphia, PA 19141

Highlights
- Freestanding building or redevelopment opportunity
Property Facts
| Property Type | Retail | Year Built | 1999 |
| Property Subtype | Drug Store | Parking Ratio | 4.4/1,000 SF |
| Gross Leasable Area | 12,100 SF |
| Property Type | Retail |
| Property Subtype | Drug Store |
| Gross Leasable Area | 12,100 SF |
| Year Built | 1999 |
| Parking Ratio | 4.4/1,000 SF |
About the Property
±11,361 SF on ±1.86 AC for sale or lease
- Bus Line
- Corner Lot
- Metro/Subway
- Pylon Sign
- Signage
- Signalized Intersection
- Drive Thru
Attachments
| Phila_ PA - 1334 Windrim Ave (4) |
Links
Listing ID: 37339403
Date on Market: 8/19/2025
Last Updated:
Address: 1334 Windrim Ave, Philadelphia, PA 19141
The Logan-Ogontz-Fern Rock Retail Property at 1334 Windrim Ave, Philadelphia, PA 19141 is no longer being advertised on LoopNet.com. Contact the broker for information on availability.
RETAIL PROPERTIES IN NEARBY NEIGHBORHOODS
- Center City Commercial Real Estate Properties
- North Philadelphia Commercial Real Estate Properties
- Northeast Philadelphia Commercial Real Estate Properties
- South Philadelphia/Navy Yard Commercial Real Estate Properties
- Northwest Philadelphia/Manayunk Commercial Real Estate Properties
- University City Commercial Real Estate Properties
- West Philadelphia Commercial Real Estate Properties
- Southwest Philadelphia Commercial Real Estate Properties
- Conshohocken/Plymouth Meeting Commercial Real Estate Properties
- Center City West Commercial Real Estate Properties
- Camden/Pennsauken Commercial Real Estate Properties
- Wyncote-Jenkintown Commercial Real Estate Properties
- Port Richmond Commercial Real Estate Properties
- North Philadelphia East Commercial Real Estate Properties
- Northern Liberties Commercial Real Estate Properties
NEARBY LISTINGS
- 401 N Broad St, Philadelphia PA
- 401 N Broad St, Philadelphia PA
- 5000 Richmond St, Philadelphia PA
- 956 E Erie Ave, Philadelphia PA
- 3610 I St, Philadelphia PA
- 2450 W Hunting Park Ave, Philadelphia PA
- 3300 Henry Ave, Philadelphia PA
- 300 E Godfrey Ave, Philadelphia PA
- 3525 I St, Philadelphia PA
- 3401 N I St, Philadelphia PA
- 3775 Kensington Ave, Philadelphia PA
- 2016 Master St, Philadelphia PA
- 2901-2927 N 20th St, Philadelphia PA
- 1335 W Tabor Rd, Philadelphia PA
- 25 Bala Ave, Bala Cynwyd PA
1 of 1
Videos
Matterport 3D Exterior
Matterport 3D Tour
Photos
Street View
Street
Map

Link copied
Your LoopNet account has been created!
Thank you for your feedback.
Please Share Your Feedback
We welcome any feedback on how we can improve LoopNet to better serve your needs.X
{{ getErrorText(feedbackForm.starRating, "rating") }}
255 character limit ({{ remainingChars() }} charactercharacters remainingover)
{{ getErrorText(feedbackForm.msg, "rating") }}
{{ getErrorText(feedbackForm.fname, "first name") }}
{{ getErrorText(feedbackForm.lname, "last name") }}
{{ getErrorText(feedbackForm.phone, "phone number") }}
{{ getErrorText(feedbackForm.phonex, "phone extension") }}
{{ getErrorText(feedbackForm.email, "email address") }}
You can provide feedback any time using the Help button at the top of the page.