Your email has been sent.
RETAIL SPACE-Under Construction Building 190 W Street Rd 2,860 SF of Retail Space Available in Feasterville, PA 19053



Highlights
- Freestanding retail in high-traffic corridor
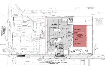
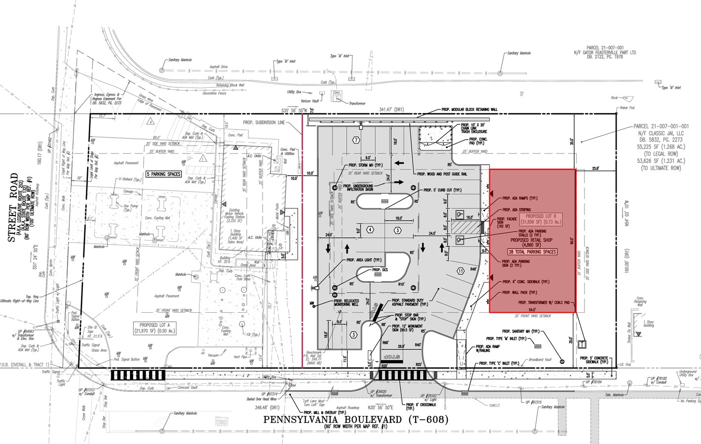
- Prominent signage and 28 parking spaces
- Adjacent to Giant and National Co-tenants
- Quick access to I-276 and U.S. Route 1
Space Availability (1)
Display Rental Rate as
- Space
- Size
- Term
- Rental Rate
- Rent Type
| Space | Size | Term | Rental Rate | Rent Type | ||
| 1st Floor | 2,860 SF | Negotiable | Upon Request Upon Request Upon Request Upon Request | TBD |
1st Floor
End-Cap space
- END CAP
Rent Types
The rent amount and type that the tenant (lessee) will be responsible to pay to the landlord (lessor) throughout the lease term is negotiated prior to both parties signing a lease agreement. The rent type will vary depending upon the services provided. For example, triple net rents are typically lower than full service rents due to additional expenses the tenant is required to pay in addition to the base rent. Contact the listing broker for a full understanding of any associated costs or additional expenses for each rent type.
1. Full Service: A rental rate that includes normal building standard services as provided by the landlord within a base year rental.
2. Double Net (NN): Tenant pays for only two of the building expenses; the landlord and tenant determine the specific expenses prior to signing the lease agreement.
3. Triple Net (NNN): A lease in which the tenant is responsible for all expenses associated with their proportional share of occupancy of the building.
4. Modified Gross: Modified Gross is a general type of lease rate where typically the tenant will be responsible for their proportional share of one or more of the expenses. The landlord will pay the remaining expenses. See the below list of common Modified Gross rental rate structures: 4. Plus All Utilities: A type of Modified Gross Lease where the tenant is responsible for their proportional share of utilities in addition to the rent. 4. Plus Cleaning: A type of Modified Gross Lease where the tenant is responsible for their proportional share of cleaning in addition to the rent. 4. Plus Electric: A type of Modified Gross Lease where the tenant is responsible for their proportional share of the electrical cost in addition to the rent. 4. Plus Electric & Cleaning: A type of Modified Gross Lease where the tenant is responsible for their proportional share of the electrical and cleaning cost in addition to the rent. 4. Plus Utilities and Char: A type of Modified Gross Lease where the tenant is responsible for their proportional share of the utilities and cleaning cost in addition to the rent. 4. Industrial Gross: A type of Modified Gross lease where the tenant pays one or more of the expenses in addition to the rent. The landlord and tenant determine these prior to signing the lease agreement.
5. Tenant Electric: The landlord pays for all services and the tenant is responsible for their usage of lights and electrical outlets in the space they occupy.
6. Negotiable or Upon Request: Used when the leasing contact does not provide the rent or service type.
7. TBD: To be determined; used for buildings for which no rent or service type is known, commonly utilized when the buildings are not yet built.
Site Plan
Property Facts
| Total Space Available | 2,860 SF | Year Built | 2026 |
| Property Type | Retail | Parking Ratio | 5.76/1,000 SF |
| Property Subtype | Freestanding | Construction Status | Under Construction |
| Gross Leasable Area | 4,860 SF |
| Total Space Available | 2,860 SF |
| Property Type | Retail |
| Property Subtype | Freestanding |
| Gross Leasable Area | 4,860 SF |
| Year Built | 2026 |
| Parking Ratio | 5.76/1,000 SF |
| Construction Status | Under Construction |
About the Property
Positioned in the heart of Bucks County’s thriving retail corridor, 190 W. Street Road offers a rare opportunity to lease newly constructed, freestanding retail space in Feasterville-Trevose. This high-visibility site benefits from a traffic count of 28,000 AADT and sits adjacent to a Giant-anchored shopping center featuring national brands such as Starbucks, Michaels, Mattress Firm, Jersey Mike’s, and Smoothie King. The property’s strategic location northeast of Philadelphia ensures strong regional connectivity, with quick access to I-276 (PA Turnpike) and U.S. Route 1 within a 10-minute drive. The building is designed for flexibility, space avialable 2,860± SF, ideal for retail, medical, or service-oriented tenants. With 28 dedicated parking spaces and prominent signage opportunities, the site is optimized for customer convenience and brand visibility. The surrounding area boasts a dense population of over 155,000 within a 5-mile radius, with average household incomes exceeding $127,000 and home values averaging nearly $500,000—making this an exceptional location for businesses targeting affluent suburban consumers. The property is also adjacent to St. Mary’s Health, enhancing its appeal for healthcare-related uses. Zoned C2 Heavy Commercial, the site supports a wide range of retail and service uses. This is a prime opportunity to establish a presence in one of Bucks County’s most active commercial corridors.
Nearby Major Retailers
Presented by
RETAIL SPACE-Under Construction Building | 190 W Street Rd
Hmm, there seems to have been an error sending your message. Please try again.
Thanks! Your message was sent.

