Your email has been sent.
Park Highlights
- 2284 Unit B = Est. 2,500 SF Office + 5,000 SF Warehouse = 7,500 SF Total. 2 Deep Well Docks. Paved/Fenced Yard
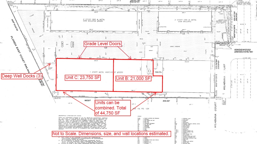
- 2280 Unit C = Est. 2,000 SF Office + 21,750 SF Warehouse = 23,750 SF Total.
- 100% Fire Sprinklered / Heavy Industrial Zoning
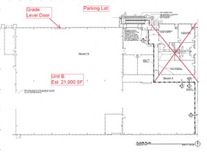
- 2280 Unit B = Est. 21,000 SF Warehouse.
- 2280 Units B & C can be Combined for a Total of 44,750 SF
- Est. $2.18 PSF OPEX
Park Facts
Features and Amenities
- 24 Hour Access
- Skylights
- Storage Space
All Available Spaces(3)
Display Rental Rate as
- Space
- Size
- Term
- Rental Rate
- Space Use
- Build-Out
- Available
• 2280 Unit B is est. 21,000 SF Warehouse. • 100% Wet Fire Sprinklered. • Concrete Flooring Throughout. • Ceiling Height Ranges 23' - 27' +/- (Measured Floor to Steel Beam). • One Grade Level Door. • City of Palm Bay Water/Sewer, 3-Phase FPL Electric, Natural Gas. • Est. $2.18 PSF OPEX. • 2280 Unit B (21,000 SF) can be Combined with 2280 Unit C (23,750 SF). Total of 44,750 SF vacant.
- Lease rate does not include utilities, property expenses or building services
- Can be combined with additional space(s) for up to 44,750 SF of adjacent space
- Ceiling Height Ranges 23' - 27' +/-
- Est. 2.18 PSF OPEX
- 1 Drive Bay
- 100% Wet Fire Sprinklered
- One Grade Level Door
• 2280 Unit C is est. 23,750 SF. • 100% Wet Fire Sprinklered. • Ceiling Height Ranges 23' - 27' +/- (Measured Floor to Steel Beam). • Concrete Flooring Throughout. • One 18' x 18' +/- Grade Level Door. • 3 Deep Well Docks. • Est. $2.18 PSF OPEX. • 2280 Unit C (23,750 SF) can be Combined with 2280 Unit B (21,000 SF). Total of 44,750 SF Vacant.
- Lease rate does not include utilities, property expenses or building services
- 1 Drive Bay
- Can be combined with additional space(s) for up to 44,750 SF of adjacent space
- Ceiling Height Ranges 23' - 27' +/-
- 3 Deep Well Docks
- Includes 2,000 SF of dedicated office space
- Space is in Excellent Condition
- 3 Loading Docks
- One 18' x 18' +/- Grade Level Door
- Est. $2.18 PSF OPEX
| Space | Size | Term | Rental Rate | Space Use | Build-Out | Available |
| 1st Floor - B | 21,000 SF | Negotiable | $9.95 /SF/YR $0.83 /SF/MO $208,950 /YR $17,413 /MO | Industrial | Full Build-Out | Now |
| 1st Floor - C | 23,750 SF | Negotiable | $9.95 /SF/YR $0.83 /SF/MO $236,313 /YR $19,693 /MO | Industrial | Full Build-Out | Now |
2280 Wilhelmina Ct NE - 1st Floor - B
2280 Wilhelmina Ct NE - 1st Floor - C
- Space
- Size
- Term
- Rental Rate
- Space Use
- Build-Out
- Available
• Est. 2,500 SF Office + 5,000 SF Warehouse • Bonus Upstairs Mezzanine est. 2,500 SF. Max Load 125 PSF • Warehouse Concrete Flooring and est. 17’ 6” – 20’ Clear Height Throughout • One 16’ Wide x 10’ Tall +/- Door + Two 10’ x 10’ Grade Level Doors • Two Deep Well Docks. Paved/Fenced Yard Adjacent to Building • City Water/Sewer, 3-Phase 480v 400amp FPL Electric. 100% Wet Fire Sprinklered • Est. $2.18 PSF OPEX
- Lease rate does not include utilities, property expenses or building services
- 2 Drive Ins
- Yard
- Clear Height Ranges 17' 6" - 20' +/-
- Est. $2.18 PSF OPEX
- Includes 2,500 SF of dedicated office space
- Space is in Excellent Condition
- Est. 2,500 SF Office + 5,000 SF Warehouse
- Two Deep Well Docks. Paved/Fenced Yard
| Space | Size | Term | Rental Rate | Space Use | Build-Out | Available |
| 1st Floor - B | 7,500 SF | Negotiable | $11.50 /SF/YR $0.96 /SF/MO $86,250 /YR $7,188 /MO | Industrial | Full Build-Out | Now |
2284 Wilhelmina Ct NE - 1st Floor - B
2280 Wilhelmina Ct NE - 1st Floor - B
| Size | 21,000 SF |
| Term | Negotiable |
| Rental Rate | $9.95 /SF/YR |
| Space Use | Industrial |
| Build-Out | Full Build-Out |
| Available | Now |
• 2280 Unit B is est. 21,000 SF Warehouse. • 100% Wet Fire Sprinklered. • Concrete Flooring Throughout. • Ceiling Height Ranges 23' - 27' +/- (Measured Floor to Steel Beam). • One Grade Level Door. • City of Palm Bay Water/Sewer, 3-Phase FPL Electric, Natural Gas. • Est. $2.18 PSF OPEX. • 2280 Unit B (21,000 SF) can be Combined with 2280 Unit C (23,750 SF). Total of 44,750 SF vacant.
- Lease rate does not include utilities, property expenses or building services
- 1 Drive Bay
- Can be combined with additional space(s) for up to 44,750 SF of adjacent space
- 100% Wet Fire Sprinklered
- Ceiling Height Ranges 23' - 27' +/-
- One Grade Level Door
- Est. 2.18 PSF OPEX
2280 Wilhelmina Ct NE - 1st Floor - C
| Size | 23,750 SF |
| Term | Negotiable |
| Rental Rate | $9.95 /SF/YR |
| Space Use | Industrial |
| Build-Out | Full Build-Out |
| Available | Now |
• 2280 Unit C is est. 23,750 SF. • 100% Wet Fire Sprinklered. • Ceiling Height Ranges 23' - 27' +/- (Measured Floor to Steel Beam). • Concrete Flooring Throughout. • One 18' x 18' +/- Grade Level Door. • 3 Deep Well Docks. • Est. $2.18 PSF OPEX. • 2280 Unit C (23,750 SF) can be Combined with 2280 Unit B (21,000 SF). Total of 44,750 SF Vacant.
- Lease rate does not include utilities, property expenses or building services
- Includes 2,000 SF of dedicated office space
- 1 Drive Bay
- Space is in Excellent Condition
- Can be combined with additional space(s) for up to 44,750 SF of adjacent space
- 3 Loading Docks
- Ceiling Height Ranges 23' - 27' +/-
- One 18' x 18' +/- Grade Level Door
- 3 Deep Well Docks
- Est. $2.18 PSF OPEX
2284 Wilhelmina Ct NE - 1st Floor - B
| Size | 7,500 SF |
| Term | Negotiable |
| Rental Rate | $11.50 /SF/YR |
| Space Use | Industrial |
| Build-Out | Full Build-Out |
| Available | Now |
• Est. 2,500 SF Office + 5,000 SF Warehouse • Bonus Upstairs Mezzanine est. 2,500 SF. Max Load 125 PSF • Warehouse Concrete Flooring and est. 17’ 6” – 20’ Clear Height Throughout • One 16’ Wide x 10’ Tall +/- Door + Two 10’ x 10’ Grade Level Doors • Two Deep Well Docks. Paved/Fenced Yard Adjacent to Building • City Water/Sewer, 3-Phase 480v 400amp FPL Electric. 100% Wet Fire Sprinklered • Est. $2.18 PSF OPEX
- Lease rate does not include utilities, property expenses or building services
- Includes 2,500 SF of dedicated office space
- 2 Drive Ins
- Space is in Excellent Condition
- Yard
- Est. 2,500 SF Office + 5,000 SF Warehouse
- Clear Height Ranges 17' 6" - 20' +/-
- Two Deep Well Docks. Paved/Fenced Yard
- Est. $2.18 PSF OPEX
Select Tenants at This Property
- Floor
- Tenant Name
- Industry
- 1st
- Consolidated Electrical Distributors
- Wholesaler
Park Overview
Strategically positioned just off of US1 approximately halfway between Palm Bay Road and US 192. Nearby employers include Raytheon, L3Harris, Leonardo DRS and Northrop Grumman to name a few. The Melbourne International Airport is approximately 5-miles away. Both Palm Bay Road and US 192 are direct connectors to Interstate 95. Make this the future home for your business today!
Presented by
Palm Bay One Warehouses | Palm Bay, FL 32905
Hmm, there seems to have been an error sending your message. Please try again.
Thanks! Your message was sent.











