Your email has been sent.
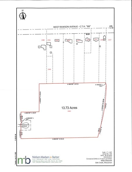
2450 W Minnesota Ave
Oak Creek, WI 53154
Land For Sale
·
13.39 AC


Executive Summary
Minutes from I-94 for quick access to Milwaukee, Madison & Chicago.
Land abuts Falk Park
Property Facts
1 Lot Available
Lot
| Price | $595,000 | Lot Size | 13.39 AC |
| Price Per AC | $44,436.15 |
| Price | $595,000 |
| Price Per AC | $44,436.15 |
| Lot Size | 13.39 AC |
2 land parcel sites (2450 W Minnesota Ave & 2343 R W Rawson Ave) included in City of Oak Creek Master Plan for multi-family and commercial zoning developments. Rs-2 & Rs-3-Single-Family Residential, FW-Floodway, P1-Park District
Description
Discover the vibrant community surrounding the property at W Rawson & Minnesota Ave in Oak Creek, WI. This thriving area offers easy access to a range of amenities, including nearby parks, shopping centers, and dining options. The location is just a short drive from the upscale Drexel Town Square, featuring a variety of retail outlets and restaurants, making it an appealing destination for employees and clients. The area also benefits from its proximity to the picturesque Grant Park, providing outdoor recreational opportunities. With its strategic location and surrounding attractions, this property presents an enticing investment opportunity for land or office development in the heart of Oak Creek. Prime development and visibility along W. Rawson Ave. Easy access to I94. Close proximity to Northwestern Mutual Headquarters, future GMC Dealership, Ikea & other national brands.
Property Taxes
| Parcel Number | 762-9999-003 | Improvements Assessment | $0 |
| Land Assessment | $193,100 | Total Assessment | $193,100 |
