Your email has been sent.
2655 Lane Ross Blvd - Outparcels - Choctaw Marketplace 2.01 - 2.97 Acre Commercial Land Lots Offered at $600,000 - $800,000 Per Lot in Choctaw, OK 73020


Investment Highlights
- Construction of Lane Ross Blvd
- Utilities are available at the property line
- Parcels are graded
- Stormwater conveyance installed
Executive Summary
As one of the oldest chartered towns in Oklahoma, Choctaw blends small-town charm with the strategic benefits of proximity to a major market. With a surge in population growth, infrastructure investment, and retail momentum, this property is ideally positioned for:
? Medical Offices or Clinics ? Hospitality / Hotel Development
? Self-Storage Facilities ? Senior Garden Homes or Assisted Living
Choctaw continues to attract both families and developers thanks to its business-friendly climate, access to I-40, and expanding residential base. This is the kind of location where your project won’t just succeed — it will thrive.
Property Facts
| Price | $600,000 - $1,400,000 | Property Subtype | Commercial |
| Sale Type | Investment | Proposed Use | |
| No. Lots | 2 | Total Lot Size | 4.98 AC |
| Property Type | Land | ||
| Zoning | Commercial - Commercial | ||
| Price | $600,000 - $1,400,000 |
| Sale Type | Investment |
| No. Lots | 2 |
| Property Type | Land |
| Property Subtype | Commercial |
| Proposed Use | |
| Total Lot Size | 4.98 AC |
| Zoning | Commercial - Commercial |
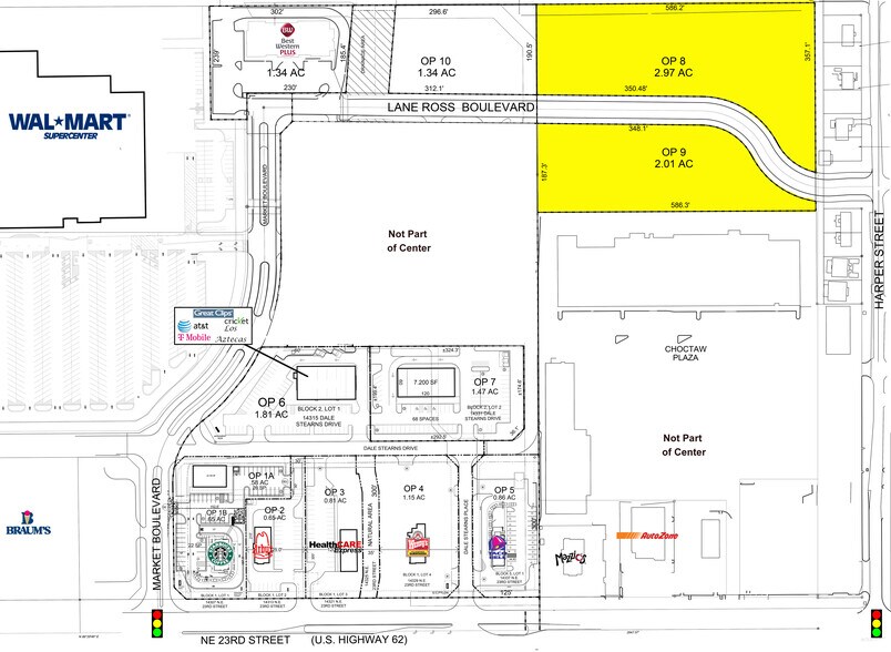
2 Lots Available
Lot 8
| Price | $800,000 | Lot Size | 2.97 AC |
| Price Per AC | $269,360.27 |
| Price | $800,000 |
| Price Per AC | $269,360.27 |
| Lot Size | 2.97 AC |
Lot 8 - 2.97 acres Construction of Lane Ross Blvd Parcel is graded Utilities are available at the property line Stormwater conveyance installed
Lot 9
| Price | $600,000 | Lot Size | 2.01 AC |
| Price Per AC | $298,507.46 |
| Price | $600,000 |
| Price Per AC | $298,507.46 |
| Lot Size | 2.01 AC |
Lot 9 - 2.01 acres Construction of Lane Ross Blvd Parcel is graded Utilities are available at the property line Stormwater conveyance installed
Description
Located at the intersection of NE 23rd Street and Market Boulevard, this prime site in Choctaw, Oklahoma, presents an outstanding opportunity for medical and hotel development in a high-growth market. Just 14 miles from downtown Oklahoma City and 8 miles from Tinker Air Force Base, the area attracts professionals, commuters, and visitors in need of quality healthcare services and accommodations. With an impressive average household income of $107,587 within a 3-mile radius, Choctaw offers a strong consumer base with demand for premium amenities. Additionally, Walmart, the area’s primary retail anchor, brings in 1.8 million visitors annually, ensuring steady traffic and visibility. This highly visible and accessible location is ideal for a hotel or medical facility looking to capitalize on the city’s economic expansion and increasing demand for services. Construction of Lane Ross Blvd Parcels are graded Utilities are available at the property line Stormwater conveyance installed
Presented by
2655 Lane Ross Blvd - Outparcels - Choctaw Marketplace
Hmm, there seems to have been an error sending your message. Please try again.
Thanks! Your message was sent.
