Log In/Sign Up
Enter your email to login or create a free account
This feature is unavailable at the moment.
We apologize, but the feature you are trying to access is currently unavailable. We are aware of this issue and our team is working hard to resolve the matter.
Please check back in a few minutes. We apologize for the inconvenience.
- LoopNet Team
This Retail Property is no longer advertised on LoopNet.com.
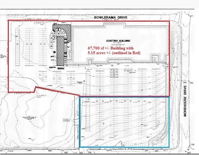
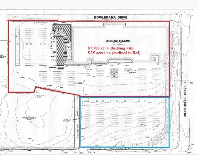
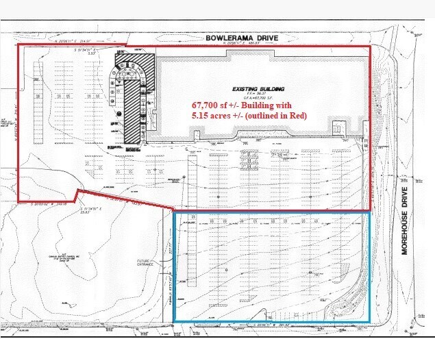
3031 New Castle Ave
New Castle, DE 19720
Business/Retail/Warehouse Property for Sale · Retail Property For Sale

Investment Highlights
- Sale Price: $6,000,000
- 6.99 +/- Acres
- Potential for Outparcel Pads
- 67,723 +/- SF Building (From Alta Survey)
- Ample Parking
- Zoned CR
Property Facts
Property Type
Retail
Property Subtype
- Supermarket
- General Retail Restaurant
- Industrial Warehouse
- General Retail Bowling Alley
Building Size
66,431 SF
Building Class
B
Year Built/Renovated
1959/2017
Tenancy
Single
Building Height
1 Story
Building FAR
0.22
Lot Size
7.00 AC
Zoning
CR - Zoned CR
Parking
490 Spaces (7.24 Spaces per 1,000 SF Leased)
Frontage
467’ on New Castle Ave
Amenities
- Pylon Sign
Property Taxes
| Parcel Number | 10-010.40-029 | Improvements Assessment | $4,794,400 |
| Land Assessment | $1,537,800 | Total Assessment | $6,332,200 |
Property Taxes
Parcel Number
10-010.40-029
Land Assessment
$1,537,800
Improvements Assessment
$4,794,400
Total Assessment
$6,332,200
Listing ID: 31344122
Date on Market: 3/27/2024
Last Updated:
Address: 3031 New Castle Ave, New Castle, DE 19720
The Retail Property at 3031 New Castle Ave, New Castle, DE 19720 is no longer being advertised on LoopNet.com. Contact the broker for information on availability.
1 of 1
Videos
Matterport 3D Exterior
Matterport 3D Tour
Photos
Street View
Street
Map

Link copied
Your LoopNet account has been created!
Thank you for your feedback.
Please Share Your Feedback
We welcome any feedback on how we can improve LoopNet to better serve your needs.X
{{ getErrorText(feedbackForm.starRating, "rating") }}
255 character limit ({{ remainingChars() }} charactercharacters remainingover)
{{ getErrorText(feedbackForm.msg, "rating") }}
{{ getErrorText(feedbackForm.fname, "first name") }}
{{ getErrorText(feedbackForm.lname, "last name") }}
{{ getErrorText(feedbackForm.phone, "phone number") }}
{{ getErrorText(feedbackForm.phonex, "phone extension") }}
{{ getErrorText(feedbackForm.email, "email address") }}
You can provide feedback any time using the Help button at the top of the page.