Log In/Sign Up
Your email has been sent.
EXECUTIVE SUMMARY
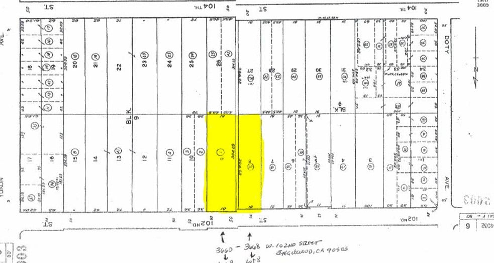
Stiegler | Takahashi Group is pleased to present 3660 & 3668 W 102nd St, two adjacent parcels totaling 49,355 sq ft
in the heart of Inglewood’s entertainment redevelopment zone, near SoFi Stadium, The Forum, and Hollywood Park.
Zoned INM1L, the lots offer flexible opportunities for industrial, commercial, office, hotel, or mixed-use development
and can be sold separately or together. With strong event-driven demand and excellent walkability and transit
access, this is a rare opportunity for investors and developers to capitalize on one of Inglewood’s most dynamic
corridors.
in the heart of Inglewood’s entertainment redevelopment zone, near SoFi Stadium, The Forum, and Hollywood Park.
Zoned INM1L, the lots offer flexible opportunities for industrial, commercial, office, hotel, or mixed-use development
and can be sold separately or together. With strong event-driven demand and excellent walkability and transit
access, this is a rare opportunity for investors and developers to capitalize on one of Inglewood’s most dynamic
corridors.
PROPERTY FACTS
| Price | $5,995,000 | Property Subtype | Commercial |
| Sale Type | Investment | Proposed Use | |
| No. Lots | 1 | Total Lot Size | 1.13 AC |
| Property Type | Land | ||
| Zoning | INM1L* - Limited Industrial | ||
| Price | $5,995,000 |
| Sale Type | Investment |
| No. Lots | 1 |
| Property Type | Land |
| Property Subtype | Commercial |
| Proposed Use | |
| Total Lot Size | 1.13 AC |
| Zoning | INM1L* - Limited Industrial |
1 LOT AVAILABLE
Lot
| Price | $5,995,000 | Lot Size | 1.13 AC |
| Price Per AC | $5,291,098.69 |
| Price | $5,995,000 |
| Price Per AC | $5,291,098.69 |
| Lot Size | 1.13 AC |
Two adjacent parcels: 3660 W 102nd St (24,660 sq ft) & 3668 W 102nd St (24,695 sq ft) combined = 49,355 total square feet. Zoning: INM1L- flexible for industrial, commercial, office, hotel or mixed-use concepts. Highly strategic location!
1 1
Walk Score®
Very Walkable (71)
PROPERTY TAXES
| Parcel Numbers | Improvements Assessment | $0 | |
| Land Assessment | $1,471,024 | Total Assessment | $1,471,024 |
PROPERTY TAXES
Parcel Numbers
Land Assessment
$1,471,024
Improvements Assessment
$0
Total Assessment
$1,471,024
1 of 5
VIDEOS
MATTERPORT 3D EXTERIOR
MATTERPORT 3D TOUR
PHOTOS
STREET VIEW
STREET
MAP
1 of 1
Presented by
Company Not Provided
3660-3668 W 102nd St
Already a member? Log In
Hmm, there seems to have been an error sending your message. Please try again.
Thanks! Your message was sent.



