Log In/Sign Up
Your email has been sent.
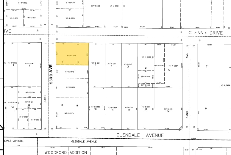
7019 N 53rd Ave
Glendale, AZ 85301
Industrial Property For Sale


Executive Summary
There are two buildings on the property building A is 1,546 square feet and building B is 1,200 square feet. There is a yard area. The lot size is 9,177 square feet. The zoning for the property is C-2 General Commercial.
Property Facts
| Sale Type | Owner User | No. Stories | 1 |
| Property Type | Industrial | Year Built | 1970 |
| Property Subtype | Distribution | Tenancy | Single |
| Building Class | C | Clear Ceiling Height | 10’ |
| Lot Size | 0.22 AC | No. Drive In / Grade-Level Doors | 1 |
| Rentable Building Area | 2,746 SF | Opportunity Zone |
Yes
|
| Zoning | C-2 - Intermediate Commercial | ||
| Sale Type | Owner User |
| Property Type | Industrial |
| Property Subtype | Distribution |
| Building Class | C |
| Lot Size | 0.22 AC |
| Rentable Building Area | 2,746 SF |
| No. Stories | 1 |
| Year Built | 1970 |
| Tenancy | Single |
| Clear Ceiling Height | 10’ |
| No. Drive In / Grade-Level Doors | 1 |
| Opportunity Zone |
Yes |
| Zoning | C-2 - Intermediate Commercial |
Amenities
- Fenced Lot
Property Taxes
| Parcel Number | 147-16-064B | Improvements Assessment | $0 |
| Land Assessment | $0 | Total Assessment | $22,079 |
Property Taxes
Parcel Number
147-16-064B
Land Assessment
$0
Improvements Assessment
$0
Total Assessment
$22,079
1 of 3
Videos
Matterport 3D Exterior
Matterport 3D Tour
Photos
Street View
Street
Map
