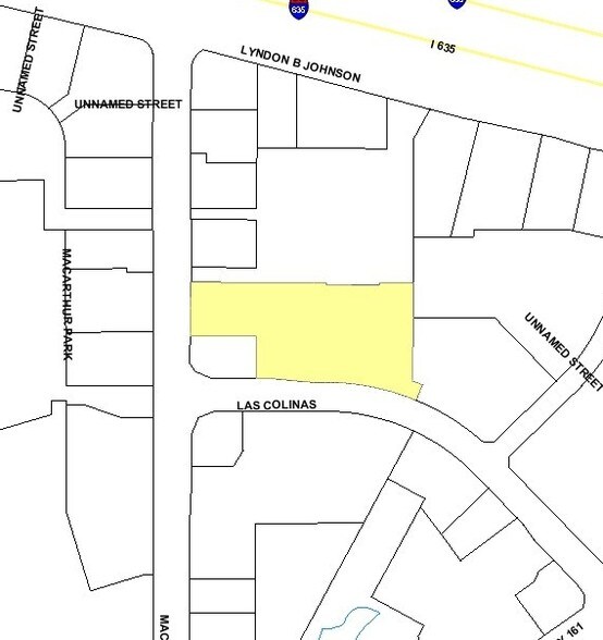
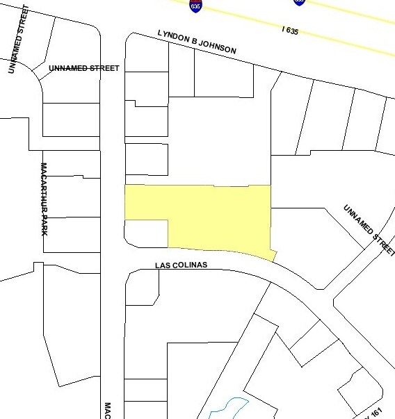
7730 N MacArthur Blvd | Irving, TX 75063
This feature is unavailable at the moment.
We apologize, but the feature you are trying to access is currently unavailable. We are aware of this issue and our team is working hard to resolve the matter.
Please check back in a few minutes. We apologize for the inconvenience.
- LoopNet Team
This Retail Property is no longer advertised on LoopNet.com.
7730 N MacArthur Blvd
Irving, TX 75063
former Toys R Us and Babies R Us · Retail Property For Sale

PROPERTY FACTS
Property Type
- Retail
- General Retail Supermarket
- General Retail Department Store
Building Size
56,077 SF
Building Class
B
Year Built/Renovated
1995/2008
Tenancy
Multiple
Building Height
1 Story
Loading Docks
2 Exterior
Building FAR
0.25
Lot Size
5.24 AC
Zoning
Community Commercial
Parking
238 Spaces (4.26 Spaces per 1,000 SF Leased)
Frontage
- 613’ on Las Colinas Boulevard
- 364’ on N. MacArthur Boulevard
AMENITIES
- Pylon Sign
- Signalized Intersection
ABOUT 7730 N MACARTHUR BLVD , IRVING, TX 75063
Approximately 5.241 acres of land with 55,824-square foot retail building. Constructed of concrete masonry, block, and tilt-wall. Concrete parking lot. Zoned Commecial Community. High traffic retail area: more than 50,000 vpd along N. MacArthur Boulevard.
PROPERTY TAXES
| Parcel Number | 322777100A2R10000 | Improvements Assessment | $12,234,040 |
| Land Assessment | $4,565,960 | Total Assessment | $16,800,000 |
PROPERTY TAXES
Parcel Number
322777100A2R10000
Land Assessment
$4,565,960
Improvements Assessment
$12,234,040
Total Assessment
$16,800,000
Listing ID: 12205771
Date on Market: 4/10/2018
Last Updated:
Address: 7730 N MacArthur Blvd, Irving, TX 75063
The Las Colinas Retail Property at 7730 N MacArthur Blvd, Irving, TX 75063 is no longer being advertised on LoopNet.com. Contact the broker for information on availability.
RETAIL PROPERTIES IN NEARBY NEIGHBORHOODS
- Northwest Dallas Retail Space
- Las Colinas Retail Space
- Far North Dallas Retail Space
- West Dallas Retail Space
- Hurst/Euless/Bedford Retail Space
- Downtown Grapevine Retail Space
- Love Field Retail Space
- Timberglen Retail Space
- Addison Circle Park Retail Space
- Prestonwood Retail Space
- Medical District Retail Space
NEARBY LISTINGS
- 10105 W Technology Blvd, Dallas TX
- 2430-2436 Valley View Ln, Farmers Branch TX
- 11456 Harry Hines Blvd, Dallas TX
- 11127 Shady Trl, Dallas TX
- 3215 Regent Blvd, Irving TX
- 2824 Valley View Ln, Farmers Branch TX
- 11603-11607 Denton Dr, Dallas TX
- 767 W Main St, Coppell TX
- 2615 Brenner Dr, Dallas TX
- 611 S MacArthur Blvd, Coppell TX
- 10606 Shady Trl, Dallas TX
- 1515 E Belt Line Rd, Carrollton TX
- 510 W LBJ Fwy, Irving TX
- 4008-4030 N Belt Line Rd, Irving TX
- 460 E John Carpenter Fwy, Irving TX
1 of 1
VIDEOS
MATTERPORT 3D EXTERIOR
MATTERPORT 3D TOUR
PHOTOS
STREET VIEW
STREET
MAP

Link copied
Your LoopNet account has been created!
Thank you for your feedback.
Please Share Your Feedback
We welcome any feedback on how we can improve LoopNet to better serve your needs.X
{{ getErrorText(feedbackForm.starRating, "rating") }}
255 character limit ({{ remainingChars() }} charactercharacters remainingover)
{{ getErrorText(feedbackForm.msg, "rating") }}
{{ getErrorText(feedbackForm.fname, "first name") }}
{{ getErrorText(feedbackForm.lname, "last name") }}
{{ getErrorText(feedbackForm.phone, "phone number") }}
{{ getErrorText(feedbackForm.phonex, "phone extension") }}
{{ getErrorText(feedbackForm.email, "email address") }}
You can provide feedback any time using the Help button at the top of the page.