Log In/Sign Up
Your email has been sent.
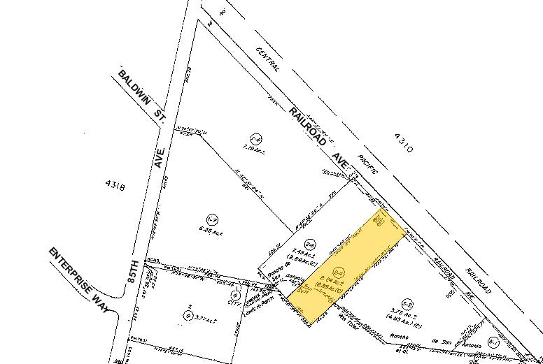
8977 Railroad Ave
Oakland, CA 94621
Morrow Crane · Industrial Property For Lease
·
8,921 SF


HIGHLIGHTS
- 3 grade level doors (2 oversized grade doors 16’x16’)
- Fully fenced and secured yard
- Partially concrete
- ±400 amps @ 277/480 volt power (subject to confirmation)
- Electrical fencing
- Excellent freeway access
FEATURES
Clear Height
50’
Drive In Bays
2
PROPERTY OVERVIEW
±2.24 Acre Industrial Yard with a ±8,921 SF Industrial Building For Lease or Sale
WAREHOUSE FACILITY FACTS
Building Size
8,921 SF
Lot Size
2.24 AC
Year Built
1980
Construction
Metal
Power Supply
Amps: 400 Volts: 480 Phase: 3
Zoning
IG - General industrial
1 of 4
VIDEOS
MATTERPORT 3D EXTERIOR
MATTERPORT 3D TOUR
PHOTOS
STREET VIEW
STREET
MAP
